Monthly Archives: Jan 2024

The Railways of Oakengates

Significant elements of this article depend on an article by David Bradshaw & Stanley C. Jenkins; Rails around Oakengates; in Steam Days, March 2013. [1] Their work is used here with the kind permission of David Bradshaw who is a native of Oakengates. In addition, I have gathered together everything that I have found which relates directly to the railways which passed through Oakengates. In March 2024, I gave a talk to the Oakengates History Group which was culled from what is included in this article.

The monochrome photographs included in this article were taken by a number of different photographers. Where possible, permission has been sought to include those photographs in this article. Particularly, there are a significant number of photographs taken by A.J.B. Dodd which appear here. These were first found on various Facebook Groups. A number were also supplied direct by Mike Dodd, A.J.B. Dodd’s son, who curates the photographs taken by his father. Particular thanks are expressed to Mike Dodd for entering into email correspondence about all of these photographs and for his generous permission to use them in this article. [174]

This article can be read here on this blog or can be downloaded as a .pdf file.

East Shropshire is well known as the ‘cradle of the Industrial Revolution’ with iron works, coal mines and furnaces all well established by 1760. Oakengates is a small town situated in the former Shropshire industrial area, and is roughly midway between Shrewsbury and Wolverhampton, which has now been subsumed into the new town of Telford. Prior to absorption into Telford, the town had a population of around 11,500, which made it the third largest settlement in the county after Shrewsbury and Wellington.

This extract from the Railway Clearing House Maps shows the immediate area around Oakengates prior to the Grouping in the 1920s. The red railways and London & Northwestern railways, the yellow are those controlled at that time by the Great Western Railway. Those dashed yellow and red are those which were in joint ownership. The Lilleshall Company network is not shown. This might help to understand the area covered by this article. We include the GWR mainline between Hollinswood Goods and Wellington, the Coalport Branch from Hadley to Malinslee, and the private railways of the Lilleshall Company. [1: p165]
This extract from a drawing held on the Miners Way website may help in our understanding of the area covered. The Mineral Line used 200 mainline and 250 internal wagons. The company also bought some industrial locomotives from Barclay and Peckett. Through the years 22 locomotives were used on the line, 6 of these were built by The Lilleshall Company itself. The company also built a further 34 locomotives for their customers. [131]
A little over three miles east of Wellington, and about 158½ miles from London (Paddington) via Oxford, former Great Western Railway ‘2800’ class 2-8-0 No 2897 climbs through Oakengates (West) station on a southbound (Up) freight, the gradient being 1 in 220 through the station, and this continues through the town’s nearby eponymous tunnel and nearly as far as Hollinswood sidings. The station here was opened in 1849 by the Shrewsbury & Birmingham Railway to serve Shropshire’s third largest town, a community that grew with the industrial revolution, the raw materials for the ironmasters of the late 18th century all being close at hand, and thus modern transportation was embraced at the earliest opportunity, significantly canals and then railways. A.J.B. Dodd/Colour-Rail.com [1: p165]

The transport of goods in the Oakengates area had been revolutionised by the construction of the Shropshire Canal, which was authorised in June 1788 and was completed throughout its 7.75 mile length by 1794. It ran virtually due south through Oakengates and connected with the earlier Donnington Wood, Ketley, and Wombridge canals to provide a link to and from the navigable River Severn, albeit 453ft of height had to be gained to achieve this.

The Shropshire Canal’s primary objective was the conveyance of coal, iron and lime from the Oakengates area to the River Severn at Coalport, and there was also a 2.75 mile canal branch that diverged south of Stirchley tunnel to serve Horsehay, and Coalbrookdale. This short, but quite busy extension to the local waterway system incorporated three tunnels, and there were four inclined planes (rather than flights of closely spaced locks), these being sited at Trench, Wrockwardine Wood, The Windmill and The Hay. There was a fifth inclined plane at Ketley, but this closed in 1816 when the ironworks to which it was connected was closed.

The GWR Shrewsbury to Birmingham Main Line

The Great Western Railway (GWR) took over the Shrewsbury & Birmingham Railway (S&BR) in 1854.

Apart from industrial tramways this was the first public railway to impinge on the Oakengates area. It was promoted during the ‘Railway Mania’ years of the mid-1840s as a line between Birmingham, Wolverhampton and Shrewsbury. The project was supported by the London & Birmingham Railway, which viewed the S&BR scheme as the first section of a much longer line to Liverpool and the north, in opposition to its bitter rival, the Grand Junction Railway (GJR).

The Shrewsbury & Birmingham scheme was rejected by Parliament in 1844, while in 1845 a substantially similar Bill failed to pass Standing Orders. Undeterred by these initial setbacks, the Shrewsbury promoters submitted a third Bill in November 1845, seeking Parliamentary consent for the making and maintenance of a railway commencing ‘at or near the Shrewsbury Canal Wharf, in the Parish of St. Mary, in the Borough of Shrewsbury, in the County of Salop, and terminating by a junction with the London & Birmingham Railway, near the Passenger Station of the said last-mentioned railway, in the township of Duddeston-cum-Nechells, in the Parish of Aston-juxta-Birmingham, in the County of Warwick’.

Meanwhile, the Grand Junction Railway had submitted an alternative scheme, known as ‘the Shrewsbury, Wolverhampton & South Staffordshire Junction Railway’, which would have followed more or less the same route as the Shrewsbury & Birmingham line. However, at that juncture, the London & Birmingham Railway agreed to join forces with the Grand Junction and the Manchester & Birmingham railways to form a new organisation known as ‘The London & North Western Railway’. This sudden and unexpected development had obvious ramifications for the Shrewsbury & Birmingham scheme, which was, in consequence, cut down to 29½ miles of line between Shrewsbury and Wolverhampton, access to Birmingham being obtained via the projected Stour Valley line.

The London & North Western Railway (LNWR) was formed by Act of Parliament on 16th July 1846 and, a little over two weeks later, on 3rd August 1849, the ‘Act for Making a Railway from Shrewsbury to Wolverhampton … to be called the Shrewsbury and Birmingham Railway’ received the Royal Assent. The resulting Act stipulated ten miles of line between Shrewsbury and Wellington would be shared with the Shropshire Union Railways & Canal Company, while the Shrewsbury & Birmingham Railway was granted running powers and a quarter share in the Stour Valley line. The S&BR was also permitted to construct a branch from Shifnal to the ironworks at Dawley.

The land required for the S&BR line between Shrewsbury and Wellington had been purchased by 19th September 1846, and the work of construction was soon underway, the Engineer being William Baker (1817-78). In engineering terms, there were few major obstacles, other than the two bridges across the River Severn and a 471-yard long tunnel at Oakengates.

The line running between Shrewsbury and Wellington was examined by the Board of Trade Inspector on 2nd May 1849, and he reported that ‘the railway is so far advanced that it can be used with safety by the public, but the stations will require a few days to complete’. Eastwards, a further four miles of line between Wellington and Oakengates required a second inspection, after delays in completing an overbridge at Wellington, but when this short section had been approved by the Board of Trade, the first portion of the S&BR line was opened on 1st June 1849, when trains began running between Shrewsbury, Wellington and Oakengates.

The initial timetable provided four trains each way, with Up services from Shrewsbury at 6.45am, 9.35am, 4.15pm and 6.45pm, and corresponding Down workings starting from Oakengates at 8.45am, 2.15pm, 5.15pm and 8.15pm. The first Up and last Down trains were first class only, whereas the remainder conveyed all classes. The Sunday service comprised just two trains each way.

Construction of the eastern section of line was delayed due to some difficulties involving Oakengates tunnel, while the work of the navvies had also been impeded by the abysmally wet summer of 1848. However, the railway was finally opened throughout on Monday, 12th November 1849, with the inaugural train of fifty carriages hauled by two locomotives, Wrekin and Salopian. Passengers wishing to reach Birmingham had to travel via Wednesfield Heath station and the former Grand Junction line as the Stour Valley route from Wolverhampton’s High Level station was as yet incomplete. The frequency of the service was increased to nine trains each way daily, but any access to the Stour Valley line was not granted until 4th February 1854.

The LNWR – a giant among railway companies and a huge undertaking by mid-Victorian standards – was able to exert unyielding commercial pressure on the Shrewsbury & Birmingham Railway and its ally, the Shrewsbury & Chester Railway with a view to eventual takeover. For example, although the Stour Valley line was opened on 1st July 1852, connections with Shrewsbury & Birmingham trains at Wolverhampton were arranged to be as inconvenient as possible, and the ‘North Western’ company refused to accept through bookings to and from the S&BR. However, the LNWR failed completely in its attempt to intimidate the Shrewsbury companies, and in 1854 the Shrewsbury & Birmingham and the Shrewsbury & Chester railways opted instead for an outright amalgamation with the Great Western Railway. Thus, on 1st September 1854, the line from Wolverhampton to Shrewsbury and thence to Chester became an integral part of the GWR system – albeit with a jointly owned section of line between Wellington and Shrewsbury.

In later years, the line through Oakengates became part of a much longer route extending from London (Paddington) to Birmingham (Snow Hill), Shrewsbury, Chester, and ultimately Birkenhead (Woodside) – the latter point becoming the northernmost extremity of the GWR main line passenger network.

In 1910, local services outlined in the April Bradshaw show fourteen trains to Wellington (and some beyond) stopping at Oakengates with nine in the opposite (Wolverhampton) direction. The Sunday services, as would be expected, were much more sparce, with three trains in the Wolverhampton direction and four to Wellington.

The British Railways (Western Region) timetable for Summer 1953 provides a post-Nationalisation but pre-dieselisation picture, with a frequent weekday (Monday to Saturday) service to both Wellington (Northbound/Down) and Wolverhampton (Southbound/Up), with some of these trains originating from Shrewsbury and Birmingham respectively, and two trains each way continuing on to London (Paddington) or working through to Chester (General). It is worth noting that between 18th June 1951 and 10th June 1956 the former GWR station in Oakengates was known as Oakengates (West), to differentiate it from Oakengates (Market Street) station on the former LNWR/LMS Coalport branch, and this is how it appears in timetables of the period.

At this time, the first Down train called at Oakengates (West) at 7.00am en route to Chester, although generally trains calling in this direction terminated at Wellington. Later trains called at 7.35am, 7.52am (ex-Birmingham, Snow Hill), 8.35am, 10.00am (Snow Hill to Chester), 12.01pm, 1.07pm, 1.54pm (ex-Snow Hill), 2.50pm, 3.57pm, 5.19pm, 6.10pm (to Shrewsbury), 7.11pm (Snow Hill to Shrewsbury), 9.04pm (to Shrewsbury), 10.25pm and 11.40pm.

The pattern of services for Up trains was broadly similar, with passenger trains generally terminating at Wolverhampton (Low Level). Calls at Oakengates (West) were at 6.50am and 7.13am (both to Snow Hill), then 7.52am (the 7.30am Shrewsbury-Paddington service), 8.38am, 9.31am, 10.16am, and 11.51am. Afternoon calls were at 1.39pm, 3.03pm, 3.58pm, 5.45pm (to Snow Hill), 7.15pm, 8.48pm and 10.47pm (the 10.15pm Shrewsbury to Paddington service that terminated in London at 5.05am on the following morning).

In early British Railways’ days, former GWR Churchward Mogul No 5381 heads a southbound passenger train past Hollinswood sidings, the massive yards established a little way from the southern portal of Oakengates tunnel to exchange traffic with the Lilleshall system. The distant chimneys and slag heaps are those of the Priorslee Furnaces, one of the principal Lilleshall Company establishments – and David Bradshaw says, these slag heaps proved to be great terrain for playing Cowboys & Indians in the early to mid-1950s. As an aside, the Wolverhampton-bound passenger train is effectively passing through the site of what is now Telford Central station, the impressive but arguably ugly industrial scene that I recall now landscaped to provide a modern road system serving the 1980s-built station and industrial estates, the area also being bridges by the M54. A.J.B. Dodd/Colour-Rail.com. [1: p167]

The summer of 1957 brought about the dieselisation of the stopping services at Oakengates as part of a Wellington to Lapworth service, Lapworth being the end of the four-track section of the former GWR main line south from Birmingham (Snow Hill), so it was a convenient terminating point. At the same time, Birmingham (Moor Street) to Leamington Spa services also went over to diesel-multiple-units. However, the dieselisation was not total, as some peak hour stopping services were still regularly steam-hauled through Oakengates, and it was status quo, unchallenged steam power, on stopping services between Wellington and Shrewsbury.

Between Wellington and Wolverhampton, however, steam locomotives were almost exclusively on goods and parcels duties as ‘Western’, ‘Warship’ and ‘Hymek’ diesel- hydraulics had taken over most of the expresses, and these thundered through Oakengates station. A particularly interesting working was the Bournemouth (West) to Birkenhead (Woodside) Inter-Regional duty and its corresponding Birkenhead to Bournemouth service, with Southern Region green-liveried coaches in use either on the northbound or southbound leg.

The BR (Western Region) public timetable for 12th September 1960 to 11th June 1961 lists the duty as ‘Week Days Only’, with the one train leaving Birkenhead at 9.20am, while that from Bournemouth departed at 9.30am, hence the need for two rakes, the two trains passing each other near Fenny Compton; Wellington was an 11.40am call on the Up duty, and 3.20pm on the Down service. However, the summer 1962 timetable saw the service cut-back to Wolverhampton (Low Level) on Mondays to Fridays, leaving the through service between Bournemouth and Birkenhead as a Saturdays- only option.

For many years the local services between Wolverhampton (Low Level) and Wellington were in the hands of Tyseley or Wellington-allocated Class ‘5101’ 2-6-2Ts on suburban stock, as illustrated by No. 4130 arriving from Wolverhampton at journey’s end. For the most part, passengers from Oakengates wishing to travel beyond Wellington would have to change trains here, and interestingly the local services between Wellington and Shrewsbury were actually Stafford line trains that worked through. However, these would never be dieselised. Instead the remaining intermediate stations between Stafford and Wellington, and onwards to Shrewsbury, would cease to be served from 7th September 1964. A.J.B. Dodd/Colour-Rail.com [1: p167]

The shake-up in Inter-Regional duties that was instigated with the introduction of the winter 1962/63 timetable, which significantly diverted the traditional Somerset & Dorset routed trains via Oxford, also brought about the end of the Bournemouth to Birkenhead duty, so Saturday, 9th September 1962 was the last day it ran. Interestingly, as part of the ongoing West Coast main line electrification, the Up and Down ‘Pines Express’ was also diverted away from Birmingham (New Street), so it now served Snow Hill, Wolverhampton (Low Level), and Wellington, then diverged to travel via Market Drayton to Crewe and Manchester. From an Oakengates perspective, this brought an English Electric ‘Type 4’ diesel through the station – the timetable ‘path’ for this train south of Wellington was that once used by the Birkenhead service.

At this stage, duties generally continued to operate to traditional timings, and a glance at the 1963 timetable provides an example. In the Down direction these were the 12.15am, 8.20am, 9.10am, 11.10am – ‘Cambrian Coast Express’, 12.10pm, 1.10pm, 2.10pm, 4.10pm, 6.10pm and 7.10pm from Paddington. The return journeys were at 6.30am, 7.40am, 8.55am, 11.40am, 2.45pm, 4.30pm and 8.55pm from Birkenhead, 2.30pm from Chester, and the 7.10am, 7.30am and 5.10pm from Shrewsbury.

There was a regional boundary change from 9th September 1963, with the Western Region retreating to Bromsgrove, but even with the new London Midland Region broom there were not yet enough diesels, locomotives or multiple-units, to exclude steam locomotive use on peak hour passenger duties, even into 1964. David  Bradshaw remembers this well as in the 1963/64 period his girlfriend Margaret (now his wife), frequently caught the 5.10pm local service to Oakengates from the bay platform at Shrewsbury; it was generally hauled by a Shrewsbury-allocated ‘County’ or ‘Hall’, and the guard would always ensure that she caught it, often holding the train beyond its departure time.  If she missed this, the next train was a Shrewsbury to Stafford service, with a change to a diesel-multiple-unit at Wellington.

Stafford Junction, just to the east of Wellington station, was the meeting point of the Shrewsbury & Birmingham Railway and Shropshire Union Railway & Canal Co, this opening on 1st June 1849, which was a pivotal day as inaugural S&BR services began between Shrewsbury and Oakengates and likewise the LNWR-operated Shrewsbury to Stafford services started, the latter diverging here; the junction was ‘Joint’ property, as was the line West from here to Shrewsbury. This view is looking east on 9th August 1932,  the Stafford line branching left, while the line straight ahead is for Oakengates, although the next nearest railway infrastructure of note is Ketley Junction, just 52 chains away, where trains from Wellington for Much Wenlock diverged as they travelled ’round The Wrekin’. Mowat Collection.

The Shropshire Union Railways & Canal Co.

The Shropshire Union Railways & Canal Co. was created in 1846 as an amalgam of a number of canal and railway schemes. Railways were, at that time, starting to pose a serious threat to the local canal companies, and it was for this reason that the Shropshire Union company was formed, the idea being that a combined railway and waterway undertaking would be able to hold its own in competition with purely railway-orientated companies such as the London & North Western Railway.

The Shropshire Union worked a number of existing waterways, including the Ellesmere & Chester Canal (which had already absorbed the Birmingham & Liverpool Junction company), and it also obtained powers for a network of connecting railway lines, one of which would have run from Nantwich to Wolverhampton, while others would extend from Crewe to Newton and from Stafford to Shrewsbury. In total, it was envisaged that the Shropshire Union would encompass no less than 155 miles of railway, much of this system being converted from the Shropshire Union’s existing canals.

Having secured Parliamentary consent for their ambitious scheme, the Shropshire Union supporters looked forward to a prosperer future. However, their plans were perhaps far too ambitious, and the Shropshire Union company inevitably attracted the attention of rival railway companies, notably the rapidly expanding LNWR. In 1847, the Shropshire Union Railways & Canal Company was leased in perpetuity to the LNWR, and by this means the original Shropshire Union plans were effectively thwarted. The Nantwich to Wolverhampton and Crewe to Newton lines were abandoned, although, happily, the main canal routes remained in operation under London & North Western auspices.

It was also agreed that the proposed railway from Stafford to Shrewsbury would be constructed, with the proviso that the western section between Wellington and Shrewsbury would be vested jointly in the Shrewsbury & Birmingham and Shropshire Union companies. As we have seen, the line from Shrewsbury to Wellington was opened on 1st June 1849, and the connecting line between Stafford and Wellington was also opened on the same day, this eastern section being worked as a purely LNWR branch, whereas the Wellington to Shrewsbury line was jointly-owned with the S&BR. Trains worked on a Stafford to Shrewsbury axis, calling at Gnosall (64 miles), Newport (11½ miles), Hadley (17½ miles), Wellington (18¾ miles), and then intermediate stations to Shrewsbury (29¼ miles).

The LNWR Coalport Branch

Along with discussion of all the other railways in and around Oakengates (including the Lilleshall Co. private railways), David Bradshaw and Stanley C. Jenkins looked at the Wellington to Coalport Branch.

These paragraphs come first from the parts of the Steam Days article which relate to the Wellington to Coalport Branch, [1: p168-170, 175, 176-177] but are supplemented by my own research into the route of the line.

Wikipedia provides this schematic map of the Coalport Branch which highlights the key stations and sidings. [37]

The Great Western Railway had taken over the Shrewsbury & Birmingham Railway (S&BR) in 1854, and this may have prompted the LNWR to consider a scheme for converting the Shropshire Canal into a railway. This busy waterway was experiencing severe problems in terms of subsidence and water supply, and there was a major flooding incident in July 1855 when Snedshill tunnel collapsed. It was thought that the cost of repairs would probably exceed £30,000 and, faced with this heavy expenditure, the London & North Western Railway (LNWR) decided that the money would be better spent on the construction of a replacement railway from Hadley, near Wellington, to Coalport, which would utilise, as much as possible, parts of the troublesome canal.

It was then estimated that the proposed Coalport branch line would cost about £80,000, including £62,500 for the purchase of the waterway. Accordingly, in November 1856, notice was given that an application would be made to Parliament in the ensuing session for leave to bring in a Bill for the purchase and sale of the Shropshire Canal and the ‘Conversion of Portions thereof to Railway Purposes, and Construction of a Railway in connection therewith’.

The proposed line was described as a railway, with all proper stations, works, and conveniences connected therewith, commencing by a junction with the Shrewsbury and Stafford Railway of the Shropshire Union Company in the township of Hadley and parish of Wellington, in the county of Salop. at a point about two hundred yards westward of the mile post on the said railway denoting twelve miles from Shrewsbury’, and it terminated in the parish of Sutton Maddock, in the county of Salop, at a point ten chains or thereabouts to the east of the terminus of the Shropshire Canal at Coalport’.

The railway would pass through various specified parishes, townships, or other places, including Wellington, Hadley, Donnington Wood, Wrockwardine, Wombridge, Oakengates, Stirchley, Malins Lee, Dawley, Snedshill, Madeley, and Coalport, ‘occupying in the course thereof portions of the site of the Shropshire Canal’. Having passed through all stages of the complex Parliamentary process, the actual ‘Act for Authorising the Conversion of parts of the Shropshire Canal to Purposes of a Railway’ received the Royal Assent on 27th July 1857.

The canal was closed between Wrockwardine Wood and the bottom of the Windmill Hill inclined plane on 1st June 1858, although isolated sections of the waterway remained in use for many years thereafter. The work of conversion was soon underway, and on Thursday, 30th May 1861 The Birmingham Daily Post announced that the Coalport and Hadley line of railway would be opened on ‘Monday next’, implying that the first trains would run on 3rd May. In the event, this prediction was slightly optimistic, and on 12th June the same newspaper reported that, ‘in accordance with the arrangements arrested’. previously announced’, the Coalport branch had been opened for passenger traffic on Monday, 10th June 1861.

As usual in those days, Opening Day was treated as a public holiday, and a large number of spectators had assembled at Coalport station to witness this historic event. ‘At the appointed time, the first engine, and train of first, second and third class carriages, moved off from the station, having a respectable number of passengers’.

The newly opened railway commenced at Hadley Junction, on the Stafford to Wellington line, and it climbed south-eastwards on a ruling gradient of 1 in 50 towards Oakengates (3.25 miles from Wellington), which thereby acquired its second station. Beyond, the route continued southwards, with intermediate stations at Dawley (6 miles) and Madeley Market (7½ miles), to its terminus at Coalport, some 9½ miles from Wellington. The final two miles of line included a continuous 1 in 40 descent towards the River Severn. An additional station was opened to serve Malins Lee, between Oakengates and Dawley, on 7th July 1862.

Wellington Railway Station to Hadley Railway Station

Wellington Railway Station was the junction station for the Coalport Branch passenger services. The bay platform on the South side of the Wellington Station site was shared with the GWR Coalbrookdale line (Wellington & Severn Junction Railway). The station and the line to its East are covered in the link below:

The Railways of Telford – the Wellington to Severn Junction Railway (W&SJR) – Part 1 – Wellington to Horsehay

Coalport East trains left the Shrewsbury to Birmingham line and for a short distance, to Hadley Junction, travelled along the line from Wellington to Stafford. After passing through Hadley Railway Station trains took to the Branch which curved away to the South of the main line.

Hadley Railway Station to Wombridge (Goods)

Experience shows that it is very difficult to plot a line on the ground when significant development has taken place. For the first section of this line the redevelopment from the 1960s into the 21st century has been very significant. In this article I have relied on modern satellite images provided by railmaponline.com. [4] As usual, historic mapping comes from the NLS (National Library of Scotland).

Hadley Railway Station appears on the left of this extract from the 25″ Ordnance Survey of 1901, published in 1902. The trackwork associated with the junction and with Castle Car Works can be seen at the top right of the extract. [12]
The same area in the 21st century as shown on the ESRI satellite imagery provided by the NLS. [12]
An enlarged extract from the 25″ Ordnance Survey which shows the area immediately around Hadley Station. [14]
The same area on the modern satellite imagery of Google Maps. [15]
Caren Craft shared the photograph of modern Hadley taking shape on the Hadley History Facebook Group on 26th June 2022. The photo was carried by the Shropshire Star on 15th August 2011. Both of the two railway bridges can be seen on the left of the image carrying the new single track railway line. [13]

Hadley Railway Station served the former Stafford to Shrewsbury Line and was the start of the branch to Coalport. The station was opened in 1849 and closed in 1964. The line through Hadley was closed from 1964, with the last remaining stretches of track being taken up in 1991. In the late 2000s a stretch of track was re-laid to the Telford International Railfreight Park for freight purposes only. [16]

Telford International Railfreight Park (known as TIRFP) is rail freight depot and construction development site located in Donnington to the north of Telford, on the former route of the Stafford to Shrewsbury Line. The terminal was opened in 2009. [17]

The old bridge at Hadley Station viewed from the North. [Google Streetview, June 2022]
The old bridge at Hadley Station viewed from the South. [Google Streetview, June 2022]
An early view looking North up Station Road under the railway bridge. This image was shared on the Hadley History Facebook Group by Caren Craft on 3rd July 2022. [18]
A later view (1963) of the bridge which was shared on the Hadley History Group by Tony Handley on 22nd March 2021. [19]
An even later image (1986) of the same bridge with the new pedestrian/cycleway bridges in place. This view was shared on the Hadley History Facebook Group by Lynne Purcell on 5th February 2021. [20]
This aerial image looks North across the old bridge in the 1960s. Hadley Railway Station platforms can just be seen entering the image from the left. The picture was shared on the Hadley History Facebook Group on 22nd March 2021 by Tony Handley. [21]
A view from the then new flats across Hadley Railway Station to the School. The photograph was taken in either 1967 or 1968. It was shared on the Hadley History Facebook Group by Tony Handley on 3rd April 2021. [22]
The view Northwest from the junction between Leegate Avenue and Haybridge Road/Britannia Way showing the new rail bridge with the older arched bridge alongside. The new bridge is on the site of the old Hadley Railway Station. [Google Streetview, June 2022]
A similar (panorama) view but taken, this time, from the foot/cycle bridges which span the junction. [My photograph, 12th March 2023]
Hadley Railway Station. This image was shared by Lynne Purcell on Hadley History Facebook Group on 7th July 2021. [23]
This picture was taken at Hadley Railway Station LNWR 0-6-0 locomotive No 45 is seen with a train of Tramcars for Blackburn Corporation. The picture was taken sometime between 1900-1908 (LNWRS reference LNWRS1822). The Trams were built by G F Milnes of Birkenhead at the Castle Car works at Hadley. The Tram making business at this site was short lived closing down in 1908. The site remained derelict for 2 years when the site was taken over by Joseph Sankey who made steel wheels and other steel pressings. The image was shared on the Hadley History Facebook Group by Gwyn Thunderwing Hartley on 17th September 2021. [24]
Hadley Railway Station, shared on the Hadley History Facebook Group on 4th February 2021 by Lin Keska. [25]
Hadley Railway Station, shared on the Hadley History Facebook Group on 4th February 2021 by Lin Keska. Both these views are taken looking East towards Donnington. [26]
The view East along the single track line which was reinstated to serve Telford International Railfreight Park. This image was shared on the Hadley History Facebo0ok Group by Lynne Purcell om 5th February 2021. [27]
A diesel shunter at the East end of Hadley Railway Station with the bridge parapets beyond the platform ends. This image was shared on the Hadley History Facebook Group by Simon FP on 12th October 2021. [28]
Hadley Railway Station looking West along the North platform towards Wellington. The picture was also shared on the Hadley History Facebook Group on 4th February 2021 by Lin Keska. [29]
Hadley Town Centre from the West in the 1960s, the main railway line between Hadley Station and Hadley Junction features on the left of the image. This photo was shared on the Hadley History Facebook Group on 3rd February 2021 by Sion William Bradford. [30]
Looking from the Northeast across the the main line between Hadley Station and Hadley Junction towards Hadley town centre. This phot was shared on the Hadley History Facebook Group by Jimmy Martin on 15th March 2022. [31]
Hadley Junction as shown on the 25″ Ordnance Survey of 1901, published 1902. [32]
Hadley Junction as shown by railmaponline.com superimposed on Google Maps satellite imagery. The Coalport branch curves away to the South of the mainline. [33]
Hadley Junction with the Coalport Branch heading away to the right of the image, Castle Lane crosses both the branch and the main line just above the centre of the image, (c) Historic England, Britain from Above No. EPW050454. [34]
This image was shared on the Telford Memories Facebook Group by Simon FP on 28th September 2021. He comments: “While sorting out more photos at my parent’s former house. I found this little gem, bringing back many railway memories. It shows Hadley sidings, looking towards Trench and clearly shows Sankey’s on the left and the Coalport Junction on the right. The photo was taken by my Father, Bill Parton, but I’m wondering where from? Could he have climbed a signal gantry?” [35]
This underpass can be seen on the 25″ OS map extract above. It used to provide access from Hadley to fields North of the railway. This view is taken looking North through the structure. [My photograph, 12th March 2023]
The same underpass viewed from the North. [My photograph, 12th March 2023]
The single track line which occupies the old main line formation in 2023. 100 meters or so to the right (East) of this location Hadley Junction trackwork commenced, as did sidings for Castle Car Works. [My photograph, 12th March 2023]
This is a still from a video shared on the Hadley History Facebook Group by Tony Handley on 10th May 2021. It shows a Pannier Tank and brake van awaiting clearance to leave the Coalport Branch heading towards Hadley Railway Station and is the only picture of this specific location which I have found to date. [36]
This image shows a short section of National Cycle Route 81 which runs alongside the formation of the old mainline. The Coalport Branch turned away from the mainline along this length, initially at the same level at the mainline above the fence on the left. The modern cycleway is at a slightly lower level. [My photograph, 12th March 2023]
National Cycle Route 81 again. The cycle route drops down to the level of Castle Lane which provided access under the main line to Castle Car Works. The purple line shows the approximately line of the Coalport Branch which crossed Castle Lane at high level and continued to turn away from the main line. [My photograph, 12th March 2023]
Looking back to the West from Castle Lane towards the point where the Coalport Branch left the main line at Hadley Junction. [Google Streetview, June 2022]
Looking North along Castle Lane towards the mainline which was crossed by means of an arched underpass, visible in the photo. The Coalport branch follows the purple line nearer to the camera. The height of the land to the right of Castle Lane is close to the formation height of the branch. [Google Streetview, June 2022]
A closer view of the underpass Works access in 2023. [My photograph, 12th March 2023]
This view is taken looking South towards the Branch from adjacent to the embankment of the old main line. The conifers are planted on the line of the Coalport Branch. [My photograph, 12th March 2023]
Castle Street Railway Bridge in the mid-1960s, looking Northeast along Castle Street. The Shropshire Star, carried this photograph on 30th July 1960 and commented:  “Hadley has its own Bridge of Sighs – but the sighs come from lorry drivers as they approach the notorious Coalport railway bridge. During the past 10 years lorries have become stuck scraped and been forcibly unloaded as they have tried to squeeze under its 18ft 6in [headroom]. There has been at least one serious accident there!” Their story went on to say that local residents and councils all wanted the bridge made safer, or completely removed. The railway lines which crossed the bridge no longer led anywhere. The bridge was only used as a short extension to the goods yard of Joseph Sankey and Co Ltd. but the bridge’s demolition would only have meant the loss of about 50 yards of track. The bridge was demolished in April 1967. [38]
The demolition of the bridge in 1967. This photograph was shared on the Oakengates History Facebook Group by Gwyn Thunderwing Hartley on 23rd April 2018. [39]
Looking Northeast along Castle Street with the line of the old railway shown in purple. [Google Streetview, June 2022]
Looking South from Castle Street with the route of the old railway highlighted by the purple line. The footpath on the centre-left of the image crosses the route of the old railway. [Google Streetview, June 2022]
This Google Streetview image is taken from Redlands Road, Hadley. The footpath in the last photo is on the left and the Coalport Branch ran on embankment across the line of that footpath and then along the line of the trees to the right and centre of this image [Google Streetview, June 2022]
Turning through 90 degrees to look East from the same point on Redlands Road, the route of the Coalport Branch runs along the tree line at the left of this picture and then through the  flats at the centre of the image. [Google Streetview, June 2022]
The next length of the branch shown on the 25″ Ordnance Survey of 1901, published 1902. Hadley Brick & Tile Works were on the South side of the line. [40]
Approximately the same area as shown on the OS map extract above. RailMapOnline shows the route of the old railway which ran to the South side of what is now Blockley’s warehousing. [33]
Looking Northeast along one of the cul-de-sac arms of Redlands Road. The old line approximately followed the purple line on this image. [Google Streetview, June 2022]
Looking North along Buxus Road. The old line crossed what is now Buxus Road just to the North of the property on the left of this image. [Google Streetview, June 2022]
Looking Northeast on Marlborough Road, the roue of the Coalport Branch is indicated by the purple line. [Google Streeetview, June 2022]
Looking Southwest from the end of Viburnum Way, then is nothing at this location to show that the old railway once ran along the purple line in the image. [Google Streetview, June 2022]
Turning through 90 degrees to look Southeast at the same point as in the image above, the trees which form the Southwest boundary of Blockley’s building materials warehousing are on the line of the Coalport branch. [Google Streetview, June 2022]
This length of the branch was on embankment as it crossed Middle Pool/Valley Pool and passed to the South of Wombridge Iron Works. The Iron Works are shown as disused on this 25″ Ordnance Survey of 1901. [42]
This view appears to have been taken from a point on the extreme left of the OS map extract above. It faces Southeast towards Oakengates. Wombridge Church can be discerned in the right background. This image is © Copyright Dr Neil Clifton (23rd June 1964) and used here under a creative Commons Licence (CCB Y-SA 2.0). [43]
The earlier Ordnance Survey of 1880 to 1882, published in 1885, as this enlarged extract indicates, shows the Iron Works at Wombridge in use, served by both a rail connection and an arm of the Shropshire Canal. [44]
A similar area to that on the 25″ OS map extract above. Railmaponline shows the sidings which served Wombridge Iron Works towards the top-right of the picture, and St. Mary & St. Leonard’s Church at the bottom of the image. The old railway embankment has been removed apart for an island which sits in the centre of Middle Pool in the 21st century. [33]
Looking North along Sommerfield Road through the approximate line of the Coalport Branch. [Google Streetview]
This photograph is taken looking South along the side of Middle Pool. The bench in the picture is approximately at the point where the old embankment carrying the Coalport Branch stood.  Middle Pool is to the left of this shot, Sommerfield Road to the right. [My photograph, 13th March 2023]
Looking East across Middle Pool along what was the old Coalport branch! The island in the centre of the pool can just be made out through the vegetation. The line crossed the South side of the island. Summer vegetation  would preclude this picture being taken. [My photograph, 13th March 2023]
The island in Middle Pool viewed from the Northwest. The purple line shows the approximate line of the railway embankment. [My photograph, 13th March 2023]
The same island viewed from the South of Middle Pool. The Coalport branch ran through Middle Pool on an embankment crossing the location of the island close to its southern end. [My photograph, 13th March 2023]
Looking West, back along the line of the Coalport Branch towards Hadley Junction. As already noted, the old railway was on embankment across Middle Pool which was separated into two halves. The northern part being know as Middle Pool, the southern part being called Valley Pool. [My photograph, 13th March 2023]
Turning through 180° to look East along the line of the old railway. [My photograph, 13th March 2023]
This photograph is taken looking North along Wombridge Way towards the A442 roundabout. The purple line gives the approximate position of the old railway. Wombridge Way is a modern invention running close to the Eastern shore of Middle Pool (off the image to the left). An open grassed area is beyond the treeline on the right of the image. [Google Streetview, June 2022]
Looking South from National Cycle Route 81. Wombridge Way is beyond the trees to the right of the image. Immediately to the right is an underpass under Wombridge Way. The A442 is behind the camera. To the left of the image the cycleway runs round the prominent confiers in a loop in order to gain height. The route of the railway runs to the North of the southernmost extent of the loop in the cycleway. [My photograph, 13th March 2023]
A closer view of the location on Google Maps. Wombridge Cemetery is in the bottom-right of the image. [Google Maps, March 2023]
Looking back West along the line of the Coalport Branch. Wombridge cemetery is just off to the left of the photo at a lower level. The railings on the right lead onto a cycle/footbridge over the A442. The purple line indicates the route of the railway. [My photograph, 13th March 2023]
This next image faces Southeast. The A442 is just beyond the railings to the left, Wombridge Cemetery is on the right. [My photograph, 13th March 2023]
This image shows the view Southeast along the A442. The footpath/cycleway in the last image is just behind the vegetation on the right of this image. The approximate route of the old railway is again drawn onto the picture as a purple line. [My photograph, 13th March 2023]
St. Mary and St. Leonard, Wombridge was built in 1869 by George Bidlake. It is the fourth church on the site of an Augustinian Priory. The church has been sympathetically re-ordered with a fine reredos, pulpit and Vicar’s stall. The remains of the Augustinian Priory were excavated in 2011. Some remaining floor tiles and masonry from the Priory are on view. [45][46]
The view North from the end of Wombridge Road. The cemetery is on the left, the A442 is beyond the trees directly ahead. The old railway ran beyond the tree line to the rear of the cemetery (in this view) and across the line of Wombridge Road.at the point where the A442 now crosses the old Wombridge Road. [Google Streetview, June 2022]
This enlarged extract from the 1881 6″ Ordnance Survey shows St. Mary and St. Leonard, Wombridge in the bottom-left. Today’s cemetery location is on the North side of Wombridge Corn Mill. Wombridge Pool no longer exists, nor does the Augustinian Priory. The bridge over Wombridge Road is shown just to the left of the centre-top of the image. [44]

Wombridge Church and Priory

Wombridge Priory was a small Augustinian monastery established in the early 12th century, it was supported by a network of minor nobility and was never a large community. Despite generally good financial management, it fell within the scope of the Suppression of Religious Houses Act 1535 and was dissolved in the following year. [82]

The priory was dedicated to St Leonard. St Leonard was particularly popular in the 12th century following the release of Bohemond I of Antioch, a captured crusader – a circumstance which he seems to have attributed to the saint’s intercession. White Ladies Priory, another Shropshire Augustinian house, was also dedicated to St Leonard, as was the parish church at Bridgnorth, [82] and at a later date, Malinslee Parish Church. Remains of the priory buildings remained visible until the 19th century but are now hidden beneath the churchyard and other development. They were excavated in the 1930s and again in 2011 and 2012. [82]

The church was designated to St. Mary and St. Leonard and was built in 1869 by George Bidlake. It is the fourth church on the site of the Priory.

An aerial view of Wombridge Church with some of the remains of the Priory evident. This photograph was shared on the Telford – The Ultimate Guide Facebook Group by Steve Bowers on 27th February 2023. [47]

The bridge which carried the Coalport Branch over what was once Wombridge Road was demolished to make way for the A442 Queensway.

This photograph was taken during the demolition of the bridge. It is the only photo I have been able to find of the old railway bridge. It appears to have been taken from the South. Headroom would have been quite limited. The photograph was shared by Paul Wheeler on the Telford Memories Facebook Group on 23rd November 2017. [48]

We continue on our journey along the old Coalport Branch with a ground-level shot along the A442 showing the line of the old railway.

Looking Southeast along the A442, Queensway from the Northwest-bound off slip road. The A442 was built over the line of the Coalport branch which was curving along the length ahead towards the Southeast. [Google Streeetview, June 2022]
The 25″ Ordnance Survey from the turn of the 20th century again. The important feature on this length of the Coalport Branch was the bridge which carried Stafford Road over the line. [49]
Once again, this satellite image covers approximately the same area as that covered by the OS map extract above. The purple line is the route of the Coalport Branch as recorded on railmaponline.com. [33]
An image from the Southbound carriageway of the A442 from a position at the top-left of the satellite image above. [Google Streetview, June 2022]
From the same Southbound carriageway, the bridge which carries Stafford road over the A442 is visible in the distance. The Coalport Branch followed a tighter curve than the modern road, passing under Stafford Road to the South of the modern bridge over the A442. [Google Streetview, June 2022]
A Brown’s Sentinel bus crosses the Stafford Road bridge in Oakengates in March 1963. For much of his married life, Ron Dean was in the driving seat. And his wife Greta was his conductor. The camera is pointing towards the South. [50]
Stafford Road Bridge again, sometime in the 1960s before the A442, Queensway dual carriageway was built. This was probably taken at the time that a footbridge was being installed alongside the road bridge. The photo is taken facing South along the Brach line. It was shared on the Telford memories Facebook Group by Bear Yeomans on 7th February 2016. [51]
Looking North from Stafford Road Bridge along the Coalport Branch towards Hadley Junction. This image was shared on the Oakengates History Facebook Group by Gwyn Thunderwing Hartley on 23rd May 2020. [52]
Looking North under Stafford Road Bridge along the Coalport Branch. This image was shared on the Oakengates History Facebook Group by Gwyn Thunderwing Hartley on 30th July 2018. [53]
This aerial photo of Oakengates was taken in November 1970. Just to the right of the top-centre of the image, Stafford Road bridge can be seen with the footbridge alongside it. The A442 is not evident, but the Coalport Branch cutting can be followed from the road bridge to the right. This image was shared on the Telford Memories Facebook Group by Marcus Keane on 22nd March 2022. [54]
An enlarged extract from the picture immediately above showing Stafford Road bridge in the top-left. [54]
This next length of the line takes us through Oakengates Market Street Railway Station and Goods yard. The 25″ Ordnance Survey of 1901, published in 1902 shows the station and goods yard to full advantage. [55]
The railmaponline.com satellite image of the same area as in the map extract above. This begins to show how congested the area around Oakengates was with a variety of railway lines and sidings. [33]

The OS image above shows the length of the Coalport branch as it passes through Oakengates (Market) station and goods yard. We will return to look at the station later. Two images looking North through the station will suffice at this juncture.

Aview looking North from the boundary fence, through Oakemgates (Market) Station. The line was much less busy on this occasion. The image was shared on the Telford Memories Facebook Group by Paul Wheeler on 16th August 2017. An equivalent modern view from Canongate is not feasible because the industrial site is now screened by trees. [3]
Looking North through the area that was Oakengates Market Street Station Goods yard from the Eastern end of Commercial Way. The purple line shows the approximate route of the Coalport Branch. The white building at the centre of this image is the old goods shed now put to a different use! [Google Streetview, June 2022]
Looking Southeast from the same location. The mainline of the Coalport Branch would have run along the treeline behind the industrial units. [Google Streetview, June 2022]
The view from the Southeast on Canongate. The purple line shows the approximate location of the Coalport Branch which passed under the road by means of a bridge. [Google Streetview, June 2022]
Canongate Railway Bridge was a brick-arched structure. It is seen here infilled to support the road above. This image was posted by BruceS on Waymarking.com on 2nd June 2015. [60]
Looking North under Canongate Bridge towards Oakengates Market Street Station. This picture was shared on the Oakengates History Facebook Group by Gwyn Thunderwing Hartley on 12th October 2017. [61]
An aerial image looking North along the line of the Coalport Branch in 1948. Canongate bridge is in the centre of the image, the Station is towards the top of the image beyond the goods yard, (c) Historic England, Britain from Above (EAW013748). [62]
An extract from the above image which shows Canongate, the Goods Yard and the Station in greater detail, (c) Historic England, Britain from Above (EAW013748). [62]
The next length of the Coalport Branch took it passed Snedshill Iron Works and into a tight corridor which included the GWR Shrewsbury to Birmingham railway Line, the Coalport Branch and a Mineral Railway. This area is again shown on the 25″ Ordnance Survey of 1901, published in 1902. [63]
Railmaponline.com’s satellite imagery shows the same area as in the OS map above as it appears in the 21st century. All the lines mentioned above are included in the overlay to the satellite imagery. [33]
Another extract from the aerial image of 1948 which showed Canongate Bridge, this shows the area to the South of Canongate. Snedshill Iron Works are on the right of the image. In the centre of the image are John Maddock and Co.’s works for whom the aerial photographs were taken. Those works do not feature on either the 1901 Ordnance Survey or the modern satellite imagery. [62]
Looking North from the A5 bridge over the Coalport branch. Snedshill Ironworks are on the right of the image. The bridge at the centre of the image is the same one that appears at the bottom of the aerial image immediately above. This photograph was shared on the Telford Memories Facebook Group by Paul Wheeler on 18th March 2018. [64]
Almost extactly the same location, also looking North, the connection was one of the busier connections from the Coalport line. As we have noted, our vantage point is the Holyhead Road overbridge, the old A5 trunk road. This view shows the Coalport branch in the cutting on the left, while the lines on the right connect to the former Snedshill Iron Works; a Hawksworth ‘9400’ pannier tank is seen shunting the siding in the mid-1950s. This was initially one of the connections to the Lilleshall network but in about 1938 the Lilleshall Company sold the Snedshill Iron Works to John Maddock’s & Son, an Oakenshaw-based engineering firm that was outgrowing its premises near the GWR station. Subsequent development saw the distant building become one of the most modem casting foundries in Europe, and post-war, pipe fittings became the principal activity. (c) A.J.B. Dodd [1: p170]
Looking Northwest along Reynolds Drive, Oakengates. The Coalport Branch was in cutting at this location. The purple line gives an idea of its Route. Its route crosses Hawkshaw Close a 100 yards or so to the left, as shown below. [Google Streetview, June 2022]
Looking South along Hawkshaw Close, Oakengates with the line of the Coalport Branch shown. As noted above the line was in relatively deep cutting at this location. Google Streetview, June 2022]
Looking North from Newlands Road, Oakengates, towards Oakengates Market Street Station. At this point on the line we are a little to the North of the accommodation bridge shown on the 1948 aerial image above. The approximate route of the line is again shown by the purple line. The line was, however, in deep cutting at this location. [Google Streetview, June 2022]
Looking South from Newlands Road, Oakengates, along the line of the Coalport Branch which was in deep cutting at this location. The road to the right of this image is Station Road which once ran immediately alongside the old railway line a little further to the South.[Google Streetview, June 2022]
Looking North along Station Road across the line of the old railway. Station Road was diverted when the new roundabout (immediately behind the camers) was constructed. The next two monochrome images focus on this location as it was in 1948. [Google Streetview, June 2022]
The same length of line, but this time as shown in an aerial image from the Northwest, also taken in 1948. The image features John Maddock’s works with Snedshill Iron Works beyond, (c) Historic England, Britain from Above (EAW013752). [65]
A closer view of the top-right of the above image with the Coalport branch heading away to the South. This area saw significant alterations in the later years of the 20th century. The significant bridge carries what is designated the B5061 in the 21st century, but was the A5 Trunk Road. The works immediately beyond the bridge and alongside the A5 are the Lilleshall Company’s Snedshill Brickworks, (c) Historic England, Britain from Above (EAW013752). [65]
The 1″ OS Map of 1898, published 1899, shows the location of the bridge. The immediate area is now under the Greyhound Roundabout which sits alongside the A442. [66]
Looking Southeast along the A5 towards the Lilleshall works at Priorslee. The dominant building with the curved roof on the left of this image is the Lilleshall Company’s Snedshill Brickworks. The Coalport Branch passed under the bridge at the centre of the image. This phot was shared on the Telford Memories Facebook Group on 23rd February 2014 by Vince Allen. [67]
Looking down into the cutting of the Coalport Branch from the East in 1973. The road running across the image is the A5. The arch bridge is the Greyhound Bridge which is eventually replaced by the Greyhound Roundabout. The picture was shared on the Oakengates History Facebook Group by Gwyn Thunderwing Hartley on 14th May 2019. [68]
A local collapse of parapet walling alongside the bridge occurred in 1966. The bridge is off to the left of the photograph, the running line of the Coalport Branch just below the image. This press cutting was shared on the Telford Memories Facebook Group by Paul Johnson on 1st March 2014. [69]
In this postcard aerial view of Snedshill Brickworks from the West, the Mineral Railway adjacent to the Coalport Branch is visible, crossing the A5 at the bottom edge of the image. The Coalport Branch is just off the bottom of the picture. [70]
Snedshill Brickworks again, this time in the 1950s and viewed from the East. The A5 runs away to the right of the image. The cutting of the Coalport Branch runs across from middle-right to middle-left. The A5 bridge over the line is hidden by the Works buildings. This picture was shared on the Telford Memories Facebook Group by Marcus Keane on 26th March 2014. [71]
From a similar angle to the last picture but taken from the Lilleshall Brickworks buildings in 1974, this image was carried by the Shropshire Star at the time. The A5 runs diagonally across the shot with the dwarf wall above the arched Greyhound Bridge visible to its right. The cutting of the Coalport Branch runs left to right across the centre of the image. The picture was shared on the Oakengates History Facebook Group on 22nd October 2020 by Gwyn Thunderwing Hartley. [72]

This photo does not have the best of definition, but it is worth including as it shows the view South across the Brickworks before redevelopment work in the area. The Shrewsbury to Birmingham line curves away to the East. The A5 bridge over the Coalport Branch is visible at the bottom of the image. [33]

This aerial image looks to the South at a time of great change in the local landscape. In the bottom-eft of the image, the A5 still runs on its route passed the Snedshill Brickworks and across what was once the Coalport Branch. Greyhound roundabout is under construction. South of the roundabout the mainline from Shrewsbury to Birmingham appears out of its tunnel and the A442 construction alongside it is well advanced. Toward the top of the image is the M54 construction work and in the top-right corner, part of Telford’s new town centre. [73]
his aerial image is taken facing North. The Coalport Branch no longer features. Snedshill Brickworks remain and the A442 is not yet completed and there is little or no evidence of it North of Greyhound Roundabout. What will be the Northbound off-slip road from the A442 runs South away from the newly completed Greyhound Roundabout. [73]
Looking North under the A5. A ‘9400’ 0-6-OPT, No 9401, is pictured with our previous vantage point in view. The bridge ahead is that carrying Holyhead Road across the Coalport branch, while rumbling beneath the photographer’s feet will be express trains passing through Oakengates tunnel; and it should also be remembered that the course of the Coalport line at this point was once a canal, because it was here that it sprang a leak! On the other side of the bridge is the link to the John Maddocks & Sons (ex-Snedshill Iron Works) siding, while the point diverging at the photographer’s feet is a spur south to the Priorslee Furnaces established by the Lilleshall Company. The LNWR/LMS route in Oakengates was at a much higher level than that of the GWR, hence the tunnel, but most of the heavy industry that needed to be served was even higher up the hill, so the Coalport line from Oakengates (Market Street) station to here has been climbing at 1 in 50. With passenger operations on the branch eliminated in 1952, the freight-only days of this line saw the route’s ex-LMS identity blurred by the regular use of Hawksworth 0-6-OPTS on the daily goods job to Dawley & Stirchley, the line being cut-back to there from 5th December 1960, and of course the ‘TOAD’ parked on the running line further blurs traditional LMS and GWR boundaries. © A.J.B Dodd. [1: p170]

From this point South the A442 now occupies the space which once was used by the Coalport Branch. The Northbound slip road from the A442 can be seen following the line of the old railway on the Railmaponlin.com satellite image below.

The 25″ Ordance Survey of 1901, published 1902, shows the Coalport Branch passing over the GWR Shrewsbury to Birmingham main line. The GWR line passed under the area in a deep tunnel with the Coalport Branch above it also in a relative deep cutting. The two lines ran approximately parallel for a short distance. [74]
Railmaponline.com shows the same area with the local lines overlaid on the satellite imagery from Google Maps. [33]
The view North, back towards Oakengates from the northbound slip road of the A442. [Google Streetview, June 2022]
The view South from the same location showing the approximate route of the Coalport Branch. [Google Streetview, June 2022]
A little further South along the A442 with the approximate line of the Coalport Branch marked once again. [Google Streetview, June 2022]
Further South again, this time the camera is on the southbound carriageway. The Coalport Branch ran approximately along the modern treeline. Beyond the horizon the A442 curves back over the formation of the old line. [Google Streetview, June 2022]
Further South again the A442 crosses the line of the Coalport Branch. The next Railmaponline.com satellite image shows that the footbridge in this view is very close to the point where the A442 leaves the formation of the Coalport branch. [Google Streetview, June 2022]
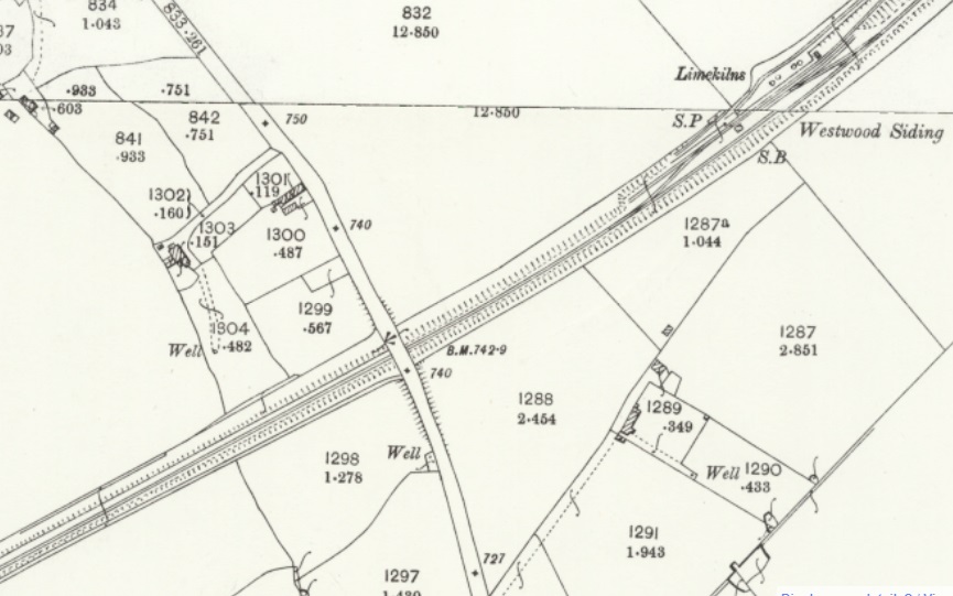
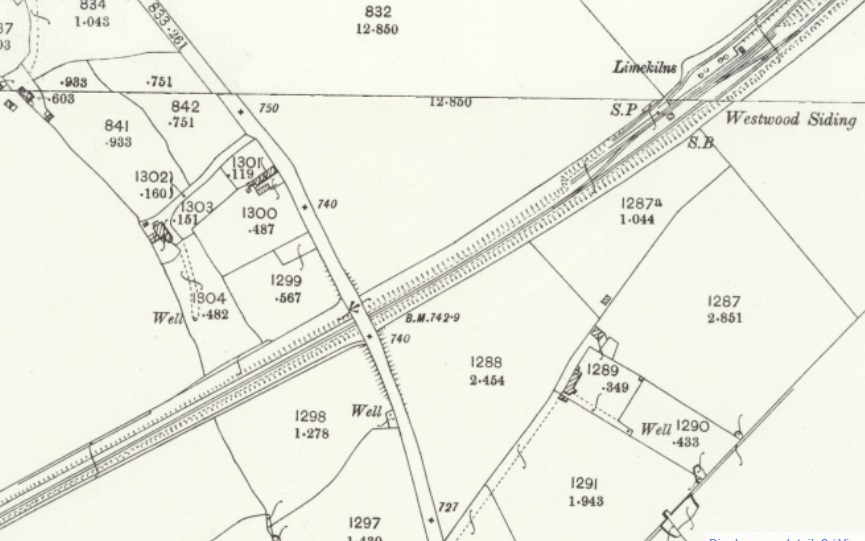
This next extract from the 25″ Ordnance Survey of 1902 shows the Shrewsbury to Birmingham line to the East of the Coalport branch and running parallel to it. Both pass under the road leading Northeast out of Hollinswood. The Coalport branch remains in cutting along much of its length on this map extract. [75]
The same area on the satellite imagery provided by Railmaponline.com. The purple line shows the route of the Coalport Branch which, from close to the top-left of the image ran along a route immediately adjacent to the modern A442. Hollinswood Road has been replaced by a footbridge over the A442 and the Shrewsbury to Birmingham main line. It is further cut to the Southwest by the M54 and its junction arrangement, just off this image to the bottom-left. [33]
Looking North towards Oakengates from the cycle track on the West side of the A442. The approximate route of the Coalport Brnach is indicated by the purple line. [My photograph, 13th March 2023]
Looking Southeast from the cycleway alongside the A442. [My photograph, 13th March 2023]
Another view looking North, but this time taken from the Footbridge/Cycleway bridge over the A442. [My photograph, 13th March 2023]
Looking South from the same bridge with the route of the old railway indicated by the purple line. The bridge ahead carries the M54 over the A442. [My photograph, 13th March 2023]
Looking South again, this time from the cycleway/footpath which runs under the M54 bridge over the A442. [My photograph, 13th March 2023]
This is now the view South towards the Telford Station footbridge. My photograph, 13th March 2023]
A few steps ahead and turning a half-circle, this is the view looking North under the M54 Bridge with the old railway route marked by the same purple line. [My photograph, 13th March 2023]
The view South once more showing the line of the old railway. [My photograph, 13th March 2023]
Looking North-northwest on Rampart Way under the footbridge leading to Telford Railway Station. The approximate line of the Coalport Branch is shown by the purple line. The M54 runs parallel to and beyond the purple line [Google Streetview, June 2022]
Looking to the Southwest under the Station Footbridge with the line of the Old Coalport Branch shown in purple. [Google Streetview, June 2022]
Old Dark Lane Colliery and Brickworks appear at the top of the next extract from the 25″ Ordnance Survey of 1901, published in 1902. Dark Lane Village is at the bottom of the image. Dark Lane village was lost as part of the development of Telford. The Branch has turned away from the Shrewsbury to Birmingham line towards the South. [76]
The same area on the satellite imagery provided by Railmaponline.com. The route of the old line cuts across the West side of the A442 interchange and then South through housing and across Dale Acre Way. [33]
Looking South across Hollinswood Interchange along the line of the Coalport Branch. [Google Streetview, June 2022]
Looking East along the northern arm of Dunsheath. The line of the old railway crosses the housing development immediately this side of the black car and the van (approximately)! [Google Streetview, June 2022]
Looking East along the southern arm of Dunsheath. The line of the old railway crosses the housing development as shown by the purple line. [Google Streetview, June 2022]

Old Darklane Colliery and Brickworks

The Colliery was opened in 1855 and closed finally in 1885. The owners were: Beriah Botfield (1855-1860]; Leighton and Grenfell (1869-1870); and Haybridge Iron Co. Ltd (1875-1885). [77]

Dark Lane Village

Dark Lane Village was lost in its entirety to the redevelopment which produced Telford. Dark Lane Row and the Methodist Chapel appear at the bottom of the OS map extract above. The remainder of the village features at the top of the OS Map extract below. Malins Lee Station was on the South side of the village. Little Dark Lane Colliery to the West. There were three long rows of cottages which were known locally as: Long Row (about 550ft long and containing 20 houses); Bottom Row (a little over 500ft long and containing 25 houses); and Short Row (nine houses built by the Botfield family in around 1825). A full description of the village and pictures of the buildings can be found on the Dawleyhistory.com website. [78]

The last extract on the Coalport Branch from the 1901 25″ Ordnance Survey shows Dark Lane village and Malins Lee Railway Station. [79]
The same area on the satellite imagery provided by Railmaponline.com. After crossing Dale Acre Way, the route of the old line heads South-southwest across open ground and then over land used for housing development. [33]
Looking West on Dale Acre Way. the approximate location of the old railway is shown by the purple line. [Google Streetview, June 2022]
The view West in the 1960s along Dark Lane the GWR mineral railway was hidden in the dip. The road then rose relatively steeply to cross over the Coalport Branch. The bridge can be seen middle-left of this image. [80]
This Streetview image is taken from approximately the same location as the picture immediately above. [Google Streetview, June 2022]
This bucolic colour image shows the road featured in the image above but this time from a location adjacent to Bottoms Row, Dark Lane. The bridge over the Coalport Branch can be seen again on the horizon. This photo was shared on the Telford memories Facebook Group by Marcus Keane on 28th February 2023. It was colourised by Simon Alun Hark. [81]
This image is taken from the same geographical location as the one immediately above, facing in the same direction. The light blue line indicates the alignment of the old Dark Lane. [Google Streetview, June 2022]
This postcard view shows Bottom Row with the Methodist Chapel beyond. The bridge on the right of the image carried Dark Lane over the Coalport Branch. Malins Lee Station was beyond the bridge to the right of the image. A matching modern image is not practical as the camera location is now in the midst of a copse of trees close to the boundary of the exhibition centre car park. [82]

The Miner’s Walk‘ website provides more information about the area around Dark Lane village. [83] It includes a hand-drawn overlay of modern roads over the Ordnance Survey of the 1880s.

The hand drawn overlay showing modern roads as they relate to Dark Lane village and Malins Lee Railway Station. [83]
Malins Lee Station as in appeared in 1932.The photograph seems to have been taken facing South from the bridge which carried Dark Lane over the line. The passenger facilities at the station seem to be a little different to others on the Coalport Branch. The station was closed for two years during WW1 as an economy measure and finally closed in 1952 with the line remaining open for goods traffic for more than a decade. Just to the South of the station was a single siding which served immediately local industries. This picture was shared by Lin Keska on the Telford Memories Facebook Group on 15th August 2018. [84]
Marcus Keane shared this composite image on the Telford Memories Facebook Group on 20th July 2014 which shows the location of Malins Lee Station in relation to the modern blocks of flats in Hollinswood. [85]
Malins Lee Station once again. This photo seems to have been taken from the filed opposite the station. The tall chimney behind the station was probably that of Dark Lane Foundry. This photograph was shared by Marcus Keane on the Telford memories Facebook Group on 24th January 2018, (c) Ray Farlow, circa 1907. [86]
Malins Lee Station passenger facilities. The photograph was shared on Telford Memories Facebook Group by Marcus Keane on 20th September 2017. [87]
Malins Lee Station had been closed to passengers for 12 years when this photograph was taken of a goods service on the Coalport Branch. The picture was shared on the Telford memories Facebook Group by Lin Keska on 15th August 2018. [88]

The Coalport branch line was, from its inception, geared towards freight traffic rather than passengers, and there were numerous private sidings linked to nearby factories within the Oakengates Urban District. One of these sidings, known as Wombridge Goods, served Wombridge Iron Works, which had a connection with a surviving section of the Shropshire Canal. There was also Wombridge ballast siding and Wombridge Old Quarry siding, while other sidings served the iron foundry of John Maddocks & Son, and also the Lilleshall Company’s steel works at Snedshill.

Successive editions of The Railway Clearing House Handbook of Stations reveal further private sidings on the Coalport branch, including, in 1938, the Exley & Son siding and the Nuway Manufacturing Co siding at Coalport, and at Madeley Market there was the Messrs Legge & Sons’ siding and the Madeley Wood Cold Blast Slag Co siding.

The original train service consisted of three passenger trains in each direction between Wellington and Coalport, with a similar number of goods workings. This modest service persisted for many years, although an additional Thursdays-only train was subsequently provided in response to the increased demand on Wellington market days. In 1888 the branch was served by four passenger trains each way, together with five Up and three Down goods workings. By the summer of 1922 there were five Up and five Down passenger trains, with an additional short-distance service from Wellington to Oakengates and return on Saturdays-only.

In the final years of passenger operation, the timetable comprised five trains each way. In July 1947, for example, there were Up services from Coalport at 6.22am, 8.50am, 11.57am, 4.40pm and 7.40pm, with corresponding Down workings from Wellington at 8.04am, 10.02am, 1.40pm, 6.30pm and 9.15pm; a slightly different service pertained on Thursdays and Saturdays. The final branch passenger service in 1952. consisted of four Up and four Down trains, increasing to five each way on Thursdays and six on Saturdays.

The Oakengates (West) Route

This excellent aerial image looking North shows Oakengates (West) Station on the left and Oakengates (Market) Station top-right. The image was shared by Darren Minshall on the Telford Memories Facebook Group on 26th February 2021. it allows to see just how close the two lines were South of the centre of Oakengates. [41]

In order to explain the layout of the railway system in and around Oakengates, it would be useful to visualise the route taken by the present-day trains on the Shrewsbury & Birmingham main line as they proceed north-westwards from Wolverhampton, via Bilbrook, Codsall, Albrighton, Cosford, and Shifnal. Beyond Shifnal, Madeley Junction – 156 miles 21 chains from Paddington via Oxford and Birmingham (Snow Hill) – is where the former Madeley branch diverges south for Lightmoor and continues as the Ketley branch to Coalbrookdale, this route was still used early in the 21st century to serve the Ironbridge power station. From Madeley Junction the main line turns on to a north-north-easterly heading, soon passing the once extensive sidings at Hollinswood (157 miles 25 chains). Here the Lilleshall system was accessed from the Great Western network on the Up side, while a little known line ran from Hollinswood Down sidings to Stirchley to serve a concentration of local industry. The 1¼ mile line was opened by the Great Western in 1908 and it closed in 1959 – in later days there were three workings a week.

This extract from the 25″ Ordnance Survey of 1901, published in 1902,shows Hollinswood Junction on the GWR/BR mainline between Shrewsbury and Wolverhampton. [91]
This extract from the NLS provided ETSI satellite imagery shows the same are in the 21st century. The only thing which remains from 1901 is the double track mainline railway! The platforms of Telford Central Railway Station can be made out in the top-left corner of this image. [91]
A view looking Southeast from Hollinswood Signal Box as Collett ‘Hall’ class 4-6-0 No. 5912 Queen’s Hall heads a Down passenger train towards Oakengates tunnel, its next likely stop being Wellington. Using GWR terminology, the line on the far right is the Stirchley branch, but it was also known as the Old Park branch or Botfields siding. Opened in 1908, despite its length of little more than a mile, over the years it served Grange Colliery, Wrekin Chemical Works, Old Park Iron Works, and Haybridge Colliery, among other locations, but officially the end of the line upon its 2nd February 1959 decommissioning was a Tarmac siding in Stirchley; sadly there is no date recorded for this view, so the link to Stirchley may already be out of use, the long term allocation of the passing ‘Hall’ to Tyseley shed giving no tangible clues. Of note is the massive water tank at the cutting to the east end of the sidings, an Up-facing freight is in the Down goods loop, and the LMS-pattern brake van on the far left is in the sidings from the former Lilleshall Company’s Priorslee site. A.J.B. Dodd/Colour-Rail.com [1: p171]
Almost exactly the same view on Easter Monday 1948. This image was shared by Marcus Keane on the Telford Memories Facebook Group on 19th April 2020. [123]
A view looking Northwest across Hollinswood sidings. David Bradshaw says that he used to play Cowboys and Indians on the steelworks slag heaps here. The locomotive is a Great Western Churchward 2-6-0 – mixed traffic (passenger and freight) built Swindon Works 14/6/1920 withdrawn from service 1/9/1959 having covered 1,266,196 miles – still with original design cylinders. This image was shared by David Bradshaw on the Oakengates History Group Facebook Group on 4th December 2016. [100] This image is also included in David Bradshaw and Stanley Jenkins article. In that article these notes are alongside the image: “In early British Railways’ days, former GWR Churchward Mogul No 5381 heads a southbound passenger train past Hollinswood sidings, the massive yards established a little way from the southern portal of Oakengates tunnel to exchange traffic with the Lilleshall system. The distant chimneys and slag heaps are those of the Priorslee Furnaces, one of the principal Lilleshall Company establishments – and David Bradshaw says, these slag heaps proved to be great terrain for playing Cowboys & Indians in the early to mid-1950s. As an aside, the Wolverhampton-bound passenger train is effectively passing through the site of what is now Telford Central station, the impressive but arguably ugly industrial scene that I recall now landscaped to provide a modern road system serving the 1980s-built station and industrial estates, the area also being bridges by the M54. A.J.B. Dodd.” [1: p167]
Loco. No. 48516 heading through Hollinswood Junction with its train of coal wagons in 1965. This image was shared on the Telford Memories Facebook Group by Lin Keska on 4th April 2018. [114]
This image was also shared on the Telford Memories Facebook Group by Lin Keska on 4th April 2018. [114]
: The signal box diagram for Hollinswood shows the box sited at the end of the Stirchley branch, on the Down side of the main line with the signalman facing north as he works the frame, overlooking five through lines as well as other additional through sidings. This diagram is to an extent the tip of the iceberg, as it only shows equipment – signals, ground signals, points and related locking equipment – that is worked from the box itself, so clearly any hand-worked points at the extremities of the yards are not shown, so this explains the mysterious lines petering out from the Up yard into the Lilleshall network, which was of course the lifeblood of this location. Signalling Record Society. [1: p171]
In this image Hollinswood sits beside the mainline as construction work for the new road interchange continues around it. This image was shared by Steve Bowers on the Oakengates History Group Facebook Group on 3rd July 2021. [113]

In modern times, a new station, Telford Central (157 miles 40 chains) has appeared between the site of the yards at Hollinswood and the 471-yard long Oakengates tunnel.

Telford Central Station looking back Southeast towards the location of Hollinswood Junction in 2009, © Richard Law and licensed for reuse under a Creative Commons Licence, (CC BY-SA 2.0 DEED). [92]
Telford Central Railway Station looking Northwest towards the M54 overbridge and then Oakengates Tunnel beyond. © Mark Taylor. [93]

The modern M54 crosses the railway to the Northwest of Telford Central Station and the railway then is in steep cutting before plunging into Oakengates Tunnel.

This next extract from the 25″ Ordnance Survey of 1901 shows the area to the Northwest of what will become Telford Central Railway Station. [94]
The same area as shown on the Ordnance Survey above but as it appears on the ESRI satellite imagery provided by the NLS. The platforms of Telford Central station can be seen at the bottom of the image. The M54 crosses the image left to right with one of the slip-roads visible at the left of the picture. The modern A442 runs parallel to the railway on its Southwest flank. The bridge carrying Park Road/Hollinswood Lane over the railway is still in place although no longer used by road traffic. [94]
Hollinswood Lane/Park Road overbridge now carries a right of way rather than a highway. This image was shared on the Cinderloo Facebook Page on 11th November 2019. [95]
This extract from the 25″ 1901 Ordnance Survey shows the area just to the South of Oakengates town centre. Oakengates Tunnel is shown by the dotted lines running under the Coalport Branch. The southern portal of the tunnel can be seen in the bottom third of the map extract. [96]
The same area, once again, the GWR/BR mainline can be seen entering the satellite image from the South. The tunnel portal is in the same position as on the map extract above. Everything else has changed significantly. The a442 runs South to North. The Greyhound roundabout sits over what would have been the Coalport Branch and the GWR/BR tunnel. [96]
The Southern Portal of Oakengates Tunnel. It was built in the 1840s to Broad Gauge dimensions although Broad Gauge track never reached this far. It is the furthest North of any structure built for Brunel’s brainchild, © Gordon Cragg and licensed for reuse under a Creative Commons Licence (CC BY-SA 2.0 DEED).
[97]

This tunnel is the longest on the Shrewsbury to Wolverhampton line, as well as being the longest of three railway tunnels presently in use in Shropshire. The tunnel passed beneath the summit level of the Shropshire Canal, and it was the scene of a disaster in 1855, when a breach from the canal occurred. The entire summit level emptied into the tunnel, causing flooding in the town, although there were no reports of personal injuries. It is interesting to note that the S&BR Directors decided that the tunnel should be made wide enough to accommodate two broad gauge lines, although in actual fact the Shrewsbury & Birmingham Railway was constructed and opened as a standard gauge route.

This map extract was shared by Norman Paggett on the Oakengates History Group Facebook Group on 5th March 2021. He comments: “When the railway came to Oakengates in 1848, the tunnel builders skimped a bit, and shaved it too close to the bed of the Ketley canal above. (that made the tunnel cheaper to cut) In July 1855 the Ketley canal broke through, and a mile of canal water cascaded through the town. This break was at the back of the plant hire company, opposite The Greyhound Pub, (Dominos).” [102]
The North portal of Oakengates Railway Tunnel, (c) Neal Hudson and shared on the Oakengates History Group Facebook Group by Gwyn Thunderwing Hartley on 27th February 2019. [101]
The North portal of Oakengates Tunnel seen from Oakengates Railway Station (2006), © Mr M Evison and licensed for reuse under a Creative Commons Licence (CC BY-SA 2.0 DEED). [98]

Emerging into daylight once again, trains pass through a deep cutting before coming to rest in the still-extant station at Oakengates (158 miles 32 chains), which was of course known as Oakengates (West) for a while, its reversion to ‘Oakengates’ coming after the passenger closure of the Coalport line.

Up and Down platforms are provided at Oakengates, the main station building (now a dental practice) being on the Up (southbound) side. The Down platform was formerly equipped with a subsidiary waiting room, but just simple waiting shelters are now provided on both platforms at this unstaffed stopping place. The platforms are linked by a standard Great Western lattice girder footbridge, while a public footpath is carried across the line on a plate girder footbridge at the Hollinswood end of the station.

Shortly after passing through Oakengates tunnel, visible in the distance, ‘Grange’ class 4-6-0 No. 6827 Llanfrechfa Grange heads a northbound freight through Oakengates (West). The footbridge at this end of the station was not part of the station infrastructure, instead it carried a public footpath across the line, this continuing through an alley at the north end of the Maddock’s Foundry site on Station Road, part of which is seen to the left. John Maddock had manufactured nails in Stirchley in 1869, and his move to Oakengates came nine years later. Thereafter, as John Maddock & Co, a wide variety of malleable iron products were made at its ‘Great Western nail works’, and later there was expansion into bicycle and car parts, the thriving business necessitating the expansion of the Station Road site, and then the purchase of the former Snedshill Iron Works. A major employer in the area, 200 staff were on the books in 1891, while there were 575 in 1960, this view seemingly dating from the mid-1950s. A.J.B. Dodd/Colour-Rail.com. [1: p172]
A winter night at Oakengates Railway Station. This image was shared by Richard Harris. on the Telford Memories Facebook Group on 13th April 2014. [4]
: A view from the northbound platform at Oakengates (West), or more correctly just ‘Oakengates’ by the time this mid-1960s view was photographed, illustrates the Edward Banks’ designed red-brick station buildings on the Up platform. At this stage the loggia is still complete, this effectively offering waiting passengers near complete protection from the elements. This luxury would be lost by the summer of 1973 as thereafter the central pair of low walls seen in this view existed as the bottom of a small glazed area, but the canopy had gone, and by 1 April 1974 the station was unstaffed. A motorbike is parked under the canopy, while cycle sheds are between the station’s footbridge and the public footbridge by the Maddock’s buildings. David Bradshaw says: “There was a rule as to where we would settle to trainspot, but I’ve spent many an hour stood behind the fence on the left of this view, ear-cocked ready for a tell- hale whistle from the other side of the tunnel.” Tony Ross/Kidderminster Railway Museum. [1: p172]
Oakengates Railway Station building in the 21st century, © Jaggery, 2015, and authorised for use under a Creative Commons Licence (CC BY-SA 2.0 DEED). [90]


The main station building was designed by Edward Banks, one of Wolverhampton’s leading architects, who had been appointed to design and oversee the erection of the S&BR’s buildings. It was a typical Banks’ design, of red brick construction, in the Italianate style, with an open-fronted loggia for the benefit of waiting passengers. The latter has now been removed, but the main, two-storey hip-roofed building still remains intact.

An early photograph of the North end of the platforms at Oakengates Railway Station illustrating the proximity of the goods shed to the platforms. This image was shared on the Oakengates History Group Facebook Group by Gwyn Thunderwing Hartley on 29th February 2020. [99]
This slightly wider view of the North end of Oakengate Station was shared by Gwyn Thunderwing Hartley on the Oakengate History Group Facebook Group on 23rd September 2023. [103]
An early photograph of Oakengates Railway Station and footbridge. This image was shared on the Oakengates History Group Facebook Group by Gwyn Thunderwing Hartley on 29th February 2020. [99]

Prior to rationalisation, the station had been equipped with sidings on both sides of the running lines, the main goods yard, with half-a-dozen sidings, being to the north of the platforms on the Up side; one of these sidings crossed over Lion Street and ended a short distance from the LNWR ‘timber siding’. Two additional sidings were also available on the opposite side, and one of these served the cattle loading dock, where on dry days the local trainspotting fraternity would gather. The 1938 Handbook of Stations reveals that Oakengates was able to handle a full range of goods traffic, including coal, livestock, vehicles, horse boxes and general merchandise. There was a large, brick-built goods shed, and a six-ton yard crane. The station was signalled from a gable-roofed signal cabin that was sited near the entrance to the goods yard, on the Up side of the running lines.

While the image above clearly shows the relationship between the station building and the goods shed, this is a much better view of the main station building as it was in 1967. The image was shared on the Telford Memories Facebook Group by Nick Nandan on 14th April 2014. [5]
A more distant view of the main station building as it was in April 1968. The image was shared on the Telford Memories Facebook Group by Marcus Keane on 20th February 2016. [11]
The Station Building in the mid-1980s. This image was shared by Jeff Williams on the Telford Memories Facebook Group on 15th July 2014. [9]
The Goodsyard adjacent to the passenger station building at Oakengates became the site of a Cement Silo belonging to Tunnel Cement. The passenger station building can be glimpsed behind the first coach on the train. The plant was at one time rail-served but this is no longer the case by the time this photograph was taken. The locomotive is a Class 47 diesel, I believe. This 1980s image was shared on the Oakengates History Group Facebook Group on 11th September 2016 by Stephen Tripp. [104]
An earlier image of the same plant. This view was shared by Marcus Keane on the Telford Memories Facebook Group on 24th November 2017. [105]
This photograph was taken by Richard Foxcroft and comes from his website about Telford’s railways. These are his comments: “There used to be extensive sidings (and a coal yard?) here, but now it is an unmanned station at which only the most-stopping trains call. The former station building has become a dental surgery.
The fine bridge at the bottom or Market Street, Oakengates is an original Shrewsbury & Birmingham Railway bridge which bears a cast iron plate ‘Lilleshall Company Fect. 1848’. The goods yard in Oakengates had two sidings for Castle Cement until very recent years I can’t remember when they were closed but certainly they were still there when the ‘Donnington Farewell’ ran on 6.7.91.” [112]

Restarting from Oakengates (West) station, Bennetts or Padmores siding was sited on the Down side, and beyond Wombridge level crossing (159 miles 5 chains) was New Hadley Halt (159 miles 43 chains). This basic stopping place was opened on 3 November 1934.

Oakengates Railway Station as it appeared on the 25″ Ordnance Survey of 1901. At this time there was a significant goods yard which appears to have been kept relatively busy. In the top-left of this map extract the bridge over Bridge Street is visible. [106]
In the 21st century the station platforms and the passenger station building remain. Substantial development has occurred around the vicinity of the station and the goods yard is long-gone. This is another extract from the ESRI satellite imagery provided by the NLS. [106]
Looking through the Railway Bridge up Market Street, Oakengates, circa 1967. The Coffee Palace building to the left was demolished by Telford Development Corporation in 1975, This image was shared on the Oakengates History Group Facebook Group by Gwyn Thunderwing Hartley on 18th September 2020. [107]
A, J.W Jones, of St Georges Bus at Bridge St. Oakengates in 1963. In view are the Coalport Tavern & Woods Grocery (now the Bridge Street Dentists) as well as the bridge carrying the GWR/BR mainline. (c) Roy Marshall. This image was shared on the Oakengates History Group Facebook Group by Gwyn Thunderwing Hartley on 31st March 2023. [110]
Oakengates Railway bridge seen from the West with Market Street beyond. [Google Streetview, Jun 2022]
This colourised postcard view shows the railway bridge from the opposite direction. This image was shared on the Oakengates History Group Facebook Group by David Lowe on 8th February 2014. [111]
Oakengates Railway Bridge seen from the East. Market Street is behind the camera. [Google Streetview, May 2019]

Just a little further to the West the railway crossed/crosses Hadley Road.

the 1901 25″ Ordnance Survey shows the railway passing over Hadley Road. [115]
The Railway Bridge over Hadley Road seen from the Southeast in June 2022. [Google Streetview, June 2022]

Proceeding in a westerly direction towards Wellington, there was a halt at New Hadley from 1934. Richard Foxcroft had a friend who remembered trains stopping at Hadley Halt as late as 1978-80, and Dave Cromarty was on the last train to stop there on 13th May, 1985 – despite which nothing remains of it. [112]

The southbound platform of New Hadley Halt, a basic timber-built structure on the western side of Oakengates. This mid-1960s scene shows the running-in board near the Up platform shelter, and the facilities on the Down platform were equally basic, a foot crossing at the Ketley Junction end of the halt being provided to cross the line. Opened in 1934, this stopping pace would go on to serve the people of Hadley for over fifty years. Tony Harden Collection. [200]

Beyond here, Ketley Junction (160 miles 22 chains) was where the Ketley branch trailed in on the Down side this was a through route that at its south end joined the Madeley branch at Lightmoor, its passenger duties generally starting at Wellington and working through Coalbrookdale and Buildwas to reach Much Wenlock.

Concluding our run along the Great Western Railway’s main line, Stafford Junction (160 miles 75 chains) was the meeting point of the LNWR/LMS-owned Shropshire Union line from Stafford, and Wellington station was sited 161 miles 27 chains from Paddington.

A penultimate image on the Oakengates West route! The photograph shows an ex-GWR Grange 4-6-0 locomotive No. 6870 on an up service leaving Wellington Railway Station in 1962. The image was shared on the Telford Memories Faceebook Group by Barry Jennings on 24th April 2023. [117]
A final image for our transit Southeast to Northwest along the GWR mainline. This image shows the Up Cambrian Coast Express running into Wellington Railway Station. The photograph looks westwards, towards Shrewsbury. The Express had left Pwllheli at 09.55, was joined at Machynlleth by a section that left Aberystwyth at 11.45 and ran via Welshpool to Shrewsbury, where it reversed and this day 4-6-0 No. 5917 ‘Westminster Hall’ (built in July 1931 and withdrawn in September 1962) took it on the next stage to Wolverhampton (Low Level), © Ben Brooksbank and authorised for use here under a Creative Commons Licence (CC BY-SA 2.0). [89]

Oakengates (Market Street)

The Coalport line diverged from the Wellington to Stafford route at Hadley Junction, and ran south-eastwards via Wombridge goods station, at which point various private sidings branched out to serve Hadley Lodge Brickworks and other industrial concerns. We have followed the route through Oakengates already but we have not looked directly at the station. It seems right to preserve the structure of David Bradshaw & Stanley C. Jenkins’ article, and so we look at Oakengates (Market Street) Station here.

Oakengates, the largest station on the Coalport branch, was a short distance further on. The former LNWR and LMS station was renamed Oakengates (Market Street) on 18th June 1951, to prevent confusion with the nearby GWR station, which was thereafter known as Oakengates (West). The town’s Coalport line station was orientated on an approximate north-to-south alignment, and its layout included Up and Down platforms for passenger traffic, with a level crossing immediately to the north of the platform ramps.

The crossing adjacent to Oakengates (Market Street) Station on Station Hill. This image was shared on the Telford Memories Facebook Group by Paul Wheeler on 8th March 2018. [2]
Looking South in 1963 across the level-crossing, the small signal cabin is on the left, the passenger facilities to the right and, it seems, a full goods yard beyond. Thus image was shared by Gwyn Thunderwing Hartley on the Oakengates History Group Facebook Group on 12th August 2020. [108]
Taken from a point a little further up Station Hill, the station building can be seen with the enclosed loggia between the two single-storey flat-roofed brick-built rooms. The single-storey building, contained the booking office and waiting room facilities. The single-storey portion faced on to the platform, and it featured the two rectangular bays and a central loggia, which was fully enclosed by a wood and glass screen to form a covered waiting area. This image was shared on the Telford Memories Facebook Group by Paul Wheeler on 16th August 2017. [3]
A view from almost exactly the same location in 2022. The police station site is on the left of the image, the modern railings in the same location as on the image above. The A442, Queensway, overbridge now dominates the scene. [Google Streetview, June 2022]

The main station building was on the Up (northbound) platform, while the diminutive signal box was situated on the Down platform, in convenient proximity to the level crossing. The cabin was a standard LNWR gable-roofed box, albeit of the smallest size.

Greetings from Oakengates. A commercial postcard, franked in October 1905, shows the station forecourt area of the LNWR station in Oakengates. The view is looking east up Station Hill, and the Methodist Chapel on the right was where David Bradshaw and his sister went to Sunday School in the late 1940s and early 1950s. Halfway up the hill, the Lilleshall Company main line crossed at road level and the disused canal passed under the road. The crossing featuring in the pictures above is on the left side of this image. David Bradshaw Collection. [1: p175]

This photograph is taken from a point just off the left of the above image and also looks East up Station Hill across the railway line, which was by the time the picture was taken, closed. The image was shared on the Telford memories Facebook Group by Marcus Keane on 13th November 2016. [56]

The main station building, which was similar to that at Coalport, was a typical LNWR design, incorporating a one-and-a-half-storey Stationmaster’s house at the rear, and an attached single-storey building, which contained the booking office and waiting room facilities. The single-storey portion faced on to the platform, and it featured two rectangular bays and a central loggia, which was fully enclosed by a wood and glass screen to form a covered waiting area. The residential block sported a steeply pitched slate-covered roof, whereas the booking office portion had a flat roof. The building was of local brick construction, with tall chimneys and slightly arched window apertures. This distinctive structure was erected, as were all the others on the line, by local builder Christopher Bugaley of Madeley. There was a detached gentlemens’ convenience on the Up platform, while facilities for waiting travellers on the Down platform comprised a small waiting room.

Looking West into Oakengates after the removal of the passenger facilities at Oakengates Market Street Station. Rails remain in the road. It is possible that this photograph was taken in the late 1950s or the very early 1960s. It was shared on the Oakengates History Facebook Group by Gwyn Thunderwing Hartley on 10th March 2017. [57]
This little tableau of three images (one above and two below) were shared on the Oakengates History Facebook Group on 16th July 2019 by Gwyn Thunderwing Hartley. Two of the pictures show the work going on to deal with a derailment of a Pannier Tank. The photographs of the derailment were sent to the Group by John Wood (c) A.J.B. Dodd Dodd. Gwyn Thunderwing Hartley writes: A “derailment at Oakengates Crossing sometime before 1958. This is the LNWR LMS Rail line Market Street/Station Hill. Pic 3 shows where the then disused Line cuts across the Station Hill Road (the line ran between the Building and the Bus Stop traveling in the direction of Wellington), the building is the old Whitefoots Showroom, this was formerly a Pub, the building you can see the back of in the derailment pic is this same as in Pic 3. Much of this info is from John Wood.” The first picture shows the level crossing gates in the background and was taken looking Southeast with the Goods Yard and erstwhile Station Buildings beyond the Crossing gates to the South. The first of the two pictures below is taken looking North from the crossing gates. [58]
Looking South from the level-crossing at the bottom of Station Hill and the top of Market Street. Oakengates (Market) Railway Station buildings were off the image on the right. The station platform edge can be seen through the crossing gates. The line curves round passed the Goods Yard, under Canongate Bridge and on towards the A5 at Greyhound Bridge. The photo was shared by Gwyn Thunderwing Hartley on the Oakengates History Facebook Group on 9th November 2019. [59]

Two dead-end goods sidings at Oakengates were provided on the Down side, while the Up side sported a sizeable goods yard and a substantial goods shed. There was also a timber yard siding and an additional goods shed that was used by Millington’s, a local company. The 1927 Ordnance Survey map suggests that the timber siding ran to within a few yards of the local (Oakengates & District) Co-operative Society Depot, and it was hardly a stone’s throw from a connection from the GWR station. For a time David Bradshaw attended the Sunday School at the Methodist Chapel halfway up Station Hill and was a regular at the classic Grosvenor Cinema, which was close to Market Street station. Halfway up Station Hill, the old canal and Lilleshall Company lines ran under and across the road respectively.

This photograph was taken in 1982 and shows the old goods facilities at Oakengates (Market) Railway Station. The view is taken looking North. By 1982, these buildings were in use by G.H.Ellam. This picture was shared by Gwyn Thunderwing Hartley on the Oakengates History Facebook Group on 18th May 2019. [109]

Motive Power on the Great Western Route

The Shrewsbury & Birmingham line was classified as a ‘Red’ route under the GWR system of locomotive weight restrictions and, as such, it was worked by a wide range of locomotive classes, including ‘Castle’, ‘Star’, Hall’, ‘Grange’, and ‘County’ class 4-6-0s. The impressive ‘4700’ class 2-8-0s were employed on overnight freights, while the ‘Kings’ made occasional appearances in the late 1950s on the ‘Cambrian Coast Express’. One London-bound express stopped at Oakengates, but passenger traffic was generally covered by Wellington to Wolverhampton local services.

In the 1950s, regular engines seen included the surviving ‘Star’ class 4-6-0s based at Wolverhampton or Shrewsbury, and Chester- allocated ‘Saints’. Wolverhampton was also home to the unique ‘Star/Castle’ conversion, No 4000 North Star, together with No 4079 Pendennis Castle and No 4061 Glastonbury Abbey – one of only three surviving ‘Stars’ at the time. Shrewsbury shed had Nos 5050 Earl of Saint Germans, 5073 Blenheim, and 5097 Sarum Castle. The ‘Stars’ were replaced at Wolverhampton, and later at Shrewsbury and Chester, by the Hawksworth ‘Counties’; the following ‘Counties’ were noted on the main line through Oakengates between 1953 and 1962 Nos 1000/03/08, 1013/16/17, and 1022/24/25/26. Shrewsbury shed obtained very good work from them, particularly in their modified form.

The prestige train on the route was the daily ‘Cambrian Coast Express’, and this train invariably had a recently overhauled Old Oak Common ‘Castle’ for its arduous out-and-home run – it was widely considered to be one of the London shed’s hardest footplate duties. Notable performers on this job were three veterans Nos 4090 Dorchester Castle, 5084 Reading Abbey and 7013 Bristol Castle – all built between 1922 and 1924 and recently rebuilt with double-chimneys and four-row superheaters, but standard ‘Castles’ such as No 5082 Gladiator were also employed. On Summer Saturdays, the ‘Cambrian Coast Express’ changed engines at Wolverhampton rather than at Shrewsbury, producing a mixture of ‘Manors’, ’43XX’ Moguls, ‘2251’ 0-6-0s, and ‘Dukedogs’ – very often double-headed. There was also the weekdays-only Bournemouth (West)-Birkenhead (Woodside) train with its alternate rakes of BR maroon or Southern Region green-liveried coaches, these duties being hauled by Oxford-allocated ‘Castles’ and ‘Modified Halls’, or by Chester ‘Counties’.

In 1958 Chester passed into London Midland Region control, and the Jubilee’ class 4-6-0s, including No 45632 Tonga, began appearing on express turns, in place of the ‘Castles’ and ‘Counties’. There were also irregular visits from engines that were running-in after overhaul at Wolverhampton Works. One of the two surviving ‘Bulldogs’, No 3454 Seagull in fact was noted on a Wolverhampton-bound freight shortly before its withdrawal in November 1951, while the BR Standard ‘Clan’ Pacific No 72006 Clan Mackenzie turned up one Sunday with a troop train.

Local passenger workings were generally handled by Wellington or Tyseley-allocated ‘5101’ class 2-6-2Ts until the appearance of diesel-multiple-units in 1957, although even then there was still some passenger work for the local tank engine fleet to cover. During 1958 BR Standard Class ‘3MT’ 2-6-2Ts first arrived at Wellington shed, and Nos 82004, 82006 and 82009 all saw service locally, although they were gone by February 1960. On rare occasions pannier tanks also saw use on these trains. Pannier tank No 7754, now preserved at Llangollen, was allocated to Wellington shed, and it was noted shunting in the yard at Oakengates.

There was always a significant amount of through freight traffic, and in this capacity a variety of locomotives appeared, including Grange’ and ‘Castle’ 4-6-0s, and Churchward 43XX class 2-6-0s, such as Nos 6346, 7313 and 9302. On a less regular basis, ‘Aberdare’ class 2-6-0s were sometimes recorded on freight duties, with occasional sightings of 56XX class 0-6-2Ts. Stanier ‘Black Five’ 4-6-0s became regular performers during the 1940s, together with the ROD Robinson-designed 04′ class (30XX) 2-8-0s, ’28XX’ class 2-8-0s and War Department ‘Austerity’ 2-8-0s, while in the late 1950s and early 1960s freight traffic was increasingly being handled by newly-built BR Standard ‘9F’ class 2-10-0s, and Stanier ‘8F’ class 2-8-0s.

Perhaps the most interesting heavy freight locomotives seen on the Wolverhampton to Shrewsbury route during the 1940s were the massive ’72XX’ class 2-8-2Ts, which had been introduced in 1934 as ‘stretched’ versions of the ’42XX’ class 2-8-0Ts. They were in many ways tank engine versions of the ’28XX’ class 2-8-0s, and they were used on similar heavy-duty freight work. Nos 7226 and 7227 were both stationed at Wolverhampton’s Oxley shed in 1938, but they were used on the S&BR line in much greater numbers after 1947, by which time Oxley’s allocation comprised Nos 7207, 7222, 7226, 7227, 7230, 7236, 7238, 7240, 7243 and 7248. Thereafter, these heavy freight tanks became familiar sights, their usual duties being the haulage of through goods workings to and from Wolverhampton. On occasions, the 2-8-2Ts were pressed into service on passenger workings. For example on 4th July 1947 No 7226 was noted at Wellington at the head of a local passenger train, following the failure of the diagrammed locomotive.

In earlier years, the GWR had employed large numbers of six-coupled saddle tanks for local freight and shunting work, the ‘1501’ class 0-6-0STs being produced in large numbers for use in the company’s Northern Division. These engines were associated with the Oakengates area for many years, together with the visually-similar ‘645’ and ‘655’ classes; in later years they were rebuilt with Belpaire boilers, and this led to the introduction of the pannier tanks to avoid the difficulty of fitting saddle tanks over the raised firebox casings.

The rebuilt 0-6-OPTs formed, in effect, a single class of large panniers, and numerous examples were allocated to Wellington shed at various times. Some typical examples during the 1930s include Nos 1527, 1536, 1554, 1706, 1748, 1758, 1787 and 1808, the last survivors being former ‘655’ class engine No 1748, and ‘1854’ series 0-6-0PT No 1706, both of which were still at Wellington in 1946. Another pannier tank class seen in and around Oakengates was the ’27XX’ series, which dated back to 1896, while there were also a number of ‘850’ class and ‘2021’ class small panniers for local shunting work.

The ubiquitous Great Western Collett ’57XX’ class 0-6-0PTs were introduced in 1929 as replacements for the earlier ‘1501’ and ’27XX’ classes. Several of the ’57XX’ class 0-6-0PTs were stationed at Wellington for local goods work, and No’s 3752, 3744, 3749, 3755, 5758, 7754, 9624, 9630 and 9639 all appeared on the S&BR line at different times.

Motive Power on the Coalport Branch

The Coalport branch was, typically, worked by Webb ‘Coal Tank’ 0-6-2Ts, together with Webb 2-4-2Ts and ‘Cauliflower’ 0-6-0s.

The sole survivor in preservation of an LNWR Webb 0-6-2T ‘Coal Tank’. This is No. 1054 at Dinting in 1982, © David Ingham and licensed for reuse under a Creative Commons Licence (CC BY-SA 2.0). [197]

In earlier years the route had also been worked by LNWR 0-6-0 saddle tanks such as No 3093, which was recorded on the line in 1895. The London & North Western Railway ‘Coal Tanks’, which included the still-extant No 58926 (seen on the Coalport line as late as 21st October 1950), enjoyed a long association with the route, but at the end of the LMS era these veteran locomotives were replaced by Shrewsbury-allocated Fowler class ‘3MT’ 2-6-2Ts, such as Nos 40005, 40008, 40048 and 40058. The goods trains, meanwhile, were worked by a range of ex-LMS locomotive types, including Fowler Class ‘3F’ 0-6-0s, ‘4F’ 0-6-0s, and also the occasional ex-LNWR ‘Super D’ 0-8-0.

Webb 5ft 6in 2-4-2T poses for the camera at an unspecified location on the LNWR network during the First World War. These locos were used on the Coalport Branch when a ‘Coal Tank’ was unavailable. There is a picture of No. 6757 awaiting departure from Coalport with the 4.40pm service to Wellington on 5th September 1947 in the W.A. Camwell/SLS Collection. Camwell noted that this ‘1P’ was in use instead of the usual ‘Coal Tank’, due to a locomotive shortage. More than likely it was the 4ft 5in driving wheels of the ‘Coal Tanks’, nominally ‘1F’-rated freight engines, that made them a more popular choice for the passenger jobs on this steeply graded line. Within a few yards of departing Coalport the branch climbed at 1 in 40, a grueling ascent, at worst 1 in 31, continuing almost relentlessly for about three miles, to a point just short of Dawley & Stirchley. The stop at Madeley Market, halfway up the climb, was either a blessing or a curse, depending on the health of the 19th century engine and its fire. David Bradshaw can recall the ‘Coal Tanks’ on these duties, but by the time he started train spotting in 1951, these ex-LNWR 2-4-2Ts had all been withdrawn, © Public Domain. [198]

The passenger services, known locally as the ‘Coalport Dodger’ were poorly supported – except on market days in Oakengates and Wellington, and for the locally renowned Oakengates Wakes (Pat Collins Fair) – hence their early demise, particularly as the rival ex-GWR route to Wellington was more convenient. World War II staved-off closure for a few years, but in the early months of 1952 it was announced that passenger services would be withdrawn with effect from 2nd June 1952, and as this was a Monday the last trains ran on Saturday, 31st May. Fowler Class ‘3MT’ 2-6-2T No 40058 worked the final trains, its smokebox adorned with black flags, a wreath and the chalked letters ‘RIP’.

There is a picture of a former LNWR Webb ‘17in Coal Engine’, LMS No 8148, at the head of open wagons beyond the passenger extremity of the Coalport branch in about 1930, the carriage shed providing an attractive backdrop, in the Rail Archive Stephenson Collection.
This image shows one of the class (No. 3209) at the then London Road Station (Piccadilly Station) in Manchester, © Public Domain. [199]

Motive power on the line after the cessation of passenger services was often provided by Hawksworth ’94XX’ class 0-6-0PTs, such as Nos 9470 and 9472 (complete with broken front numberplate), or less frequently, by ’57XX’ class 0-6-0PTs. There was an incident when a ’57XX’ was derailed on the catch points just outside Oakengates station, although details are elusive. Wellington shed’s sole ‘1600’ class 0-6-0PT, No 1663, shunted the GKN Sankey sidings near the junction of the Stafford and Coalport lines and it is believed to have ventured up the branch on occasion.

A goods working which appeared at Oakengates after mid-day invariably featured an LMS Burton-based Class ‘3F’ or ‘4F’ 0-6-0, although on one unforgettable occasion, on 14th August 1957, Bath (Green Park)-allocated Stanier ‘Black Five’ class 4-6-0 No 44917, in ex-Works condition, turned up on this humble working. This train had apparently started life as a light-engine working that had left Shrewsbury (Coleham) at 5.10am and, on then reaching Shrewsbury (Abbey Foregate) at 5.35am, it picked up a goods working and eventually arrived at Priors Lee sidings, just outside Oakengates, at 2.20pm.

In the period from July to the end of October 1957, the following locomotives appeared on what local trainspotters called ‘the mid-day goods’ (although it actually arrived in the early afternoon) – Class ‘3F’ 0-6-0s Nos 43709 and 43809, Class ‘4F’ 0-6-0s Nos 43948, 43976, 43986, 44124 and 44434, and of course ‘Black Five’ No 44917.

It is interesting to note that excursion trains continued to run from Coalport after the withdrawal of the regular passenger services. On one occasion, around 1956, there were two excursions to the North Wales Coast on the same day, both of which were hauled by Class ‘5MT’ 4-6-0s. Only one of these workings stopped to pick-up at Oakengates, as the other ran straight through Oakengates station – it must have been one of the few examples of a ‘non-stop’ passenger working in the life of the line?
On 23rd April 1955 the Locomotive Club of Great Britain joined forces with the Manchester Locomotive Society to run a ‘Shropshire Rail Tour’, which left Shrewsbury at 2.30pm behind ‘Dean Goods’ 0-6-0 No 2516 on a tour of local branch lines, which included the Minsterley and Coalport routes, the fare for this interesting excursion being 15s 6d.

A year or two later, on 2nd September 1959, the Stephenson Locomotive Society arranged a further tour of West Midland branch lines, including the Womborne, Minsterley and Coalport routes, a Swindon three-car Cross Country diesel-multiple-unit being provided instead of a steam-hauled train, ostensibly to ‘improve timings’.

Another of David Bradshaw’s abiding memories is of an excursion, believed to have been arranged by the late Cyril Poole, a teacher from Madeley Modern School, which departed behind a Hughes/Fowler ‘Crab’ class 2-6-0 and returned in a tropical storm behind a ‘Super D’ 0-8-0, running tender-first. The train was made up to ten coaches and it took at least twenty minutes to surmount the 1 in 50 bank into Oakengates. Steaming was not an issue, but there were adhesion difficulties as the engine slithered and slipped up the bank – the noise level was something never to be forgotten!

The Lilleshall Company in Oakengates

The Lilleshall Company had a major presence in the Oakengates area, owning a significant number of brickworks, iron works, steel works, coke ovens, general engineering works, a concrete works, asphalt works, a coal distillation plant and at least twelve mines, which produced a mixture of coal, ironstone and fireclay. All but one of these locations appears to have been rail-connected, in some cases via tramways, and in others by a standard gauge railway system that connected with the LNWR/LMS system at Donnington exchange sidings (on the Wellington to Stafford line), at Oakengates on the Coalport branch, and at Hollinswood exchange sidings on the Great Western system. [1]

The Mineral Line used 200 mainline and 250 internal wagons. The company also bought some industrial locomotives from Barclay and Peckett. Through the years 22 locomotives were used on the line, 6 of these were built by The Lilleshall Company itself. The company also built a further 34 locomotives for their customers. [131]

Wikipedia tells us that the Lilleshall Company’s “origins date back to 1764 when Earl Gower formed a company to construct the Donnington Wood Canal on his estate. In 1802 the Lilleshall Company was founded by the Marquess of Stafford in partnership with four local capitalists. … In 1862 the company exhibited a 2-2-2 express passenger locomotive at the 1862 International Exhibition in London. In 1880 it became a Public company. In 1951 the Lilleshall Iron and Steel Co was nationalised under the Iron and Steel Act but then sold back to Lilleshall Co. under the provisions of the Iron and Steel Act 1953. The Lilleshall Company Railways closed in 1959. In 1961, the company were described as ‘structural and mechanical engineers, manufacturers of rolled steel products, glazed bricks, sanitaryware, Spectra-Glaze and concrete products’, with 750 employees. … The company began to decline during the 1960s. Many of its artefacts and archives are preserved by the Ironbridge Gorge Museum Trust.” [128]

Roger Brian, commenting on the Company’s railways, writes:

“I recall the Lilleshall railway which I explored in 1955-56. My uncle was at the time working for the company and rented a company house at Cappoquin Wrockwardine Wood. This was a very convenient base for exploration, as the railway ran past the garden gate and the engine shed was just opposite. I thinkI followed the entire railway to all its various branches. According to my cousin, who visited in recent years, the house is still there but a look at the latest OS Map suggests that the area has changed greatly.

Northwards, the line led to the junctions for Grange colliery and Granville colliery. At the Granville junction there was an engine shed for the NCB locos. I cannot say now whether this was of recent construction but it seems strange that there should be two old-established sheds so close together. I suspect this one was provided by the NCB on nationalisation. I would imagine that the coal required by the Lilleshall Company’s furnaces would have passed directly to them from Granville and Grange until then, but at the time I knew the line the practice was to bring the coal for the furnaces up to the loop that was clearly newly constructed about halfway between the NCB Engine shed and Cappoquin. The wagons would be left there for the Lilleshall Company’s engines to pick up.

Also in the area of the loop was a spur southwards to the Hoffman kiln which was still in existence at that time, but derelict. I think that the track had been lifted. Grange had also closed by that time and was rather derelict, but I cannot now recall whether the track was still in place. I think it had been removed. There were futher spurs to the north from the engine shed and these were used for NCB wagon storage though there were some dead Lilleshall ones there as well.

At that time Granville was still in operation, and the loaded wagons were brought down from there to the shed. Here a reversal took place and the wagons were then taken a line which ran northwards for about half a mile to where there had been another colliery long gone (?Waxhill Barracks?) Here there was another reversing station and from there the line descended to the Wellington-Stafford line at Donnington. This was the main outlet for the colliery.

The Lilleshall Company’s sheds were adjacent to their fabrication plant (St Georges?)and there were numerous overgrown sidings filled with abandoned wagons of the company. I recall a Peckett saddle tank in use and there was a large side tank as well, I think by Barclay, which I rode on.

There were further sidings about a mile further up the line beyond a level crossing and these were similarly occupied. It was possible from here to see the former LNWR line to Coalport. Beyond a further crossing (A5) was the company’s main site at Priorslee. Just beyond the crossing on the north side engines had been dumped, including Constance which the company had built themselves, and a sister engine of similar design.

The Priorslee operation was a pickle.I believe that at one time it had been integrated butsome of the processes had been discontinued. What was left were the blast furnaces producing pig iron in mediaeval conditions. I am not sure what happened to the pigs but the company did not then use them.

Adjacent to the blast furnaces were reheating furnaces for steel blooms produced elsewhere. Once heated these were transferred to the rolling mill and rolled to size suitable for use in the manufacture of prefabricated industrial buildings. These were then taken back to the fabrication plant, mostly by rail, but I suspect road was also used as well for the longer pieces.

Beyond the furnaces and the rolling mill was a small mountain of blast furnace slag with abandoned ladles – the whole area was extremely hazarous to walk on. Beyond that were further sidings, one of which led down to the GWR line.

The railway sytem continued to further collieries. I think that they were the Stafford and the Lawn. There were lots of overgrown sidings and abandoned wagons, and the whole of that part of the system was no longer in use. A further spur crossed the what was then the A464 again and continued to Woodhouse Colliery. This had been abandoned, but some of the buildings were still there.

I believe the railway system was run by a chap called Hughes but I never met him. I believe that it closed in 1959.

Sadly, summer 1956 was my last visit as my uncle left the company. This was probably just as well. My cousin told me recently that his father said that the directors were drunk most of the time, but I cannot vouch for this. So, a company and operations that had seen better days, but for me a new experience and a treasured memory.” [129]

The Lilleshall ‘main line’ ran south from Donnington through to Oakengates, where the links to the two main line railways were accessed from exchange sidings that acted as a hub for the nearby steel works at Snedshill, and for the facilities at Priors Lee (on the north side of the Hollinswood yards of the GWR/BR). Hollinswood exchange sidings was at the southern point of the same system, it being where the Lilleshall trains were handed over to GWR/BR locomotives – outgoing traffic from the system was in the form of pig-iron, bricks, concrete products and tiles, as well as coal.

Incoming traffic destined for the Priors Lee furnaces constituted coke and limestone, the latter being brought in from the Lilleshall Company’s quarries at Presthope on the Wellington to Craven Arms line.

Trains from Presthope for Hollinswood and the Lilleshall system appear to have followed different routes on occasion, with some travelling via Madeley Junction and some diverging at Lightmoor Junction for Ketley Junction (Wellington); Lightmoor was where the lines to Madeley Junction and Wellington diverged. Incidentally, Madeley’s GWR station opened on 2nd May 1859 as Madeley Court, and it was the only intermediate station between Lightmoor and Madeley Junction. Renamed Madeley (Salop) in June 1897, it was closed to passengers from 22nd March 1915, but briefly reopened to passengers from 13th July 1925 until 21st September  1915 – so the Madeley branch was virtually freight-only from 1915, and it was still part of the Network Rail system in the early 21st century. In addition, Lilleshall Co.-bound iron ore for smelting was brought in by rail. Iron ore arrived from Spain and Sierra Leone, with low grade domestic ironstone brought in from the Banbury area.

On careful inspection it can be seen that this 1953 Ordnance Survey map shows the Lilleshall system as a through route, albeit the line north from Granville to Donnington was by this time under NCB ownership. Dealing with public railways first, the ex-GWR main line passes from Wellington, through Oakengates and its tunnel, then Hollinswood, as it makes for Madeley Junction (bottom right) and Wolverhampton. The line heading north-east from the edge of Wellington is the former LMS route to Stafford, and off this is the by then freight-only Coalport branch, while north of Hadley Junction and Trench is Donnington exchange sidings, the northern outpost of the ex-Lilleshall system. The mineral line is in the shape of a reversed ‘S’, with Hollinswood’s BR connection to the south, Snedshill and The Nabb south of the curves near Wrockwardine Wood, and then there is a trailing spur south to the locomotive shed and engineering works. Thereafter, it is NCB territory, so after 1958 the coal traffic headed north for a convoluted journey via Donnington, Wellington (reverse), and Madeley Junction (reverse) to reach Ironbridge power station. Crown copyright. [1: p178]

Coal from the Lilleshall pits was despatched via Hollinswood to the Ironbridge power. station, which opened in 1932, and this traffic flow continued through to 1958, when the Lilleshall railway system was cut back. Coal was still being mined in the area under National Coal Board auspices, so with the former through route unavailable, the trains for Ironbridge power station were thereafter taken from Granville Colliery, by now combined with the Grange Colliery workings, to Donnington exchange sidings. From there they were hauled to Wellington, where a run-round and reversal was undertaken at the station. Unfortunately, the most direct route via Ketley to Ironbridge was not suitable for such heavy trains. Ketley Junction to Ketley would be taken out of use anyway in July 1962, so the route for the loaded coal trains was then from Wellington, through Oakengates station to reach Madeley Junction, where another reversal was necessary to access the line to the power station.

The dotted lines on this sketch map are private railways. The Lilleshall Company’s main line ran from The Humber Arm via Donnington Sidings (which are off the top of this map) via Granville and Grange Collieries in the top-right of the sketch map via Old Lodge Ironworks and Priorslee Furnaces down to Hollinswood. This sketch map was included on the Miner’s Walk website which provides information about the local area. [131]
Bob Yate provides a sketch of the whole of the Lilleshall Company’s network of railways. This extract from the sketch map shows themost northerly length of their railways The locations shown are those from Tate’s sketch map and its key. Those on this extract are: 8. The Humber Arm Railway; 9. Lubstree Wharf; 10. The Donnington (LNWR) exchange sidings and the Midland Ironworks. [142: p38]

The most northerly point on the Lilleshall Company’s Railways/Tramways was the Wharf at the southern end of the Humber Arm. The 25″ Ordnance Survey map extract below shows the original tramway sidings at the transfer wharf. The Humber Arm was a short branch canal from the Shropshire Union Canal Newport Branch.

An extract from the 25″ Ordnance Survey of 1882 which shows the southern end of the Humber Arm and the tramway terminus along side the Canal. [132]

South of what is in the 21st century a Ministry of Defence site, the old tramway/railway encountered the LNWR route to Newport and beyond. Passing under the LNWR main line, the route of the Lilleshall Company’s tramway and the later standard gauge line diverged as shown on the map extract below.

This extract from the 1882 25″ Ordnance Survey shows the point at which the LNWR bridged the Lilleshall Company’s tramway/railway. It also shows the old tramway route continuing to the South-southeast and the later standard-gauge mineral railway curving round to the Northeast to run parallel to the LNWR main line. [133]
This final RailMapOnline satellite image shows the features noted on map extract above and shows the dramatic changes which have occurred in the immediate vicinity of the old tramway. The tramway route is not followed by RailMapOnline South-southeast of Wellington Road. [134]

The tramway ran Southwest from this location finding its own way to Old Lodge Furnaces. The standard-gauge line turned to run parallel to the LNWR main line for a short distance before entering Donnington Wharf/Sidings.

The mineral railway curve round to run parallel to the LNWR mainline. [133]
At a smaller scale here but still the 25″ Ordnance Survey of 1882, this map extract shows the length of the mineral railway as it curves away from the LNWR mainline. There were some exchange sidings at this location and lines which accessed a Timber Yard and the Midland Ironworks site, both on the East side of the LNWR mainline. This short length of the line appears at the Southeast corner of the relevant OS map sheet. [132]
This RailMapOnline satellite image shows that the route of the old mineral railway ties in with the modern field boundary. [134]
On the curve on Donnington Sidings looking East. This is the same train as shown on the next picture. This image was shared by Carole Anne Huselbee on the Telford Memories Facebook Group on 14th September 2014. [135]
Donnington Sidings looking Northwest. A rake of empties setting off for Granville Colliery. Wellington Road Crossing is a short distance ahead of the locomotive. This photograph was shared by Carole Anne Huselbee on the Telford Memories Facebook Group on 5th October 2014. [136]
Wellington Road Crossing. This picture was shared by Carole Anne Huselbee on the Telford Memories Facebook Group on 5th October 2014. [137]
This next extract from the 25″Ordnance Survey of 1882 shows the mineral railway heading Southeast and crossing, first, what is now Wellington Road, and then running parallel to the modern Donnington Wood Way and crossing. [133]
The route of the old mineral railway runs parallel to Donnington Wood Way, approximately on the line of the footpath shown on this Google Maps extract. The red flag marker highlights its route. The diversion of Wellington Road away to the North of the old level-crossing can be seen in the top-left of this image. [Google Maps, July 2023]

The old mineral railway route runs alongside the modern Donnington Wood Way. The red flag on the extract from Google Maps above marks the line of the modern footpath which follows the centre-line of the Lilleshall Company’s railway.

An Austerity 0-6-0ST, ‘Granville No. 5’ an industrial saddle tank, is close to Wellington Road Crossing. The building next to it is now ‘Van Beeks’ Motor Factors. The location was known as ‘Coal Wharf Corner’. The photograph was shared on the Telford Memories Facebook Group © David Clarke. David says that No.5 is in charge of a loaded train which it is pushing into the exchange sidings. He worked as a petrol pump attendant at what is now ‘Van Beeks’. David Clarke is also the author of a book about the Railways in the Telford Area published by the Crowood Press. [138]
Somewhere along this length of the line on 8th September 1969, this view looking Northwest shows NCB Loco No. 8 hauling empty hopper wagons towards Granville Colliery. This image was shared on Telford Memories Facebook Group by Carole Anne Huselbee on 14th September 2014. [139]
This extract from the 25″ 1881 Ordnance Survey shows the mineral railway after having followed closely the route of Donnington Wood Way, curving round to the Northeast. Evidence of an older tramway can be seen in the Southwest quadrant of this map extract. Waxhill Barracks Colliery was just off the bottom of the extract. The line heading South approached Old Lodge Furnaces from the North. immediately to the West of that line, entering the extract from the South, the Donnington Wood Canal can be seen. It passes under the line serving Old Lodge Furnaces and continues Northeast alongside the railway. The line leaving the top-right of this map extract leads to the location of Muxtonbridge Colliery where trains heading South had to reverse. In later years a cut-off line was provided to improve movements between the Sidings at Donnington and Granville Colliery. [140]

This next extract from the 1881 25″ Ordnance Survey shows Muxtonbridge Colliery, which was served by the mineral railway and which was the point at which trains between Donnington Sidings and the Lilleshall Company’s mainline to the South needed to reverse until a cut off line was provided. [140]
Waxhill Barracks Colliery and Methodist Chapel with the Donnington Wood Canal Arm and the Mineral Railway running in between. The Mineral Railway from Lubstree Wharf curves in and out of the top of this extract. The Mineral Railway/earlier tramway running North from Old Lodge Furnaces crossed the canal at the location shown at the top of this extract. [140]

To the South of Waxhill Barracks Colliery the line passed the site of Barn Colliery before arriving at Old Lodge Furnaces.

Barn Colliery as shown on the 25″ Ordnance Survey of 1881/1882. [140]

Once the ‘by-pass’ line had been installed trains were able to run direct from Donnington to the Lodge Bank Sidings as shown below.

By 1970, this was the layout of the lines between the mainline at Donnington and the Colliery. This hand-drawn image appears in Bob Yate’s book. [142: p119]
Granville Colliery’s Diesel Loco (NCB No. 2D?) en-route between Donnington Wharf/Sidings and Old Lodge and Granville Colliery in NCB days with a train of empty hopper wagons. This photo was shared on the Telford Memories Facebook Group by Carole Anne Huselbee on on 15th September 2014. [146]
In earler NCB days, an 0-6-0ST locomotive pulls is train of hopper wagons up the more direct route from Coal Wharf (Donnington) to Granville Pit (not going via the location of Muxton Bridge Pit) .This image was shared on the Granville Colliery Facebook Group on 10th March 2020 by John Wood. [141]

Old Lodge Furnaces

These two extracts from the 1881/1882 25″ Ordnance Survey are, together, a plan of the Old Lodge Furnaces. Together, they give an excellent view of the area around the furnaces. In the lower of the two extracts the line running off the extract to the East heads towards Granville Colliery. The line running off the extract to the South runs to Dawes Bower and Grange Colliery. Of the lines exiting the extract to the West, one, running Northwest (at the top corner of the lower image) is the old tramway link to Lubstree Wharf. There are also two lines leaving the bottom-left corner of the lower image, the lower line runs towards collieries/shafts local to the furnaces and is probably a tramway at a higher level than the upper of the two lines which is in cutting and is the connection from Old Lodge Furnaces into the wider Mineral Railway network belonging to the Lilleshall Company to the South and West of this location. [143]
Lodge Furnaces Donnington/Lilleshall Company 1882. The image was shared by Jeff Williams on the Telford Memories Facebook Group on 8th May 2017. [116]
Lodge Furnaces Donnington/Lilleshall Company. The image was shared by Marcus Keane on the Telford Memories Facebook Group on 16th June 2022. Marcus Keane comments: “The Lodge Arm was built in 1822 to serve two Iron Smelters build by the mighty Lilleshall Company to supplement its works at Donnington Wood. This site was expanded in 1846 and again in 1859 till finally five furnaces were operating on the site, all fed by coal brought in on small tub boats. Of course, the site is on the original level of the canal, but we did have the last laugh. The furnaces were blown out in 1888 but the display board shows a cheerful picture of traditional canal boats “put, put, putting” in and out of the basin. This is wrong on so many levels: It was a tub boat canal so no full length boats could pass through the inclined planes, the locks and bridges were limited to 6ft 7inches which is narrower than normal craft and crucially, the furnaces closed at least 30 years before the first spluttering Bollinders were employed in commercial carrying. But not withstanding all that, its a nice scene and a watery oasis in a sea of industrial decay.” [126]
A view of Old Lodge Furnaces from the East. (This image was first produced in the ‘London Trade Exchange’ of 2nd January 1875. Some of the tramways are visible, as are the coke ovens in the distance, and the engine house on the right, although the engraver has omitted the chimney beside the engine house.) [142: p11]

The Friends of Granville Country Park’s website provides a general introduction to the history of the Old Lodge Furnaces: … [144]

“In 1824 the [Lilleshall] Company brought into blast two new furnaces near the site of the Old Lodge. They were named the Old Lodge furnaces because of their proximity to the site of an old hunting lodge which was demolished in 1820. In March 1825 the Lilleshall Company paid the Coalbrookdale Company £2392 for (presumably) a Blast Engine. George Roden, a stonemason from the Nabb, was paid £425 in 1825 and £777 and 5 shillings in 1826 for erecting loading ramps and the retaining walls. In 1830 the Donnington Wood and the Old Lodge ironworks together produced 15,110 tons. A third furnace was added in 1846 and two more in 1859.

New blast beam engines, manufactured by the Lilleshall Company, were installed in 1862 and the height of the furnaces was increased from 50 to 71 feet at about the same time. Limestone came, via the canal, from the Lilleshall quarries and the coal (coke) and iron stone from the local pits via an extensive system of tramways, some of which, were later converted to standard gauge railways. The 1882 map show this series of transport plateways to transport the materials to the top of the furnace, and remove pig iron the furnace bottom.

The Old Lodge Furnaces produced cold-blast pig iron of the finest quality, but eventually it could not compete with cheaper iron made elsewhere and in 1888 the last of the Old Lodge furnaces was blown out 1888. The furnaces were demolished in 1905 by Thomas Molineaux Jnr, including a tall chimney 140 feet high by 13 feet diameter, known locally as “The Lodge Stack”. In 1956 the stone was reused for St Mathew’s Church. Thereafter the company concentrated all its iron and steel making at Priorslee.

All that remains of the furnace after extensive dismantling and site restoration involving raising of the ground levels, are parts of the brickwork of the first three furnaces. … The high walls behind the furnaces are the remains of the furnace loading ramps. On the right of the ramp walls hidden in the trees is a retaining wall in front which was the blowing house. Behind the loading ramps were calcining kilns which were added in 1870 to improve the quality of the iron ore” [144]

Dr. Mike Nevill in a relatively recent article entitled ‘Seasonal Archaeology: the Old Lodge Ironworks in the Snow‘ [145] highlights the remains of the Old Lodge Furnaces. They are a superb example of the way in which old industrial sites can become considerably more visible when the leaves are not on the trees. He writes:

The large stone and brick ruins, in place 10m high, were the remains of the Old Lodge Furnaces on the north-eastern outskirts of modern Telford in Shropshire. These furnaces were built by the Lilleshall Company in 1825-8 and form part of a wider 18th and 19th century industrial landscape encompassing two collieries and accessed via a late 18th century canal. The complex now sits within Granville Country Park and is managed by the Shropshire Wildlife Trust. The park itself was designed as one of the green open spaces for the new town of Telford in the mid- to late 20th century. Now, this industrial landscape has reverted to semi-natural woodland and parkland, the industrial archaeology of the area appearing suddenly out of the overgrowth.” [145]

Nevill wrote this article on 19th December 2022. He goes on to say:

In the 21st century, the circular brick bases of three of the five furnaces run in front of the high stone walls, this stone terracing, which formed the furnace loading ramps, framing these features. Standing within the ruins of a once hot and noisy furnace complex on one of the coldest mornings of the year had a certain irony. Instead of the sound of men working the furnaces and tapping the pig iron, sweating in the heat, there was only the chirp of robins defending their woodland territory and the crunch of frozen snow under foot.” [145]

The surviving remains of Old Lodge Furnaces in December 2022, © Mike Nevill. [145]

Granville Colliery

These next few photos focus on the area that used to be occupied by Old Lodge Furnaces and which in the mid-20th century provided a marshalling yard for Granville Colliery.

In NCB days, Granville Colliery’s Diesel Loco (NCB No. 2D?) manoeuvring a rake of empty coal hopper wagons in the sidings to the West of the colliery, in the area which Old Lodge Furnaces used to occupy. This photo was shared on the Telford Memories Facebook Group by Carole Anne Huselbee on 5th October 2014.
[147]
This view from a location on the spoil heap to the South of the last image shows the later engine shed, built by the NCB, and two locomotives in steam marshalling wagons. The wagons closest to the camera appear to be empties which will probably be pushed towards the colliery screens which are a distance off to the right of this image. The photograph was shared on the Telford Memories Facebook Group by Paul Wheeler on 25th May 2018. [148]
A view of the NCB-built engine shed built on the site of an earlier Lilleshall Company engine shed. After the NCB took over the collieries owned by the Company, Granville Colliery supplied coal to Buildwas Power Station and the coal trains were worked by a range of locos down the 1.5 miles to Donnington. Granville Colliery had a decent sized shed and in later years used Austerity 0-6-0 tanks but in Lilleshall Company days the bigger engines were the ex-TVR and Barry railway engines. This image and the accompanying text were shared by Marcus Keane on the Telford Memories Facebook Group on 15th September 2015. [119]
Granville Colliery’s No 3 Holly Bank, Hunslet Engine Co Ltd 0-6-0ST Works No. 1451 of 1924, is at the head of a train of hopper wagons at the colliery on 14th October 1966. The wagons on the left are part of the, by now, National Coal Board-owned internal system, the former Lilleshall Co Ltd-owned collieries becoming national assets upon the creation of the NCB on New Year’s Day 1947. The engine shed seen above is just off the right of the photograph. This is probably not the best location to park a Vauxhall Victor ‘F’ series for its longevity, especially as they were somewhat vulnerable to the elements! W. Potter/Kidderminster Railway Museum. [1: p178]

Granville Colliery was close to, and to the East of the site of Old Lodge Furnaces. The extract from the 25″ Ordnance Survey of 1881/1882 below shows both the colliery site and the short line which served it.

This extract from the 25″ Ordnance Survey of 1881/1882 shows the full length of the Mineral Railway branch from the East side of the map extracts above (which show Old Lodge Furnaces). It is worth noting the loop which allowed locomotives to run round their trains just to the West of the Colliery site. [143]

Bob Yate tells us that the sinking of the main shaft at Granville Colliery started in 1860, to a depth of 409 yards. By 1950, this had reached 444 yards. It was linked to Grange Colliery underground in 1952 and finally closed in 1979. He continues: “The most prolific of the collieries, [Granville Colliery] supplied the LNWR, GWR and Cambrian Railways with locomotive coal, and latterly also to Ironbridge ‘B’ Power Station. In 1896, there were 177 underground and 67 surface workers. Later the pit had a fairly consistent workforce of around 300 men, but after the closure of the nearby Kemberton colliery in 1967, this grew to 900 men, but shrank again to around 600 in the early 1970s. Meanwhile, the annual output had grown from around 300-350,000 tons to 600,000 tons in the late 1960s.” [142: p16]

The Colliery’s sign close to the A5. This image is a still taken from a B&R Video, “The Jim Clemens Collection No. 2 – Steaming Through Shropshire Part 1.” Grange Lane is on the right side of the image with the A5 behind the camera, © Michael Clemens, and used here with his kind permission. [149]
At the screens at Granville Colliery, is ‘Holly Bank No. 3‘. This locomotive was built by Hunslet in 1924 (Works No. 1451). This image is a still taken from a B&R Video, “The Jim Clemens Collection No. 2 – Steaming Through Shropshire Part 1,” © Michael Clemens, and used here with his kind permission. [149]

The Lilleshall Company Main Line South and West of Granville and Grange Collieries

The sketch map below is repeated to show the remainder of the Lilleshall Company network.

Continuing on from Granville Colliery, the network served Grange Colliery, Donnington Brick & Tile Works, New Yard Works, Snedshill Ironworks, Snedshill Brick & Tile Works, Priorslee Furnaces/Ironworks, Lawn Colliery, Dark Lane Colliery, Woodhouse Colliery, Stafford Colliery and Hollinswood Sidings. [131]
This and the next extract from the 25″ Ordnance Survey of 1901 show the approach to and the area of Grange Colliery. This shows what appear to be the screens, or at least a loading point where output from Grange Colliery was loaded into Lilleshall Company wagons. The disconnect between the main network and the local lines can be seen at Dawes Bower. [151]
Grange Colliery as it appears on the 25″ Ordnance Survey of 1901, published in 1902. The railway lines shown in the immediate area of the shafts and slag heaps were internal lines unconnected to the wider Lilleshall Company network. [150]
The same area as shown on the OS map extract above. This image comes from the RailMapOnline.com website. What appears to be a caravan park on the site of the old colliery is Telford Naturist Club. The buildings to the top-right of the image are the Cottage Boarding Kennels and Cattery. [134]
This extract from the 25″ Ordnance Survey of 1901 shows the point where the branch-line to Grange Colliery met the main Lilleshall line. The line from Grange Colliery enters bottom-right. At the top-right of this extract two sets of lines are shown. The upper lines run towards Donnington sidings, the lower lines connect to Granville Colliery. The lines leaving the top of the extract are local lines serving the area immediately around what were Old Lodge Furnaces. The line leaving the west (left) edge of the extract is the Lilleshall Company mainline to Priorslee and Hollinswood. As can be seen at the centre of the extract, a loco brining wagons from Grange Colliery would need to cross the mainline before reversing its wagons onto the mainline and, depending on its destination, then head for Donnington or Hollinswood. The sidings shown on this extract were also used for storing wagons before onward transit to their ultimate destination. [152]
Again, a similar area to that shown on the OS map extract above. The purple lines are those provided by RailMapOnline.com. The Lilleshall Company Mainline curves from the top-right of this image to exit below the mid-point on the left side. [132]
The next significant feature on the Lilleshall Company’s network was a triangular junction providing bi-directional access to Donnington Wood Brick & Tile Works [153]
Again, a very similar area to that covered by the 25″ OS Map above. One arm of the triangular junction service Donnington Wood Brickworks can be seen on this image as providing the access route for vehicles to the old brickworks site. Redhill Way is the A4640 and it warrants a grade separated junction with the local roads. [132]
Donnington Wood Brick & Tile Works were conveniently sited next to reserves of Clay. The Works had their own internal railway with a Self-acting Inclined Plane. [154]
Donnington Wood Brick & Tile Works seen from the air, from the Northeast. This image was shared on the Telford Memories Facebook Group by Marcus Keane on 27th March 2019. [155]

The Lilleshall Company main line continued across Moss Road/Gower Street on a simply-supported girder bridge and then on past New Yard Engineering Works.

Moss Road/Gower Street Bridge is at the bottom-left of this map extract. [163]
Moss Road/Gower Street Railway bridge before demolition. This is a photo of a photo which was behind glass, hence the glare. It was shared by Gwyn Thunderwing Hartley on the Oakengates History Group including surrounding areas Facebook Group on 17th July 2018. [156]
The junction for New Yard Engineering Works was adjacent to Wrockwardine Villa. The engine shed is visible bottom-centre of the extract. One of two bridges which crossed the Lilleshall Company’s Railway appears towards the bottom-left of the image, this was known as ‘Tin Bridge’. [161]
A very similar area to that covered on the map extract above. The image comes, again, from RailMapOnline.com’s satellite imagery. Wrockwardine Villa is centre-top in this image. [132]
This is a view looking West along the old railway at the junction with the short line to New Yard and its Engine Shed and Workshop. The image was shared on the Oakengates History Group Facebook Group on 29th March 2018 by John Wood, (C) A.J.B Dodd. [157]
This view looks Northeast from the entrance to New Yard at the junction with the Lilleshall Company’s main line. The Locomotives are Andrew Barclay 0-6-0T Lilleshall Company’s Locomotive No. 11 (i think) on the left, one of the Taff Vale Railway 0-6-2Ts in the middle and Lilleshall Company’s Locomotive No. 12 (ex-GWR 0-6-0PT No. 2794) on the right. The image was shared on the Oakengates History Group Facebook Group on 29th March 2018 by John Wood, © A.J.B. Dodd. [157]

New Yard Engineering Works was situated on the West side of Gower Street.

The Lilleshall Company, New Yard, Engine Sheds, Gower Street, St Georges. … Urban Terrace can be seen in background. The line to the right of the image runs round behind the engine shed and workshop to serve the Works. This picture was taken by Frank Meeson and shared on the Oakengates History Group including surrounding areas Facebook Group on 15th June 2021 by Gwyn Thunderwing Hartley. [158]
New Yard Engineering Works. Gower Street runs North-South on the right of the map extract New Works buildings faced East onto the road. The locomotive shed can be seen to the top-left of the image. The worskshops which stood alongside it were not built by the time of this Ordnance Survey (1901). The line to the left of the Engine Shed connected to the Lilleshall Company main line a little to the North of the map extract. [159]
A postcard image of New Yard Engineering Works, this time the camera is to the Southeast of the Works and as a result shows, at the top-right, the Engine Shed and Workshop. Gower Street runs from the bottom edge of the image towards the centre-right. This image was shared on the Oakengates History Group Facebook Group by Gwyn Thunderwing Hartley on 17th February 2019. [160]
The Lilleshall Company mainline curves to the South through the area known as ‘The Nabb’. Two bridges are shown. The one just visible top-right is the ‘Tin Bridge. Prior to the construction of the standard gauge mineral railway a horse-drawn tramway ran North-South through this location, running down the side of the terraced housing adjacent to the bridge. The second bridge appears bottom-left. It was a more substantial structure. [162]

This image covers the same area as the map extract and comes from railmaponline.com’s satellite imagery. Two bridges appear on the 25″ OS map extract above. That visible top-right on the map extract was adjacent to the set of terraced houses which appear at the top-tight of this image. Prior to the construction of the standard gauge mineral railway a horse-drawn tramway ran North-South through this location, it is flagged on this image and given the local name ‘pig-rails’. The location of the second bridge is centre-left on this image. [132]

Former Great Western Railway 1901-built, William Dean-designed, 0-6-0PT No 2794 found a career extension after being sold-off by British Railways in October 1950. In the mid-1950s the 0-6-0PT, now Lilleshall No 12, is working hard up-grade as it passes the ‘tin bridge’ at The Nabb heading Southwest. The locomotive seems to be heading another engine, which is seemingly not in steam, so this is likely to be a move from Priorslee to the nearby locomotive shed at New Works, © A.J.B. Dodd. [1: p179]
A view Northeast, back towards the access to New Yard Engineering Works, from the ‘Tin Bridge’ on The Nabb. This locomotive movement appears to be the same movement as appears in the photograph immediately below. This locomotive may be ‘Alberta’, © A.J.B. Dodd. [174]
Looking Southwest from the ‘Tin Bridge’ this is a light engine movement, probably to the engine shed just a little further along the line to the Northeast. This image was shared on the Oakengates History Group Facebook Group by John Wood on 28th March 2018. [164]
The Tin Bridge again with Diamond Row above and to the right. This photograph was taken during the Lilleshall Companies last run on their Mineral line, with the Engine ‘Alberta’ in 1959. The Photo was taken by the late Edgar Meeson, cousin of Frank Meeson. The image was shared in the Oakengates History Group and surrounding areas Facebook Group by Gwyn Thunderwing Hartley on 27th January 2021. [175]
This image was shared by Gwyn Thunderwing Hartley on the Oakengates History Facebook Group alongside the monochrome image above. It shows a remnant of the bridge still on site in the 21st century. [175]

The second bridge at the Nabb was just a couple of hundred metres to the Southwest.

This is the second of the two bridges which crossed the Lilleshall Main Line in ‘The Nabb’.The picture looks to the Southwest and comes from the Howard Williams Collection and was shared on the Oakengates History Group including surrounding areas Facebook Group on 27th February 2014 by Frank Meeson. The girder visible in the pictures above would have been the parapet girder on the far face of the bridge. [165]
One of the bridge girders remains in the ground at this location. The mineral railway used to pass in cutting from left to right under the bridge. [My photograph, 4th January 2024]
This close view of the information board at the site of the old bridge marks its location with a yellow triangle. The green area running Northeast, and marked with the number ‘3’, is the cutting of the old mineral railway. To the South of the yellow triangle, the route of old line ran behind the houses now on the East side of Willows Road. [My photograph, 11th December 2023]

The next significant feature on the Lilleshall Company main line was the level-crossing at Station Hill. While the railway crossed Station Hill on the level the earlier adjacent canal passed under the road. By the time of the 1901 Ordnance Survey that underbridge had been filled in.

The same area on a different aerial photograph. The Station Hill Crossing is to the bottom right of the image. The picture is an extract from Image No. EAW013748, held on the Britain From Above website, © Historic England. [170]
Station Hill, Oakengates at the turn of the 20th century. This postcard view looks West across the line of the Lilleshall Company’s line down the hill towards the centre of Oakengates. The crossing keeper’s beehive hut is visible to the left of the road. This image was shared on the Oakengates History Group Facebook Group on 24th October 2018 by Gwyn Thunderwing Hartley. [176]
Another view of Station Hill Crossing. The Locomotive is Alberta and is providing an enthusiasts tour of the Lilleshall Company’s network. This image was shared on the Oakengates History Group Facebook Group on 29th March 2018 by John Wood, © A.J.B. Dodd. [157]
Looking South across Station Hill. The beehive keeper’s hut stands across the road from the camera. This image was shared by Gwyn Thunderwing Hartley on the Oakengates History Group Facebook Group on 16th May 2021. [171]
The line crossed Station Hill in Oakengates on the level with the old canal running beneath the road. Looking West from the crossing, train crews would have had a glimpse of Oakengates (Market) Railway Station on the LNWR/LMS/BR Coalport Branch. The station appears on the left of this map extract. [166]
This extract from the railmaponline.com satellite imagery covers the area on the 25″ OS map above and that covered by the first OS Map below. The turquoise line is the GWR mainline from Shrewsbury to Wolverhampton, the heavier purple line is the LNWR Coalport Branch and the thinner lines represent the various Lilleshall Company lines. The Company’s mainline is that shown closest to the right of the image. Station Hill is close to the top of the image, with Canongate in the bottom third of the image. The housing estate built around the modern Reynolds Drive sits over the site of the Snedshill Ironworks. The Silkin Way follows the route of the Lilleshall Company’s mainline. [132]
This view looks South from a point 50 to 100 metres South of Station Hill. The Lilleshall Company’s main line bears to the left and the line down to the sidings at Snedshill Iron Works runs down hill to the right. The image was shared on the Oakengates History Group Facebook Group on 29th March 2018 by John Wood. [157]
Looking North towards Station Hill. The mineral railway main line enters the image across Station Hill (top-right) and curves away to the right just above centre-right. The lines which run down the centre of the image pass under Canongate and include sidings serving Snedshill Ironworks. The sidings sit over the line of the old canal. The mineral railway crosses Canongate at a level crossing just off the left of the photograph. The picture is another extract from Image No. EAW013748, held on the Britain From Above website, © Historic England. [173]
The canal has been infilled and its land used to create an operating yard to the North of Canongate. It is interesting to note that Canongate climbs to the East. Rail tracks cross it at level on the West side of Snedshill Iron Works which feature at the bottom of the map extract. To the East of the Works, sidings pass under Canongate. Meanwhile, the Lilleshall Company’s mainline remains at high level and crosses Canongate by means of a level-crossing. [167]
A view East across Canongate level crossing. This image is an extract from Image No. EAW013747 on the Britain From Above website, © Historic England. The cottage which is prominent at the top of his image can be seen on the 25″ map extract above. [172].
Snedshill Ironworks dominates this map extract. Towards the left edge of the extract, the Coalport Branch runs in cutting crossed by a number of footbridges/access bridges. The Works sidings on the West of the Works terminate on the site, whereas those to the East of the building run off the bottom of the extract. On the next extract we will see that a junction is formed with the Coalport Branch. The old canal was in use as a reservoir alongside the Works and the Lilleshall Company’s mainline runs alongside that reservoir to its East. In the bottom-left of the image, we can see the Shrewsbury to Wolverhampton mainline entering its tunnel. [168]
This extract from railmaponline’s satellite imagery covers much the same area as the 25″ OS Map above. All the railway lines on the image appear t be converging on a point just to the South of the bottom of the image. [132]
Another aerial view from 1948, this time looking from the East across the old mineral railway line. Canongate features at the centre of the image. This is an extract from Image No. EAW013743 shared on the Britain From Above website, © Historic England. [177]
Two extracts from Image No. EAW013746 taken in 1948 looking East, which show the mineral railway running South passing the Snedshill Ironworks (at the bottom of the first image). The darker area above the ironworks is a remaining length of canal with a retaining wall immediately beyond which supports the mineral railway. The mineral wagons on the second of these two images are in the sidings which can be seen at the bottom of the 25″ map extract of 1901 above. [178]
Two further extracts from EAW013748 of 1948. As already noted that aerial view looks Northwards across Snedshill Ironworks. In these two extracts we see the Lilleshall Company’s mainline at the right side of the images which continue the sequence of aerial images following that line. In the first of these images we see the reservoir which was once a length of the Shropshire Canal to the South of Canongate. The railway lines which pass under Canongate to the East of the Works continue onto the second image and head towards a junction with the LNWR Coalport Branch. Visible at the top-left of the second image is the end of the sidings/yard which was on the West side of the Ironworks. The white areas on the second image are where the image was marked for editing, © Historic England. [173]
This extract from EAW013752 on the Britain From Above website looks over Snedshill Ironworks (bottom-left), with the short length of canal behind them, towards Priorslee. The Lilleshall Company’s mainline enters just below centre-left and runs at an angle towards the top-right of the image. The Greyhound Bridge on the old A5 is alongside the level crossing which took the mineral railway across the A5. The Greyhound Bridge took the A5 over the LNWR Coalport Branch (in deep cutting) and a feeder line from/to the sidings at the Snedshill Ironworks which met the Coalport Branch just beyond the bridge. [179]
Lines from Snedshill Iron Works join the Coalport Branch in passing under what became the A5 a little to the South of the Works themselves. The Lilleshall Company mainline crosses the road at level. A short branch runs off towards the Snedshill Brickworks. [169]
In the 21st century the area covered by the 25″ OS Map extract above has changed considerably. Only the GWR mainline from Shrewsbury to Wolverhampton remains of the line on the OS Map extract. On this satellite image it is represented by the turquoise line. and is running in tunnel across the area of this image. The Greyhound Roundabout has replaced what was the A5 (B5061 in 21st century) bridge over the Coalport Branch. The level crossing shown below, is long gone. The Lilleshall Company buildings have been replaced by Wickes and Aldi! The A442 dual carriageway dominates the area. [132]
This extract from EAW013782 on the Britain From Above website, (© Historic England), faces South-southeast. Priorslee Brick and Tile Works are immediately to the left of the picture with a corner of the building just edging onto the image. The LNWR Coalport Branch runs up the right side of the image and passes under Greyhound bridge alongside the line from Snedshill Ironworks. Just beyond the bridge, a line turns away to the left and meets the Lilleshall Company’s mainline before leaving the image towards the top-left. The Company’s mainline crosses the A5 at road level. Towards the top of the image the GWR mainline leaves the tunnel and bears away to the top-left. [180]
A Pecket Loco used by the Lilleshall Co, at the Greyhound Crossroads junction, with the Lilleshall Co. Snedshill Brick & Tile Works in view. The photograph was taken looking Southeast from the Greyhound bridge. This area is now the Greyhound Island, and Aldi & Wickes now stand on the ground where the buildings in the picture once stood. The Lilleshall Company Railway line crossed the A5 here. To the left, the line heads away passed Snedshill Iron Works, New Yard Engineering Works, Donnington Brick & Tile Works and Grange Colliery. The line to the right dropped down through exchange sidings to meet the GWR main line between Shrewsbury and Wolverhampton. Beneath the road, both the Oakengates to Coalport Branch and access from Snedshill Iron Works passed under Greyhound Bridge. The Shrewsbury to Wolverhapton main line ran in tunnel at greater depth. This image was shared on the Telford Memories Facebook Group on 19th March 2018 by Marcus Keane, © A.J.B. Dodd. [122]
The building in the photograph above is at the bottom of this aerial image, just to the right of centre. This is another extract from Image No. EAW013782, © Historic England. The Priorslee Furnaces are top-left of the image and shrouded in smoke. The Lilleshall Company’s mainline curves round from the bottom of the picture, to the right of the Lilleshall Brick and Tileworks buildings to run immediately to the Southwest side of the Furnaces (the side furthest from the camera). [180]
An earlier image of the Brick & Tile Works with the A5 running in front of the buildings. This postcard view was taken from further East along the A5. It was shared on the Telford Memories Facebook Group by Marcus Keane on 28th May 2016. [124]
Lilleshall Company Brick & Tile Works and Priorslee Furnaces in the 1950s. This photograph looks across the roof of the Snedhill Brick and Tile Works towards Priorslee Furnaces. It was shared by Lin Keska on the Telford Memories Facebook Group on 25th December 2019. [125]
Another extract from the 1901 25″ Ordnance Survey. South of the A5 the Snedshill Ironworks sidings merge with the Coalport Branch although they do so after a line leaves heading away to the Southeast, passing to the East of the tunnel portal at the bottom of the map extract.. The Coalport Branch runs to the West of the tunnel portal of the GWR/BR mainline between Shrewsbury and Wolverhampton. The Lilleshall Company mainline curves round to run parallel to the spur closest to the tunnel portal. [182]
This map extract is a little further to the Southeast. The Coalport Branch is on the left. The GWR mainline is in cutting running from the top-left of the image to the bottom-centre. The spur from the Snedshill Sidings meets the Lilleshall Company’s mainline just right of the centre point of the image. The line curving back towards the GWR mainline but terminating just above the bottom edge of the image, was originally a tramroad through Hollinswood to Malinslee. Links to articles about the tramroads in this area can be found below. [181]
A similar area as covered by the 1901 25″ Ordnance Survey extract above. This extract from the Railmaponline.com satellite imagery shows the modern A442 following the route of the LNWR Coalport Branch with the GWR mainline to the East of it. The complex arrangement of the Lilleshall Company’s railways shows that we are close to what was Priorslee Furnaces. As noted above, the line which curves away to the South from the Company’s railways is a former tramroad which fed into a network of tramroads in the Hollinswood and Malinslee area of what is now Telford. [132]
Priorslee Furnaces as shown on the 1882 25″ Ordnance Survey. [183]
A very similar area to that shown in the extract above, this map extract comes from the 1901 25″ Ordnance Survey. There have been some significant changes to the buildings on the site in the period from 1882 to 1901 and Eagle Ironworks appears to have been buried under the slag heaps associated with the steel works. Alterations to the railway sidings on the site either accommodate the new structures or are relatively minor in nature. [184]
This railmaponline satellite image covers much the same area as the two OS Map extracts above which focus on the site of the Furnaces. The sidings shown on this image are indicative rather than definitive but do give a good idea of the area covered by Priorslee Furnaces. The road which runs down through the image is a diverted version of Hollinswood Road which then becomes a footpath. It crosses the GWR Mainline using a bridge which was built at the time the railway was constructed, and then a modern footbridge over the A442. [132]
An aerial view of the Lilleshall Iron & Steel Co Ltd Blast Furnaces & Rolling Mills at Priorslee, circa 1950. A massive employer in the Oakengates area, David Bradshaw’s grandfather worked here during World War I; he died of Spanish Flu in November 1918. This is the site to the north of the Hollinswood exchange sidings, the former GWR main line being just out of view to the bottom of the scene. Working across the view from the bottom right we see the line to and from Hollinswood passing the buildings of the Asphalt Works operation, while an Andrew Barclay, Sons & Co Ltd 0-6-0T is heading a train of empties from the sidings within the Priorslee site to the company’s former Stafford Pit. Such locations evolve over many years, and another colliery once just to the east of the blast furnace complex is already just a memory. Beyond the mass of sidings, the line to the south of the Priorslee buildings continues north-west through to the Coalport branch, near the Maddock’s (ex-Snedshill Iron Works) connection, but it also continued north as a private ‘main line’ between here, the locomotive sheds, engineering works, and a group of collieries. In the distance, in the top left-hand corner is the Snedshill Brick & Tile Works, the old A5 trunk road crossing in front of this. Finally, for those who have never witnessed this industrial empire, the sight of St. Peter’s Church on the other side of the main road helps to locate the site. Bob Yate Collection.. [1: p177]
An aerial image of the extensive steelworks and slag reduction plant at Priorslee.
The blast furnaces were decommissioned in 1958 and the internal system closed. This image was shared on the Oakengates History Group Facebook Group by Lin Keska on 22nd February 2017. [185]
Priorslee Furnaces early in the 20th century. Notice the railway in the foreground with the locomotive marshalling wagons. This image was shared by Lin Keska on the Telford Memories Facebook Group on 25th December 2019. [125]
Another superb view of Priorslee Furnaces early in the 20th century. This image was shared by Lin Keska on the Telford Memories Facebook Group on 25th December 2019. [125]
Two Lilleshall Company locomotives (Peckett 0-4-0ST No.10 and 0-6-2T No. 3 which was once GWR No. 589) in attendance of the demolition of a 98ft high concrete coal bunker at Priorslee Furnaces circa 1936. This work was taking place as part of the demolition of the former steelworks site. The image was shared on the Oakengates History Group Facebook Group by Gwyn Thunderwing Hartley (courtesy of John Wood) on 1st December 2019. I understand that the original image is held in the Archives of the Ironbridge Gorge Museum Trust. [186]
This next extract from the 1882 25″ Ordnance Survey shows the area immediately Southeast of Priorslee Furnaces The Lilleshall Company’s mainline split in three directions – to the South it runs into Hollinswood Sidings and up to Hollinswood Junction, where it joins the GWR mainline, Southeast it continues towards Stafford Colliery, and Northeast towards Woodhouse and Lawn Collieries. [183]
Again, this railmaponline.com satellite image covers similar ground to the OS map extract above. Significant feature on the satellite image are: the M54 running East/West across the bottom of the image; the A442 which intrudes only slightly on the bottom-left of the image; The diverted A5 which runs up the right of the image to meet the old A5 (the B5061 in the 21st century) and Telford Central railway station. [132]
The remaining length of the Lilleshall Company’s mainline served Stafford Colliery (passing Darklane Colliery on its way East. This extract covers a greater area than the one’s above but is also taken from the 1901 25″ Ordnance Survey. Hollinswood Junction on the GWR mainline between Shrewsbury and Wolverhampton just sneaks into the bottom-left corner of this map extract. [187]
This image and the map extract above show the line which terminated at Stafford Colliery. [132]
Hollinswood Sidings and Hollinswood Junction. The GWR line between Shrewsbury and Wolverhampton runs from the top-left to the bottom-right. The LNWR Coalport Branch enters top-left and leaves the map extract to the left of centre at the bottom of the image. The line turning off the GWR mainline to the South served a series industrial undertakings to the East of the old Shropshire Canal. The Lilleshall Company’s sidings enter the map extract centre-top and meet the GWR mainline at Hollinswood Junction. [188]
This is another area of Telford which has seen dramatic change. The GWR line ‘turquoise’ remains as the Shrewsbury to Wolverhampton main line. The LNWR Coalport branch (thicker purple0 has long gone. As have all the Lilleshall Company’s lines (thinner purple). The A442, Queensway and Hollinswood Interchange dominate the modern image. [132]
Locomotive 48516 heading what seems to be a train of empty coal wagons and facing towards Wolverhampton. Hollinswood Sidings can be seen beyond the locomotive. The image was shared on the Telford Memories Facebook Group by Lin Keska on 4th April 2018. [189]
Just a little further to the Southeast, Hollinswood Junction is seen from the Northwest, looking along the GWR mainline. The Lilleshall Company’s sdings are to the left and the short GWR branch line to Randlay and beyond is on the right. This image was shared by Marcus Keane on the Telford Memories Facebook Group on 19th April 2020, © A.J.B. Dodd. [190]

Lilleshall Company Motive Power

The Lilleshall Company operated a number of steam engines which it picked up from various sources and some of which it built itself. The remainder of this article is no more than a glimpse of these locomotives on the Lilleshall Company’s network. The authoritative treatment of the motive power on the Lilleshall Company network is the book by Bob Yate, “The Railways and Locos of the Lilleshall Company.” [142]

Yate tells us that, because the Lilleshall Company’s network was extensive, it needed a considerable number of locomotives to operate it. He continues: “Much of the traffic was heavy, so it comes as no surprise to find that the company turned to acquiring former main line company locomotives for some of their more arduous duties. The total number of locomotives rose from four during the mid-1850s to eight by 1870, down to five by 1875, then six by 1886, increasing to nine in 1900 until 1920 when there were eleven. By the 1930s the number was back down to nine.” [142: p67] After WW2, numbers were reduced to five, and once closure was approaching all five were scrapped and two other locomotives were purchased.

It is interesting to note that the Lilleshall Company was itself a manufacturer of locomotives, and at least five of these were used within the home fleet. The company even designed and built a 2-2-2 express passenger locomotive in 1867 and exhibited it at the Paris Exhibition. It had 6ft 11in driving wheels and the locomotive was similar in appearance to James Stirling’s Great Northern Railway Single. Sadly, no buyer was found, and so it was rebuilt as an 0-6-0ST in 1873 and sold to Cannock & Rugeley Collieries, Rawnsley; it was finally withdrawn in 1962, after a life of 89 years!

This postcard image was one of a number published in 1980 to celebrate 150 years of railway history. It shows the 2-2-2 Engine (built in 1867) that the Lilleshall Company put on display in 1862 at the Paris ‘great International Exposition’. [130]
Lilleshall Company Locomotive No. 9, built by George Stevenson & Co. Ltd. It was bought by the Lilleshall Company in 1904 and lasted until 1929, (c) F. Jones Collection. This photograph was also shared by Gwyn Thunderwing Hartley on the Oakengates History Group Facebook Group on 27th November 2017. [192]
Lilleshall Company locomotive No. 6 outside the old loco shed at the Granville pit in the early 1950s. This loco was made at the New Yard St Georges by the Lilleshall company for their own use and transferred when the pit was nationalised. This image was shared by John Wood on the Telford Memories Facebook Group on 17th November 2015. [121]
I think this is also Lilleshall Company No. 6. This photograph was shared by Andy Rose on the Telford Memories Facebook Group on 29th September 2019, © A.J.B. Dodd. [118]
Lilleshall Company Locomotive No. 4, Constance, built by the Company, © A.J.B. Dodd. This image was shared on the Telford Memories Facebook Group by Andy Rose on 29th September 2019. [118]
Former Barry Railway ‘B1’ Class 0-6-2T No. 60 (also ex-GWR No. 251) which when purchased by the Lilleshall Company was given No. 5, photographer not known. This image was shared on the Telford Memories Facebook Group by Andy Rose on 29th September 2019. [118]
Taken in June 1954 within the Priorslee steelworks complex and shows one of the 3 blast furnaces in the background. The locomotive is Lilleshall Company No. 12 (ex-GWR 0-6-0PT No. 2794), © F.W. Shuttleworth. This image was shared on the Telford Memories Facebook Group by Marcus Keane on 15th September 2015. The blast furnace did not supply the adjacent rolling mill after 1925. At that time the Bessimer converters were scrapped. The Priorslee Furnaces only made made pig iron for the foundry trade until closure. The Lilleshall Company were forced to cease steel-making from the blast furnace pig-iron by the Iron and Steel Federation who shared out production around the country in the slump following the first world war. [191]
Peckett 0-4-0ST Locomotive at the Lilleshall Works at Oakengates/Priorslee. This image was shared by Marcus Keane on the Telford Memories Facebook Group on 18th October 2015. [127]
Lilleshall Company 0-6-0ST, The Colonel was based at Granville Shed which is just off this picture to the right, © A.J.B. Dodd. This photograph was shared by Mets Vaim EdOrg on the Telford Memories Facebook Group on 24th October 2020. [120]
Lilleshall built 0-4-0T, Constance and Andrew Barclay 0-6-0T No. 11 at New Yard Locomotive Shed. The image was shared on the Oakengates History Group Facebook Group by Gwyn Thunderwing Hartley on 4th April 2021, © A.J.B. Dodd. [194]
Lilleshall Company Locomotive Alberta (a Barclay 0-4-0ST, ex-Lever Brothers, Port Sunlight Railway), possibly close to New Yard Engineering Works. This photograph was shared by John Wood on the Oakengates History Group Facebook Group on 29th March 2018. Alberta was only purchased in October 1956 and was active on the Lilleshall Company’s network until closure, © A.J.B. Dodd. [195]
Lilleshall Company Locomotive, Prince of Wales (a Barclay 0-4-0ST, ex-Lever Brothers, Port Sunlight Railway) 0-4-0ST also sits a New Yard This photograph was also shared by John Wood on the Oakengates History Group Facebook Group on 29th March 2018. [196]
Austerity 0-6-0ST Locomotives sit on shed at Granville Colliery. After the NCB took over the collieries owned by the Lilleshall Company, Granville Colliery supplied coal to Buildwas Power Station and the coal trains were worked by a range of locos down the 1.5 miles to Donnington Sidings. Granville Colliery had a decent sized shed and in later years used these Austerity 0-6-0ST locos. In Lilleshall Company days bigger engines (ex TVR and Barry) were used. This photograph was shared by Marcus Keane on the Telford Memories Facebook Group on 15th September 2015. [193]

The most modern Lilleshall-built engine used in the home fleet seems to have been No 2, an inside cylinder 0-6-0ST that is thought to have served between 1886 and around 1948. Over the years, 22 locomotives are known to have been used by the company, and at least four locomotives were active on the growing system by 1860. The fleet was made up of nine 0-4-0 tank engines, side and saddle tanks, one 0-4-4T, nine 0-6-0 side and saddle tanks, one 0-6-0PT, and three 0-6-2Ts. The makers represented included Andrew Barclay, Sons & Co Ltd, Manning, Wardle & Co Ltd, Neilson & Co Ltd, Peckett & Sons Ltd, Robert Stephenson & Co Ltd, and Hudswell, Clarke & Co Ltd.

There were, in addition, four ex-Great Western Railway engines that had been purchased over a number of years. No 1 – acquired by the Lilleshall Company in 1932 – was GWR No 581, a former Taff Vale Railway ‘O’ class 0-6-2T; No 3 – acquired in 1932 was GWR No 589, an ex-Taff Vale Railway ‘U’ class 0-6-2T; No 5 – acquired in July 1934 – was GWR No 251, an ex-Barry Railway ‘B1’ class 0-6-2T; and No 12 – acquired in 1949 – was Dean 0-6-0PT No 2794; it still carried its GWR number plate, and it was (by some way) the last survivor of its class. The main running shed was at the New Yard Works in Oakengates, where many of these locomotives were cut-up after withdrawal.

The line was closed in 1958, with the final rail tour taking place on 26th September, just before the end of the system. Had the line remained open for a few more years, the opportunity to preserve at least some of the more interesting engines would have presented itself. The final closure of the, by then truncated, Coalport Branch took place less than six years later, in July 1964, and much of this industrial infrastructure has since been swept away.

Modern Times

Today, the railway through Oakengates is a double-track main line without a single set of points. The 1960s ‘new town of Telford was finally provided with a station of its own upon the opening of Telford (Central) station on 12th May 1986, New Handle Halt being closed at the same time. Boasting ‘parkway’ facilities, passenger numbers at the modern station were 991,000 during 2010/2011, while ‘ Oakengates for Telford’, just 71 chains away on the other side of Oakengates tunnel was recorded as serving just 41,152 passengers in the same period. In 2013, services on the route were provided by London Midland and Arriva Trains Wales, although the latter company’s trains do not call at the unstaffed Oakengates station.

References

  1. D. Bradshaw and S.C. Jenkins; Rails around Oakengates; in Steam Days No. 283, March 2013, p165-179.
  2. https://www.facebook.com/groups/674238619260811/permalink/2048525328498793, accessed on 24th October 2023.
  3. https://www.facebook.com/groups/674238619260811/permalink/1781610458523616, accessed on 24th October 2023.
  4. https://www.facebook.com/groups/674238619260811/permalink/759878754030130, accessed on 24th October 2023.
  5. https://www.facebook.com/groups/674238619260811/permalink/760134894004516, accessed on 25th October 2023.
  6. https://www.facebook.com/photo/?fbid=10207881026299109, accessed on 25th October 2023.
  7. https://www.facebook.com/groups/674238619260811/permalink/5387874431230516, accessed on 25th October 2023.
  8. https://m.facebook.com/groups/674238619260811/permalink/1497924320225566, accessed on 25th October 2023; and https://www.facebook.com/photo/?fbid=10154352557818862&set=pcb.1225401774222109, accessed on 11th March 2023.
  9. https://www.facebook.com/groups/674238619260811/permalink/1740789729272356, accessed on 25th October 2023.
  10. https://www.facebook.com/groups/674238619260811/permalink/759663204051685, accessed on 25th October 2023.
  11. https://m.facebook.com/groups/674238619260811/permalink/1150448238306511, accessed on 25th October 2023.
  12. https://maps.nls.uk/geo/explore/#zoom=17.0&lat=52.70532&lon=-2.48476&layers=168&b=1, accessed on 11th March 2023.
  13. https://m.facebook.com/groups/1535562919969129/permalink/1912747905583960, accessed on 12th March 2023.
  14. https://maps.nls.uk/geo/explore/#zoom=19.0&lat=52.70564&lon=-2.48748&layers=168&b=1, accessed on 11th March 2023.
  15. https://www.google.com/maps/@52.7055154,-2.4873547,168m/data=!3m1!1e3, accessed on 11th March 2023.
  16. https://en.wikipedia.org/wiki/Hadley_railway_station, accessed on 11th March 2023.
  17. https://en.wikipedia.org/wiki/Telford_International_Railfreight_Park, accessed on 11th March 2023.
  18. https://scontent-lcy1-1.xx.fbcdn.net/v/t39.30808-6/289830480_3205202906401375_2525630448206906683_n.jpg?stp=dst-jpg_p526x296&_nc_cat=107&ccb=1-7&_nc_sid=5cd70e&_nc_ohc=gXC9lwztkd8AX8a6gxV&_nc_ht=scontent-lcy1-1.xx&oh=00_AfBMgEmZ0XThHzB0X88jRI-8VSJTFce8XvZHDeSIX-gJpw&oe=64110DD9, accessed on 11th March 2023.
  19. https://scontent-lcy1-1.xx.fbcdn.net/v/t1.6435-9/163282454_2794934587437395_7190609154853567247_n.jpg?_nc_cat=103&ccb=1-7&_nc_sid=825194&_nc_ohc=aEXwsxyKMWUAX-b8Rej&_nc_ht=scontent-lcy1-1.xx&oh=00_AfAU-0dTr0vOfWJQAFgI6HHZFHnZdWTN33MFBQtCSEWtYw&oe=6433CB06, accessed on 11th March 2023.
  20. https://scontent-lcy1-1.xx.fbcdn.net/v/t1.6435-9/146686376_10157947415486149_2556469766894594998_n.jpg?stp=dst-jpg_s600x600&_nc_cat=105&ccb=1-7&_nc_sid=b9115d&_nc_ohc=7c9Tbf2O0VMAX9VXeqk&_nc_ht=scontent-lcy1-1.xx&oh=00_AfCs0s9tjbnc5YnwR99smcib1tKr-lpOVhbJypYqMwAlGQ&oe=6433ECA8, accessed on 11th March 2023.
  21. https://scontent-lcy1-1.xx.fbcdn.net/v/t1.6435-9/164132027_2795359520728235_650410974062383207_n.jpg?_nc_cat=107&ccb=1-7&_nc_sid=825194&_nc_ohc=sWm972kUGYAAX96BnPw&_nc_ht=scontent-lcy1-1.xx&oh=00_AfAZcNLYm97IWyy17jFckLcjknCtjMVKx_MBk2qQhGlFMw&oe=6433E6E6, accessed on 11th March 2023.
  22. https://www.facebook.com/photo?fbid=2803499486580905&set=gm.1584294595095961, accessed on 11th March 2023.
  23. https://www.facebook.com/photo?fbid=10158272198491149&set=gm.1652673478258072, accessed on 11th March 2023.
  24. https://scontent-lcy1-1.xx.fbcdn.net/v/t39.30808-6/242190824_10158473840893862_8351508469663414357_n.jpg?_nc_cat=105&ccb=1-7&_nc_sid=825194&_nc_ohc=1z1Xv3oiMjAAX8Zmxox&_nc_ht=scontent-lcy1-1.xx&oh=00_AfAoNByUvwFaPpSXXoHceKdpPCSfnmGZ2Ad-tr1yQublBA&oe=64120419, accessed on 11th March 2023.
  25. https://www.facebook.com/photo/?fbid=3981992425178498&set=pcb.1542672229258198, accessed on 1st November 2023.
  26. https://scontent-lcy1-1.xx.fbcdn.net/v/t1.6435-9/146860022_3981993681845039_5361757954301946525_n.jpg?_nc_cat=110&ccb=1-7&_nc_sid=b9115d&_nc_ohc=ABPVobpKJpUAX-qgTia&_nc_ht=scontent-lcy1-1.xx&oh=00_AfCeHXbHne8jDbzN6v5py_aepunx3yNf1ueeaClgq5GAzg&oe=6433E0F7, accessed on 11th March 2023.
  27. https://scontent-lcy1-1.xx.fbcdn.net/v/t1.6435-9/146649800_10157947393766149_1349208544757366571_n.jpg?_nc_cat=108&ccb=1-7&_nc_sid=b9115d&_nc_ohc=0UOfMc9pqgEAX_PZ_zh&_nc_ht=scontent-lcy1-1.xx&oh=00_AfBsox_j1uYh4y-WGsVeolxl8carPLe1ugfysOl1V4OgUQ&oe=6433F98F, accessed on 11th March 2023.
  28. https://www.facebook.com/photo/?fbid=596834425094483&set=gm.1723446961180723, accessed on 11th March 2023.
  29. https://scontent-lcy1-1.xx.fbcdn.net/v/t1.6435-9/146341448_3981992558511818_3168498579780549910_n.jpg?_nc_cat=111&ccb=1-7&_nc_sid=b9115d&_nc_ohc=lWt1aUGC8o8AX9CMoWM&_nc_ht=scontent-lcy1-1.xx&oh=00_AfAS05Q2_0N-7UcBIRQwMRRTmsjYrNxuUPjPfqIas-eW7g&oe=6433E946, accessed on 11th March 2023.
  30. https://m.facebook.com/groups/1535562919969129/permalink/1541820092676745, accessed on 12th March 2023.
  31. https://m.facebook.com/groups/1535562919969129/permalink/1834411023417649, accessed on 12th March 2023.
  32. https://maps.nls.uk/geo/explore/#zoom=17.0&lat=52.70720&lon=-2.47822&layers=168&b=1, accessed on 8th March 2023.
  33. https://www.railmaponline.com/UKIEMap.php, accessed on 8th March 2023.
  34. https://britainfromabove.org.uk/en/image/EPW050454, accessed on 8th March 2023.
  35. https://www.facebook.com/photo/?fbid=587700949341164&set=gm.6466670556684226, accessed on 8th March 2023.
  36. https://external-lcy1-1.xx.fbcdn.net/emg1/v/t13/12785497051644334014?url=https%3A%2F%2Fi.ytimg.com%2Fvi%2FvdZgAco2hmk%2Fmaxresdefault.jpg&fb_obo=1&utld=ytimg.com&stp=c0.5000×0.5000f_dst-jpg_flffffff_p500x261_q75&ccb=13-1&oh=06_AbGCaGvs9jm_zNHbEvNhCRl9oO07yMCDU49p7l7Iw5OOhQ&oe=640E158B&_nc_sid=717943, accessed on 11th March 2023.
  37. https://en.m.wikipedia.org/wiki/Coalport_branch_line#:~:text=The%20Coalport%20branch%20line%20was,the%20River%20Severn%20at%20Coalport., accessed on 3rd March 2023.
  38. https://www.shropshirestar.com/news/latest-photos/2019/09/27/pictures-from-the-past-september-27, accessed on 8th March 2023.
  39. https://m.facebook.com/groups/261490703946559/permalink/1610953559000260, accessed on 10th March 2023.
  40. https://maps.nls.uk/geo/explore/#zoom=17.0&lat=52.70498&lon=-2.46807&layers=168&b=1, accessed on 8th March 2023.
  41. https://www.facebook.com/photo/?fbid=10226255626407058&set=gm.5387874431230516, accessed on 1st November 2023.
  42. https://maps.nls.uk/geo/explore/#zoom=17.0&lat=52.70241&lon=-2.45964&layers=168&b=1, accessed on 8th March 2023.
  43. https://www.geograph.org.uk/photo/1356838, accessed on 8th March 2023.
  44. https://maps.nls.uk/view/101594308, accessed on 8th March 2023.
  45. http://grave-mistakes.blogspot.com/2014/01, accessed on 8th March 2023.
  46. https://www.discovershropshirechurches.co.uk/north-east-shropshire/-wombridge, accessed on 8th March 2023.
  47. https://www.facebook.com/photo/?fbid=4115566828669201&set=gm.1138010180209994&idorvanity=139095920101430, accessed on 13th March 2023.
  48. https://www.facebook.com/photo/?fbid=1957541391236528&set=gm.1901629673188360, accessed on 13th March 2023.
  49. https://maps.nls.uk/geo/explore/#zoom=17.0&lat=52.69987&lon=-2.44838&layers=168&b=1, accessed on 8th March 2023.
  50. https://www.shropshirestar.com/news/2008/04/18/sentimental-for-sentinels, accessed on 8th March 2023.
  51. https://www.facebook.com/photo/?fbid=180979678935087&set=pcb.1141785095839492, accessed on 8th March 2023.
  52. https://m.facebook.com/photo.php/?fbid=10157415890498862, accessed on 10th March 2023.
  53. https://m.facebook.com/groups/261490703946559/permalink/1730634930365455, accessed on 10th March 2023.
  54. https://m.facebook.com/groups/674238619260811/permalink/7484830841534854, accessed on 8th March 2023.
  55. https://maps.nls.uk/geo/explore/#zoom=17.0&lat=52.69549&lon=-2.44956&layers=168&b=1, accessed on 9th March 2023.
  56. https://www.facebook.com/photo/?fbid=10202472789616572&set=gm.1394432133908119, accessed on 9th March 2023.
  57. https://www.facebook.com/photo/?fbid=10154352557923862&set=pcb.1225401774222109, accessed on 11th March 2023.
  58. https://www.facebook.com/groups/261490703946559/permalink/2247218948707048, accessed on 11th March 2023.
  59. https://www.facebook.com/photo/?fbid=10156412880623862&set=gm.2140058566089754, accessed on 11th March 2023.
  60. https://img.geocaching.com/waymarking/e05aefc2-5588-4173-81bc-5fc4f5f0d767.jpg, accessed on 9th March 2023.
  61. https://m.facebook.com/groups/261490703946559/permalink/1426095267486091, accessed on 10th March 2023.
  62. https://www.britainfromabove.org.uk/en/image/EAW013748, accessed on 9th March 2023.
  63. https://www.facebook.com/photo/?fbid=211243596535983&set=pcb.3375757959108850, accessed on 9th March 2023.
  64. https://www.facebook.com/photo/?fbid=2024640084526658&set=gm.2063876940296965, accessed on 10th March 2023.
  65. https://www.facebook.com/photo?fbid=10158272198491149&set=gm.1652673478258072, accessed on 11th March 2023.
  66. https://maps.nls.uk/geo/explore/#zoom=15.0&lat=52.68988&lon=-2.45040&layers=1&b=1, accessed on 9th March 2023.
  67. https://www.facebook.com/photo/?fbid=10203586351122667&set=gm.734278163256856, accessed on 9th March 2023.
  68. https://www.facebook.com/photo/?fbid=10156412880623862&set=gm.2140058566089754, accessed on 11th March 2023.
  69. https://www.facebook.com/photo/?fbid=500250246753047&set=gm.737447986273207, accessed on 9th March 2023.
  70. https://rowleyanth.wordpress.com/2020/11/10/snedshills-lost-trig-station, accessed on 10th March 2023
  71. https://www.facebook.com/photo/?fbid=4099580983412&set=gm.750750474942958, accessed on 10th March 2023.
  72. https://www.facebook.com/photo/?fbid=10157794859563862&set=gm.3306747222754210, accessed on 11th March 2023.
  73. https://rowleyanth.wordpress.com/2020/11/10/snedshills-lost-trig-station, accessed on 10th March 2023.
  74. https://maps.nls.uk/geo/explore/#zoom=17.0&lat=52.68738&lon=-2.44634&layers=168&b=1, accessed on 9th March 2023.
  75. https://maps.nls.uk/geo/explore/#zoom=17.0&lat=52.68305&lon=-2.44334&layers=168&b=1, accessed on 10th March 2023.
  76. https://maps.nls.uk/geo/explore/#zoom=17.0&lat=52.67817&lon=-2.43894&layers=168&b=1, accessed on 10th March 2023.
  77. https://www.mindat.org/loc-380261.html, accessed on 10th March 2023.
  78. http://dawleyhistory.com/Postcards/Dark%20Lane/Dark%20Lane.html, accessed on 10th March 2023.
  79. https://maps.nls.uk/geo/explore/#zoom=17.0&lat=52.67444&lon=-2.43940&layers=168&b=1, accessed on 10th March 2023.
  80. https://www.shropshirestar.com/news/nostalgia/2018/10/13/john-puts-disappeared-village-back-in-the-frame, accessed on 10th March 2023.
  81. https://www.facebook.com/photo/?fbid=10210297422427502&set=pcb.9172326579451930, accessed on 10th March 2023.
  82. http://dawleyhistory.com/Postcards/Dark%20Lane/Dark%20Lane.html, accessed on 10th March 2023.
  83. https://theminerswalk.org/dark-lane/dark-lane-community, accessed on 10th March 2023.
  84. https://www.facebook.com/photo/?fbid=2036718353039258&set=pcb.2318496184835038, accessed on 10th March 2023.
  85. https://www.facebook.com/photo.php?fbid=4469098141110&set=p.4469098141110&type=3, accessed on 10th March 2023.
  86. https://www.facebook.com/photo/?fbid=10204183473942611&set=gm.1987991561218837, accessed on 10th March 2023.
  87. https://www.facebook.com/photo?fbid=10203756555669921&set=gm.1823213051030023, accessed on 10th March 2023.
  88. https://www.facebook.com/photo/?fbid=2036718343039259&set=pcb.2318496184835038, accessed on 10th March 2023.
  89. https://www.geograph.org.uk/photo/2475411, accessed on 5th November 2023.
  90. https://www.geograph.org.uk/photo/4796501, accessed on 5th November 2023.
  91. https://maps.nls.uk/geo/explore/#zoom=17.0&lat=52.67934&lon=-2.43809&layers=168&b=1 accessed on 6th November 2023.
  92. https://www.geograph.org.uk/photo/1187488, accessed on 7th November 2023.
  93. https://www.google.com/maps/place/Telford+Central/@52.6809756,-2.4408496,3a,75y,90t/data=!3m8!1e2!3m6!1sAF1QipOpZxTnxhztSHK-rKVS5gDr1xiK8d7VYtuHBSkL!2e10!3e12!6shttps:%2F%2Flh5.googleusercontent.com%2Fp%2FAF1QipOpZxTnxhztSHK-rKVS5gDr1xiK8d7VYtuHBSkL%3Dw114-h86-k-no!7i4128!8i3096!4m7!3m6!1s0x487a80264609a4f3:0x474fe67063818c3a!8m2!3d52.681122!4d-2.44097!10e5!16zL20vMGNxZDlx?entry=ttu, accessed on 7th November 2023.
  94. https://maps.nls.uk/geo/explore/#zoom=17.0&lat=52.68380&lon=-2.44488&layers=168&b=1, accessed on 7th November 2023.
  95. https://www.facebook.com/cinderlooriot/photos/a.1425157547582839/2386741721424412/?type=3, accessed on 7th November 2023.
  96. https://maps.nls.uk/geo/explore/#zoom=17.0&lat=52.68863&lon=-2.44780&layers=168&b=1, accessed on 7th November 2023.
  97. https://www.geograph.org.uk/photo/1305927, accessed on 6th November 2023.
  98. https://www.geograph.org.uk/photo/117493, accessed on 6th November 2023.
  99. https://www.facebook.com/photo/?fbid=10157149580373862&set=pcb.2692951970800408, accessed on 7th November 2023.
  100. https://www.facebook.com/photo/?fbid=1153129958134720&set=gm.1140398039389150, accessed on 7th November 2023.
  101. https://www.facebook.com/photo/?fbid=10156252104538862&set=gm.2026527920776153, accessed on 7th November 2023.
  102. https://www.facebook.com/photo/?fbid=122653333195425&set=gm.3661011927327736, accessed on 7th November 2023.
  103. https://m.facebook.com/groups/261490703946559/permalink/6500864736675760, accessed on 7th November 2023.
  104. https://m.facebook.com/groups/674238619260811/permalink/1321005147917485, accessed on 7th November 2023.
  105. https://m.facebook.com/groups/674238619260811/permalink/1903550566329604, accessed on 7th November 2023.
  106. https://maps.nls.uk/geo/explore/#zoom=18.0&lat=52.69403&lon=-2.44991&layers=168&b=1, accessed on 7th November 2023.
  107. https://www.facebook.com/groups/261490703946559/permalink/3206831232745810, accessed on 7th November 2023.
  108. https://www.facebook.com/photo/?fbid=10157632248938862&set=gm.3095895027172765, accessed on 7th November 2023.
  109. https://www.facebook.com/photo/?fbid=10156421813603862&set=gm.2146542458774698, accessed on 7th November 2023.
  110. https://www.facebook.com/photo/?fbid=10159463075828862&set=gm.5918866571542249, accessed on 7th November 2019.
  111. https://www.facebook.com/groups/261490703946559/permalink/557615367667423, accessed on 7th November 2023.
  112. http://www.telford.org.uk/railway/mainline.html, accessed on 7th November 2023.
  113. https://www.facebook.com/photo/?fbid=3567893993436490&set=gm.6005737929444160, accessed on 7th November 2023.
  114. https://www.facebook.com/photo/?fbid=1853409131370182&set=pcb.2089170144434311, accessed on 7th November 2023.
  115. https://maps.nls.uk/view/121150274, accessed on 7th November 2023.
  116. https://www.facebook.com/groups/674238619260811/permalink/1651946068156723, accessed on 7th November 2023.
  117. https://www.facebook.com/groups/674238619260811/permalink/9471170706234181, accessed on 7th November 2023.
  118. https://www.facebook.com/groups/674238619260811/permalink/3267701209914526, accessed on 7th November 2023.
  119. https://www.facebook.com/groups/674238619260811/permalink/1059100807441255, accessed on 7th November 2023.
  120. https://www.facebook.com/photo/?fbid=10153713019669890&set=gm.1091634104187925, accessed on 11th January 2024.
  121. https://www.facebook.com/groups/674238619260811/permalink/1091634104187925, accessed on 7th November 2023.
  122. https://www.facebook.com/groups/674238619260811/permalink/2065988596752466, accessed on 7th November 2023.
  123. https://www.facebook.com/groups/674238619260811/permalink/3967944629890177, accessed on 7th November 2023.
  124. https://www.facebook.com/groups/674238619260811/permalink/1227061153978552, accessed on 7th November 2023.
  125. https://www.facebook.com/groups/674238619260811/permalink/3555775264440451, accessed on 7th November 2023.
  126. https://www.facebook.com/groups/674238619260811/permalink/7890030581014876, accessed on 7th November 2023.
  127. https://www.facebook.com/groups/674238619260811/permalink/1076444759040193, accessed on 7th November 2023.
  128. https://en.m.wikipedia.org/wiki/Lilleshall_Company, accessed on 7th November 2023.
  129. http://www.telford.org.uk/railway/lill-co.html, accessed on 7th November 2023.
  130. https://files.ekmcdn.com/c8ed37/images/2-2-2-engine-lilleshall-company-paris-exposition-train-postcard-101243-p.jpg?v=8c279875-b0a6-40af-98c3-4066961d6683, accessed on 7th November 2023.
  131. https://theminerswalk.org/snedshill/lilleshall-company-mineral-railway-line, accessed on 7th November 2023.
  132. https://maps.nls.uk/view/121150199, accessed on 20th July 2023.
  133. https://maps.nls.uk/view/121150235, accessed on 20th July 2023.
  134. https://www.railmaponline.com/UKIEMap.php, accessed on 21st July 2023.
  135. https://www.facebook.com/photo/?fbid=350106448500731&set=gm.845962032088468, accessed on 13th August 2023.
  136. https://www.facebook.com/groups/674238619260811/search/?q=donnington%20sidings, accessed on 13th August 2023.
  137. https://www.facebook.com/photo/?fbid=358717190972990&set=gm.857116324306372, accessed on 13th August 2023.
  138. https://m.facebook.com/groups/674238619260811/permalink/3082152125136103, accessed on 27th July 2023.
  139. https://www.facebook.com/photo/?fbid=350260361818673&set=gm.846144078736930, accessed on 13th August 2023.
  140. https://maps.nls.uk/view/121150244, accessed on 31st July 2023.
  141. https://www.facebook.com/photo?fbid=10157888689539890&set=pcb.1477973989045624&locale=en_GB, accessed on 18th August 2023.
  142. Bob Yate; The Railways and Locomotives of the Lilleshall Company; Irwell Press, Clophill, Bedfordshire, 2008.
  143. https://maps.nls.uk/view/121150280, accessed on 24th July 2023.
  144. https://friendsofgranvillecountrypark.com/industrial-history, accessed on 30th July 2023.
  145. https://archaeologytea.wordpress.com/2022/12/19/seasonal-archaeology-the-old-lodge-ironworks-in-the-snow, accessed on 12th August 2023.
  146. https://www.facebook.com/photo/?fbid=350909495087093&set=gm.846879645330040, accessed on 17th August 2023.
  147. https://www.facebook.com/photo/?fbid=358725490972160&set=gm.857122790972392&locale=en_GB, accessed on 17th August 2023.
  148. https://scontent.fbhx4-2.fna.fbcdn.net/v/t1.6435-9/33498907_2064140837243249_3582868989702832128_n.jpg?_nc_cat=108&ccb=1-7&_nc_sid=825194&_nc_ohc=wSw5EVKxUyMAX8qskYR&_nc_ht=scontent.fbhx4-2.fna&oh=00_AfCSF31tNH6WIKLxXWfvuVw838LfrhemIIyqBXv-DanmNg&oe=65040196, accessed on 16th August 2023.
  149. B & R Video Productions produce a series of DVDs which have primarily been created by converting cine-film. One part of their library is the Jim Clemens Collection. These stills from the video are shared here with permission from Michael Clemens who holds the copyright on his father’s work. Michael is an author in his own right and maintains a website: https://www.michaelclemensrailways.co.uk. On that website there are details of all of the books he has published together with quite a bit of downloadable material including working timetables. His most relevant publication to this current article is: Michael Clemens; The Last Years of Steam in Shropshire and the Severn Valley; Fonthill Media Ltd, Stroud, Gloucestershire, 2017. That book contains two photographs which are similar to images shown above (p67).
  150. https://maps.nls.uk/geo/explore/#zoom=18.0&lat=52.70068&lon=-2.41423&layers=168&b=1, accessed on 8th November 2023.
  151. https://maps.nls.uk/geo/explore/#zoom=18.0&lat=52.70265&lon=-2.41736&layers=168&b=1, accessed on 8th November 2023.
  152. https://maps.nls.uk/geo/explore/#zoom=18.0&lat=52.70461&lon=-2.42072&layers=168&b=1, accessed on 8th November 2023.
  153. https://maps.nls.uk/geo/explore/#zoom=18.0&lat=52.70305&lon=-2.42863&layers=168&b=1, accessed on 8th November 2023.
  154. https://maps.nls.uk/geo/explore/#zoom=18.0&lat=52.70097&lon=-2.42826&layers=168&b=1, accessed on 8th November 2023.
  155. https://m.facebook.com/groups/674238619260811/permalink/2779688992049086, accessed on 5th December 2023.
  156. https://scontent.fbhx4-2.fna.fbcdn.net/v/t1.6435-9/37219249_10155782408253862_8790901343050006528_n.jpg?stp=dst-jpg_p180x540&_nc_cat=106&ccb=1-7&_nc_sid=bd3046&_nc_ohc=09uUjKPEzRYAX9NF4C6&_nc_ht=scontent.fbhx4-2.fna&oh=00_AfCRCT2q-4kdUfSESyJ0nEH21koJmFjls_qdWLsNafe9ww&oe=659A9184, accessed on 8th December 2023.
  157. https://www.facebook.com/photo/?fbid=10156158070314890&set=pcb.1586941058068177, accessed on 11th January 2024.
  158. https://scontent.fbhx4-2.fna.fbcdn.net/v/t1.6435-9/201482784_10158311988498862_4566373800303848415_n.jpg?stp=dst-jpg_p180x540&_nc_cat=106&ccb=1-7&_nc_sid=bd3046&_nc_ohc=yHmKg6jHVdcAX_Cs0Fv&_nc_ht=scontent.fbhx4-2.fna&oh=00_AfDnT7hKAayk2GcdynEjVb0-CbVhrKLewE2PkgsvTXFPjg&oe=659A7442, accessed on 8th December 2023.
  159. https://maps.nls.uk/geo/explore/#zoom=18.0&lat=52.69896&lon=-2.43963&layers=168&b=1, accessed on 8th November 2023.
  160. https://www.facebook.com/photo?fbid=10156229799958862&set=gm.2010423612386584, accessed on 11th January 2024.
  161. https://maps.nls.uk/geo/explore/#zoom=18.0&lat=52.70034&lon=-2.44258&layers=168&b=1, accessed on 8th November 2023.
  162. https://maps.nls.uk/geo/explore/#zoom=18.0&lat=52.69906&lon=-2.44501&layers=168&b=1, accessed on 8th November 2023.
  163. https://maps.nls.uk/geo/explore/#zoom=18.0&lat=52.70171&lon=-2.43735&layers=168&b=1, accessed on 8th November 2023.
  164. https://scontent.fbhx4-1.fna.fbcdn.net/v/t31.18172-8/29352389_10156155183739890_3408729237109418941_o.jpg?_nc_cat=110&ccb=1-7&_nc_sid=3ba11c&_nc_ohc=NI9fQJlGVl8AX8MQqOk&_nc_ht=scontent.fbhx4-1.fna&oh=00_AfDMKjsidvIGKui1zGj0rpgAYGJpE596uwZCBljaVGyhTA&oe=65C343AA, accessed on 8th January 2024.
  165. https://scontent.fbhx4-1.fna.fbcdn.net/v/t31.18172-8/1655808_1425186684388540_656137306_o.jpg?_nc_cat=110&ccb=1-7&_nc_sid=bd3046&_nc_ohc=VZiU88xJa_sAX8eqOIg&_nc_ht=scontent.fbhx4-1.fna&oh=00_AfByQtLEzkvqCA7hZqxr4gvZUadwmfRB0hCPQQVgrGsLzQ&oe=659AAC33, accessed on 8th December 2023.
  166. https://maps.nls.uk/geo/explore/#zoom=18.0&lat=52.69531&lon=-2.44638&layers=168&b=1, accessed on 8th November 2023.
  167. https://maps.nls.uk/geo/explore/#zoom=18.0&lat=52.69346&lon=-2.44610&layers=168&b=1, accessed on 8th November 2023.
  168. https://maps.nls.uk/geo/explore/#zoom=18.0&lat=52.69185&lon=-2.44694&layers=168&b=1, accessed on 8th November 2023.
  169. https://maps.nls.uk/geo/explore/#zoom=18.0&lat=52.68980&lon=-2.44738&layers=168&b=1, accessed on 8th November 2023.
  170. https://www.britainfromabove.org.uk/image/EAW013748, accessed on 7th January 2024.
  171. https://m.facebook.com/groups/261490703946559/permalink/3868350286593898, accessed on 6th January 2024.
  172. https://www.britainfromabove.org.uk/image/EAW013747, accessed on 6th January 2024.
  173. https://www.britainfromabove.org.uk/image/EAW013748, accessed on 7th January 2024.
  174. Many of the photographs taken by A.J.B. Dodd which appear in this article were first found on various Facebook Groups. A number of others were supplied direct by Mike Dodd, A.J.B. Dodd’s son who curates the photographs taken by his father. Particular thanks are expressed to Mike Dodd for entering into email correspondence about all of these photographs and for his generous permission to use them in this article.
  175. https://m.facebook.com/groups/261490703946559/permalink/3559120847516845, accessed on 4th January 2024.
  176. https://m.facebook.com/groups/261490703946559/permalink/1846594735436140, accessed on 6th January 2024.
  177. https://www.britainfromabove.org.uk/image/EAW013743, accessed on 6th January 2024.
  178. https://www.britainfromabove.org.uk/image/EAW013746, accessed on 6th January 2024.
  179. https://www.britainfromabove.org.uk/image/EAW013748, accessed on 7th January 2024.
  180. https://www.britainfromabove.org.uk/image/EAW013782, accessed on 7th January 2024.
  181. https://maps.nls.uk/geo/explore/#zoom=18.0&lat=52.68584&lon=-2.44518&layers=168&b=1, accessed on 8th November 2023.
  182. https://maps.nls.uk/geo/explore/#zoom=18.0&lat=52.68798&lon=-2.44638&layers=168&b=1, accessed on 8th November 2023.
  183. https://maps.nls.uk/view/121150313, accessed on 8th January 2024.
  184. https://maps.nls.uk/geo/explore/#zoom=17.0&lat=52.68525&lon=-2.44187&layers=168&b=1, accessed on 8th January 2024.
  185. https://www.facebook.com/photo/?fbid=1404096642968102&set=gm.1211545145607772, accessed on 8th Januray 2024.
  186. https://www.facebook.com/photo/?fbid=10156905402433862&set=pcb.2505678986194375, accessed on 8th January 2024.
  187. https://maps.nls.uk/geo/explore/#zoom=17.0&lat=52.67930&lon=-2.42607&layers=168&b=1, accessed on 8th January 2024.
  188. https://maps.nls.uk/geo/explore/#zoom=17.0&lat=52.67956&lon=-2.43844&layers=168&b=1, accessed on 8th January 2024.
  189. https://www.facebook.com/photo/?fbid=1853495224694906&set=pcb.2089170144434311, accessed on 9th January 2024.
  190. https://www.facebook.com/groups/674238619260811/permalink/3967944629890177, accessed on 7th November 2023.
  191. https://m.facebook.com/groups/674238619260811/permalink/1059102267441109, accessed on 11th January 2024.
  192. https://www.facebook.com/photo/?fbid=10155141661473862&set=oa.1468997059862578, accessed on 11th January 2024.
  193. https://www.facebook.com/photo/?fbid=10201024425808382&set=gm.1059100807441255, accessed on 11th January 2024.
  194. https://www.facebook.com/photo/?fbid=10158161361783862&set=gm.3745067428922185, accessed on 9th January 2024.
  195. https://www.facebook.com/photo/?fbid=10156155205514890&set=pcb.1585964188165864, accessed on11th January 2024.
  196. https://www.facebook.com/photo/?fbid=10158258754139890, accessed on 12th January 2024.
  197. https://upload.wikimedia.org/wikipedia/commons/5/53/London_and_North_Western_Railway_Webb_Coal_Tank_class_locomotive_number_1054.jpg, accessed on 15th February 2024.
  198. https://commons.wikimedia.org/wiki/File:LNWR_5ft_6in_2-4-2_Tank.jpg, accessed on 15th February 2024.
  199. https://en.wikipedia.org/wiki/LNWR_17in_Coal_Engine#/media/File:LNWR_Webb_17in_coal_engine_3209.jpg, accessed on 16th February 2024.
  200. http://disused-stations.org.uk/n/new_hadley_halt/index.shtml, accessed on 16th February 2024.

Water into Wine – John 2:1-11

Epiphany 3, 2024 – John 2:1-11

What’s your most embarrassing moment?

My worst in church was being called up to help with the chalice at Communion in my church in Didsbury in the early 1990s and tripping over the steps on the way up to the altar. I fell flat on my face in front of everyone and then found everyone sniggering as I gave them the cup. How did I feel? … I wished that the ground would open and swallow me up!

The bridegroom in John 2:1-11 was in just such an embarrassing predicament. This was supposed to be his special time. He & his new wife had been escorted through the streets with burning torches, lighting their way to their new home. They weren’t going away on a honeymoon, but would keep open house for an entire week for people to come along and celebrate the occasion. This was Jewish custom, and the celebrations and showing hospitality to guests were a sacred duty. And what has happened, but the wine has run out! Not because his guests have been over-indulging. Apparently, he’s just been to stingy – he’s not bought enough.

Perhaps he’d underestimated how much wine he’d need. Perhaps he didn’t have the money to buy enough wine, even the cheapest available, to meet his needs. But there was no room for excuses – it was his duty to pay for the celebration. Deeply embarrassed, perhaps red in the face, getting hot, wanting a hole to open up and swallow him, he waited for the complaints from his guests to roll in. Can you imagine his prayer, “Why does this always happen to me? … Please Lord don’t let anyone notice.”

clay-jars1-960x250

But one guest did notice. Mary saw and she told Jesus. And Jesus quietly set to work. He gets the servants to fill the six water pots with water, the water is turned into wine and the bridegroom’s embarrassment turns to amazement and joy. The equivalent of over 700 bottles of wine, the finest wine appears from nowhere. No longer does the bridegroom face shame and humiliation.

df9f283bbc3d8ec5423e2b207f122756

The reading concludes: “Jesus performed this first miracle…… there he revealed his glory
and his disciples believed in him.” Those who were with Jesus knew that this was an act of divine power – an act in which the personal situation of the bridegroom was transformed. This miracle revealed the nature of Jesus’ ministry: Jesus, the provider of joy, transforming sadness and embarrassment into experiences of gladness and rejoicing. Jesus, the one who can overcome our mistakes/failings, bringing good out of seeming disaster.

The good news of the Gospel is that this is what God is like. If Jesus transformed one situation, then God can transform the situations that we find ourselves in today.

Perhaps we’ve made mistakes – like the bridegroom without enough wine. We may look back over our lives, and think “if only I’d not done or said that.” There may be things that have happened in the last few days – we’ve done or said something we regret. These things can linger with us, leaving us feeling embarrassed, ashamed, and not knowing what to do.

Perhaps we are low in resources – like the bridegroom who couldn’t provide adequately for his guests? There are times when we feel spiritually dry, we struggle to pray, we wonder where God is. Or we feel physically weak, no energy to do what matters. Or emotionally drained, with no motivation to sustain relationships or get on with our work.

Perhaps life is full of sadness – like the bridegroom who sees his joyful day disappearing before his eyes. We see others around who are happy, but find it hard to be like them. We know that others think we should be smiling, but it’s not as easy as all that…..

Whether trivial or significant, God in Jesus is ready to transform these situations. He can, and does break into our lives. We think or feel that we are defined by the past, by our mistakes and failings. But God says, “No!” Just as Jesus transformed the bridegroom’s day from failure to joy, God can transform our lives bringing good out of the mess we see in our lives.

Not only is God ready to transform situations, he is even at work when we cannot ask him ourselves. The bridegroom wasn’t actually aware that Jesus was working to help him until the steward announced that there was more, and even better, wine on offer. It was someone else, Mary, who noticed the need, and asked Jesus to act. When we are unable to pray, or don’t know what to pray for – we don’t need to worry that we’ll be left helpless. God will act.

cana-bw

God can act unilaterally, but more often than not it is through others around us. Those who notice the way things are and do something. … Action isn’t always appropriate. When we see our friends or family members struggling – we can follow Mary’s example. We can talk quietly to Jesus, in the background, and we can have confidence that we have done the right thing. For we have given their situation to God. And God is able to work for good in any situation.

And when Jesus acts, when God acts, we may be amazed at what happens – the bridegroom didn’t just receive enough wine to get by on. He got good, fine wine – more than he needed, better than he needed. The generosity of God was overwhelming at the wedding in Cana. And when Jesus acts to transform our situations, our lives, we can expect this same generosity. However, with Jesus, it’s not about quick fixes that solve the problem for the moment. No, God’s work in our lives will often be quiet, often over the longer term. We may experience setbacks, but God will not give up.

We can experience transformation, and as Jesus works in our lives the glory of God will be revealed – just as it was at Cana. And we can be part of that transformation in the lives of others by taking the mess and muddle that we see to God, by asking God to break in a bring hope and transformation.

Lord Jesus, just as you transformed the situation of the bridegroom at Cana, may you work in our lives, transforming our embarrassments, our inadequacies, our sadnesses, our mistakes, into experiences of gladness and joy, to the glory of your name. Amen.

The Wenlock Branch from Much Wenlock to Presthope

The featured image shows Presthope Station with the 18.00 hrs Craven Arms – Much Wenlock – Wellington train is leaving on 21st April 1951, heading for Much Wenlock. [30]

This article follows on from four other articles which covered the Wellington to Severn Junction Railway and this line from Buildwas to Much Wenlock. The first three articles can be found on these links:

https://rogerfarnworth.com/2022/07/07/the-railways-of-telford-the-wellington-to-severn-junction-railway-wsjr-part-1-wellington-to-horsehay

https://rogerfarnworth.com/2022/07/12/the-railways-of-telford-the-wellington-to-severn-junction-railway-wsjr-part-2-horsehay-to-lightmoor-junction

https://rogerfarnworth.com/2022/07/18/the-railways-of-telford-the-wellington-to-severn-junction-railway-wsjr-part-3-lightmoor-junction-to-buildwas

The most recent article covers this line between Buildwas and Much Wenlock and can be found here:

The Railways of East Shropshire (and Telford) – the Much Wenlock and Severn Junction Railway, Buildwas to Much Wenlock.

Much Wenlock to Presthope and on to Craven Arms

From the commencement of the building of the line between Buildwas and Much Wenlock, the directors hoped that the line could be extended to Craven Arms via Presthope on Wenlock Edge (linking with the limestone quarries/works at that location).

The directors of the Wellington & Severn Junction Railway were, however, fully occupied with the line from Wellington to Buildwas. Another company was set up to build the ‘Wenlock & Craven Arms and Coalbrookdale Extension Railway‘. The bill went through the parliamentary process unopposed and authorised the ‘Wenlock Railway Company‘ to construct the line. Work started on 23rd October 1861.

By 5th December 1864, the line was open from Much Wenlock to Presthope. At this time, because it was a freight-only line, the Board of Trade saw no need for an inspection of the line. It had already been agreed at a meeting held on 4th December 1863 not to proceed with the line from Presthope to Craven Arms for the time being. It was to be three years after the line reached Presthope before the connection to the Shrewsbury & Hereford Railway close to Craven Arms was completed. It was finally opened on 16th December 1867.

Much Wenlock to Presthope

This article focusses on the length of the line which was completed in December 1864 – Much Wenlock to Presthope. Another article will follow the line to the West of Presthope.

We start at Much Wenlock Railway Station.

The forecourt of Much Wenlock station in the early 1960s. The building was designed by Joseph Fogerty © R.S. Carpenter. [1: p100]
The Wenlock Branch ran across the Northwest side of the town. The railway station was due North of the town centre and was accessed from a loop off  Sheinton Road. Station Road leading up to the Station from close to the railway bridge. [4]
The 25″ Ordnance Survey of 1901 shows Much Wenlock Station with its platform on the Northwest side of the running line and a passing-loop to the Southeast. Partially off the left of the map extract is the town brewery. [5]

Much Wenlock Railway Station had a single platform adjacent to the main running line. A passing loop was provided opposing the platform, and beyond it there was a rockery garden, “large limestone boulders [were] interspersed with shrubs and alpine plants flanked by a row of rhododendron bushes. In the centre of the rockery was a fountain.” [1: p97]

Much Wenlock Railway Station in the very early 20th century. The passing-loop and the adjacent rockery garden are on the right of the image. The photograph looks Northeast through the station. [7]
The photographer is standing on the running line a few steps further to the Southwest. This photo was taken on 12th July 1969 by David Hillas and is used here under a Creative Commons Licence (CC BY-SA 2.0 DEED). [8]
The length of the station site as shown on Railmaponline.com. The running line is shown in green with a single line indicating the location of the Goods Yard. [12]
This is a first extract, in this article, from the pre-contract plans of the Much Wenlock line which are held in the Shropshire Archives in Shrewsbury. It shows the full length of the station facilities (passenger and goods) at Much Wenlock. It shows approximately the same length as the RailMapOnline image above. The Station building was on the West side of the line and North of the bridge which carried the line over what became the A4169. The goods yard was South of the bridge on the East side of the line. … As we have noted in the article about the line between Buildwas and Much Wenlock, these precontract plans were orientated in respect to the North point so as to get the greatest possible length of the proposed railway onto each sheet,, © Shropshire Archives Ref. No. 6008/26 copyright reserved, used by kind permission. [9][My photograph of the plan, 5th August 2022]

Trains leaving for Craven Arms crossed Sheinton Road/Street Bridge and passed the goods shed and yard on the left and then the engine shed. When the line terminated at Much Wenlock, the goods facilities used until the final closure of the line were the temporary railway station.

A view Northwest along Sheinton Street taken outside number 19 Sheinton St. It is included here for the view of the railway bridge over the road and was taken in the first half of the 1960s. This image was shared on the Much Wenlock Memories Facebook Group by Lynne Steele on 10th April 2021. [10]
A view Southeast along Sheinton Street showing one of the carnival walks in Much Wenlock probably in the mid-60s. It is included here for the view of the railway bridge which span the road. This image was shared on the Much Wenlock Memories Facebook Group by Colin Onions on 2nd February 2015. [11]
Looking Northeast along the line of the old railway towards the passenger Station from the approximate location of the second abutment of the railway bridge. Just the one abutment remains, the other having been removed to facilitate a road realignment. The road from Buildwas (Sheinton Street) becomes New Road at this point with Sheinton Street heading away to the right of the image. [Google Streetview, August 2023]
This is the view when the camera is turned through 180°. The approximate line of the old railway is marked, in this case, by the red line. New Road and the route of the railway diverged and provided space for what became the Goods Yard and for a coal depot which, in the early 21st century is occupied by a builders merchant (Travis Perkins). [Google Streetview, August 2023]
Looking Southwest along Southfield Road. The hedge line on the left of this image is approximately on the line of the old railway. [Google Streetview, 2009]
Much Wenlock Goods Yard. Centre-left are the cattle pens and grain store. The grain store is attached to the good shed. On the right is the engine shed with the water tank. The water tank was fed by a reservoir further Southwest along the line – about halfway to the next halt, Westwood Halt, © Shropshire Museum Service [1: p101]
The goods yard, viewed from the Southwest the line in the foreground is the main running line which claims along the flank of Wenlock Edge. The good yard was, for a short time, the terminus of the line after the partial opening on 1st February 1862 © Pat Garland. [1: p101]

Trains began the climb towards Wenlock Edge. The pictures above show the climb had already begun alongside the goods yard. Neither the goods shed nor the engine shed remain in the 21st century.

This aerial view is taken looking North across Much Wenlock (EAW046197 © Heritage England). The station goods yard is prominent approximately at the centre of the image, with Sheinton Street and the railway bridge separating the yard from the passenger facilities in the top-right of the image, and the bridge carrying Bridge Road over the line at the bottom-left. [3]
This extract from an aerial image (EAW046196 © Heritage England) shows the full length of the station facilities at Much Wenlock. The passenger Station building is visible top-right, the goods yard and engine stabling facilities, bottom-left. Between the two Sheinton Street passed under the railway. [2]
New Road ran along the Southeast side of the Goods Yard. The Goods Shed and the Engine Shared appear on this additional extract from the 25″ Ordnance Survey of 1901. A coal depot sat between the road and the sidings in the yard. The road bridge is at the top-right of the map extract. Bottom-left as the running line leaves the map extract it passes under Bridge Road. The bridge here was simply-supported cast iron beams on masonry abutments. [6]
Another extract from the same aerial image centres on the goods yard with the running line to the left and passing under the cast iron bridge carrying Bridge Road. New Road runs down the right side of the picture. [2]
A closer view of the cast iron bridge carrying Bridge Road over the railway. This is an enlargement from the same aerial image. [2]
Looking Southwest from Southfield Road. The main structure of the bridge is still evident in the early 21st century. [Google Streetview, 2009]
Looking Southeast at the other elevation of the cast-iron bridge. The partial infill is much closer to the soffit on this side of the bridge. [Google Streetview, 2009]
Looking North over the bridge parapet from Bridge Road. The old railway ran parallel to Southfield Road in the grass area at the centre of the image. [Google Streetview, 2009]
Looking West over the bridge parapet from Bridge Road. The old railway ran parallel to Southfield Road in the grass area at the centre of the image. [Google Streetview, 2009]
Southwest of Bridge Road, Southfield Road ran parallel to the old railway as it climbed along the Northwest side of the town. Victoria Road can be seen at the bottom of this image. [2]
The line continued in a southwesterly direction. Southfield Road ran alongside it. Victoria Road can be seen at the bottom of this image. It passed under the railway a short distance beyond the edge of the aerial image which is also the left edge of this extract. [2]
The next length of the railway appears on this extract from the 25″Ordnance Survey of 1901. Bridge Road bridge is top-right and the road to Shrewsbury runs East-West across the bottom half of the image. In 1901, this was known as ‘The Causeway’. It became the A458, Victoria Road. [14]
Approximately the same length of the railway as shown in the map extract above, but now on the satellite imagery from ralmaponline.com. The primrose yellow line shows the route of the A458, Victoria Road. [12]
Looking back Northeast towards Much Wenlock Railway Station from High Causeway. Southfield Road is on the left. The housing estate has been built over the Goods Yard. [Google Streetview, 2009]
Looking Southwest along the line of the old railway. Southfield Road is on the right. The railway
This and the next three OS map extracts cover the first part of the climb out of Much Wenlock the bridge over the A458 is at the top-right of this map extract. [15]
The bridge over what is now the A458 in the midst of its demolition at the end of the 1960s. This image looks Northeast along the railway formation towards Much Wenlock Station and Goods Yard. It was shared on the Much Wenlock History Facebook Group by Linda West on 2nd April 2020. [18]
The remaining abutment of the bridge which carried the Wenlock Branch over Victoria Road (A458), © Richard Webb and licenced for use under a Creative Commons Licence (CC BY-SA 2.0 DEED). [20]
These two images are extracts from the pre-contract drawings of the Wenlock Branch. The girder bridge which spanned the road at this location was almost exactly 4 miles from Buildwas Junction and fell, in these drawings at the edges of two drawings. Both are reproduced here because they have something to contribute to local information. Perhaps of greatest significance for the railway was the fact that the bridge was constructed allowing for the possibility of providing an additional line, if traffic volumes made it worthwhile. These pre-contract plans were orientated in respect to the North point so as to get the greatest possible length of the proposed railway onto each sheet, © Shropshire Archives Ref. No. 6008/26 copyright reserved, used by kind permission. [9][My photograph of the plan, 5th August 2022]
The next length of the line continued in a Southwesterly direction. After passing under an accommodation bridge, it began to turn to the South. [13]
The reservoir which appears on this OS map extract on the East side of the line was used to provide water for the column at Much Wenlock Station. [1: p97] [16]
The reservoir which supplied the water column at Much Wenlock Station was around half a mile beyond the bridge over the A458. These pre-contract plans were orientated in respect to the North point so as to get the greatest possible length of the proposed railway onto each sheet, © Shropshire Archives Ref. No. 6008/26 copyright reserved, used by kind permission. [9][My photograph of the plan, 5th August 2022]
The reservoir as it appears in the 21st century. It has been extended and has varying levels over time suggesting that it may be used as a balancing pond to moderate the flow on the stream which follows the old railway line and which appears to now follow the old railways route in an improved channel to the Southwest of the reservoir. The track shown in this extract from Google Maps continues a short distance to the South before crossing both the stream and the old railway route.A footpath continues alongside the old line to the East. [Google Maps, 13th January 2024]
Curving round again towards the Southwest, the line passed Grange Cottages. [17]
This railmaponline.com satellite image covers the same length of line as the last four OS Map extracts. [12]
The first road overbridge to the West of Much Wenlock. This view looks Southwest along the line of the old railway. The bridge carries a track which leaves the B4371, Stretton Road in a southerly direction and provides access in the 21st century to the Cuan Wildlife Centre. [My photograph, 12th January 2024]
The view Northeast from the overbridge. The old railway route is now followed by a line of conifers on its North side. [My photograph, 12th January 2024]
The view Southwest over the parapet of the same bridge. The warehouse is built over the old railway line. [My photograph, 12th January 2024]
Looking Northeast again for a point beyond the warehouse in the last picture. The warehouse sits over the line of the old railway which continued Southwest to the left of the green palisade fencing on the left side of this image. The track in the centre of the image runs parallel to and to the South of the line of the railway. [My photograph, 12th January 2024]
Looking back Northeast along the route of the old railway. The gate towards the back of this photo straddles the centre-line. The gardens associated with Grange Cottages now extend across the line of the railway. [My photograph, 12th January 2024]
Looking Southwest along the line of the old railway from the fence line of Grange Cottages garden. The gate across the line of the old railway indicates that the next length is also in private hands. A public footpath runs to the left of the tree line
This next extract from the OS mapping of 1901 takes the line as far as the location of Westwood Halt which was at the location marked by the blue flag above. [21]
A closer view of the location of the Halt in 1925. The 25″ OS mapping indicates that the Halt was not built by 1925. [22]
The length of the old railway between Grange Cottages and Westwood Halt as shown on the satellite imagery from railmaponline.com. [12]

That length is in private hands with a significant length in use as a paddock for horses and a small holding.

Westwood Halt in around 1960 – seen from the East. The single platform sat on the North side of the line immediately to the East of Westwood Crossing. It was not until 7th December 1935 that the Halt opened. It closed to passenger traffic on 31st December 1951. This picture was shared on the Much Wenlock Memories Facebook Group by Judith Goodman on 8th December 2020. The photographer is not known and the image is used under a Creative Commons Licence (CC BY-SA 4.0). [19]
Google Maps image of the site of Westwood Halt. [Google Maps, 12th January 2024]
Westwood Crossing seen from the North. The red line marks the approximate centre-line of the old railway. The Halt would have been off to the left of this image. [Google Streetview, 2009]
Looking Northwest from Westwood Crossing towards the B4371. [My photograph, 12th January 2024]
Looking Southeast from the location of Westwood Crossing. It is not possible to follow the route of the old railway to the West of this location as it is in private hands. To continue following the route requires a diversion along the footpath ahead, across one field to join another track and then heading back Northwest towards the olod line. [My photograph, 12th January 2024]
The line leaving Westwood Crossing and heading towards Presthope. [My photograph, 12th January 2024]
Westwood Crossing to the next overbridge, as shown on the 25″ Ordnance Survey of 1901. [22]
Within a couple of hundred yards, trains passed Westwood Sidings. The sidings served Westwood Quarry. There were ground frames controlling access at each end of the siding. [23]

When the Wenlock Branch opened “limestone was being extracted [at Westwood Quarry] for use in the Madeley Wood Company’s furnaces. Horse-drawn tramways ran from the quarry on to a loading ramp above the sidings.” [1: p97]

The immediate vicinity of the line close to Westwood Quarry. A tramway track ran from the quarry to the old railway. A sharp 90° turn took horse-drawn trams alongside the old railway to a wharf/loading ramp alongside the siding, © Shropshire Archives Ref. No. 6008/26 copyright reserved, used by kind permission. [9][My photograph of the plan, 5th August 2022]
Westwood Sidings as they appear on the pre-contract drawings for the construction of the Wenlock Branch, the tramway serving the Quarry ran alongside the Wenlock Branch from East to West, © Shropshire Archives Ref. No. 6008/26 copyright reserved, used by kind permission. [9][My photograph of the plan, 5th August 2022]
This extract from the 1901 25″ Ordnance Survey shows the length of the old railway immediately to the West of Westwood Sidings. [25]
And a little further to the Southwest. [26]
The 25″Ordnance Survey of 1901 again. Close to Lea Farm the B4371 and the Wenlock Branch run close to each other. [27]
This extract from the pre-contract drawings covers the same length of the Wenlock Branch as the three OS map extracts above, © Shropshire Archives Ref. No. 6008/26 copyright reserved, used by kind permission. [9][My photograph of the plan, 5th August 2022]
The immediate vicinity of the old Westwood Sidings as shown on modern Ordnance Survey mapping (OS Explorer No. 217). The route of the old railway can easily be picked out entering top-right and running across the North side of Lower Farm, a public footpath follows the line as far as the location of Westwood Crossing. The route of the old line is then crossed by an unmetalled track (which, on the North side of the line, was once a horse-drawn tramway) before it encounters the bridge illustrated below which, in the 21st century, is crossed by a metalled track. Westwood Sidings sat between these two tracks. Continuing Southwest, the route of the old line encounters quarry workings which postdated the closure of the railway and which in the 21st century are now flooded. [24]
The length of the old line from Westwood Crossing to the Eastern edge of the flooded workings of Lea Quarry which straddle the old rail route. [12]
Looking back towards Westwood Crossing from the first overbridge to the West. [My photograph 12th January 2024]
The bridge viewed from the top of the cutting to the West of the bridge. [My photograph, 12th January 2024]
The view from the Southeast along the track over the bridge. Westwood Sidings were along the old railway to the left. A tramroad climbed the track in front of the camera towards Wenlock Edge and the B4371. Thetramway served Westwood Quarries which were between the railway and the B4371. [My photograph, 12th January 2024]
The old railway ran ahead towards Presthope in cutting towards the next overbridge. [My photograph, 12th January 2023]
The next accommodation bridge which spanned the line was just a little further to the West, beyond of the Westwood Sidings. This photograph looks South along the road over the bridge. [Google Streetview, August 2021]
The same bridge which This photograph looks South along the road over the bridge. [Google Streetview, August 2021]
Looking back towards Westwood Halt from the next overbridge. Heavy winter rain means that the cutting floor is flooded. Westwood Sidings were between the last overbridge and this one. [My photograph, 12th January 2024]
Each of the bridges on the old line are numbered. It is probably sometime since the stenciled numbers were renewed. Is this Bridge No. 16?
The view to the Southwest from the bridge. A small caravan site occupies the formation here. Immediately beyond the conifers ahead are the flooded workings of Lea Quarry. [My photograph, 12th January 2024]
Lea Quarry was only a short distance from the location of Westwood Quarry. Lea Quarry’s flooded workings appear in full on this extract from the railmaponline.com satellite imagery. The flooded workings to the North of the B4371 sit where once Lea Farm would have been found. It is not obvious when travelling along the road that it is effect on a causeway between two lakes! Edge Renewables was founded in 2011 and is active in the part of Lea Quarry to the North side of the road.[12]
Another extract from the 25″ Ordnance Survey of 1901. This extract focuses on Presthope Station which sat just to the South of the B4371 accessed by a dedicated approach road. [28]
This next extract from the railmaponline.com satellite imagery shows Presthope Grange Campsite and Residential Park sitting over the route of the old Wenlock Branch on the site of Presthope Station. The branch from Presthope Station into what were Presthope quarries is illustrated leaving the main running line as it continues to climb toward the short tunnel close to the top of Wenlock Edge. [12]
The 18.00 hrs Craven Arms – Much Wenlock – Wellington train leaving Presthope Station on 21st April 1951, heading for Much Wenlock. This image was shared on the Telford memories Facebook Group by Metsa Vaim EdOrg on 8th October 2019. [30]
Presthope Station after the removal of the passenger facilities. This photograph was taken by J. Langford in April 1962, the signal box and presumably the station master’s house remain. This image was shared on the Much Wenlock Memories Facebook Group by Judith Goodman on 9th February 2023. [31]
A view North across Presthope Grange Residential Park which sits on the site of Presthope Railway Station. [32]

References

  1. Ken Jones; The Wenlock Branch; The Oakwood Press, Usk, Monmouthshire, 1998.
  2. https://www.britainfromabove.org.uk/image/EAW046196, accessed on 1st November 2023
  3. https://www.britainfromabove.org.uk/image/EAW046197, accessed on 1st November 2023.
  4. https://www.british-history.ac.uk/vch/salop/vol10/pp399-447, accessed on 25th December 2023.
  5. https://maps.nls.uk/geo/explore/#zoom=17.5&lat=52.59954&lon=-2.55716&layers=168&b=1, accessed on 25th December 2023.
  6. https://maps.nls.uk/geo/explore/#zoom=16.9&lat=52.59775&lon=-2.56049&layers=168&b=1, accessed on 25th December 2023.
  7. https://en.m.wikipedia.org/wiki/Much_Wenlock_railway_station, accessed on 25th December 2023.
  8. https://www.geograph.org.uk/photo/2268995, accessed on 25th December 2023.
  9. The photographs of the pre-contract drawings for the line were taken by myself and show extracts from the construction plans held in the Shropshire Archive. There is a standard charge of £10 per visit for taking photographs of their records.
  10. https://www.facebook.com/photo?fbid=871714362892537&set=pcb.1583276891885898, accessed on 13th October 2023.
  11. https://en.m.wikipedia.org/wiki/File:Much_Wenlock_railway_station.jpg, accessed on 14th October 2023.
  12. https://railmaponline.com/UKIEMap.php, 14th October 2023.
  13. https://maps.nls.uk/geo/explore/#zoom=16.5&lat=52.59360&lon=-2.57210&layers=168&b=1, accessed on 27th December 2023.
  14. https://maps.nls.uk/geo/explore/#zoom=16.5&lat=52.59611&lon=-2.56444&layers=168&b=1, accessed on 27th December 2023.
  15. https://maps.nls.uk/geo/explore/#zoom=16.5&lat=52.59513&lon=-2.56857&layers=168&b=1, accessed on 27th December 2023.
  16. https://maps.nls.uk/geo/explore/#zoom=16.5&lat=52.59146&lon=-2.57500&layers=168&b=1, accessed on 27th December 2023.
  17. https://maps.nls.uk/geo/explore/#zoom=16.5&lat=52.58847&lon=-2.57795&layers=168&b=1, accessed on 27th December 2023.
  18. https://www.facebook.com/groups/1532191000361509/permalink/2624088597838405/?app=fbl, accessed on 27th December 2023.
  19. https://m.facebook.com/groups/1470137459866509/permalink/3158174324396139, accessed on 27th December 2023; and https://commons.m.wikimedia.org/wiki/File:Westwood_halt.jpg, accessed on 28th December 2023.
  20. https://www.geograph.org.uk/photo/6220870, accessed on 27th December 2023.
  21. https://maps.nls.uk/geo/explore/#zoom=15.5&lat=52.58777&lon=-2.58269&layers=168&b=1&marker=52.58420,-2.58663, accessed on 28th December 2023.
  22. https://maps.nls.uk/view/121151366, accessed on 28th December 2023.
  23. https://maps.nls.uk/geo/explore/#zoom=16.2&lat=52.58321&lon=-2.59431&layers=168&b=1, accessed on 28th December 2023.
  24. Ordnance Survey Explorer Map No. 217.
  25. https://maps.nls.uk/geo/explore/#zoom=16.4&lat=52.58031&lon=-2.59601&layers=168&b=1, accessed on 30th December 2023.
  26. https://maps.nls.uk/geo/explore/#zoom=16.4&lat=52.57873&lon=-2.60143&layers=168&b=1, accessed on 30th December 2023.
  27. https://maps.nls.uk/geo/explore/#zoom=16.4&lat=52.57772&lon=-2.60633&layers=168&b=1, accessed on 30th December 2023.
  28. https://maps.nls.uk/geo/explore/#zoom=15.9&lat=52.57594&lon=-2.61148&layers=168&b=1, accessed on 2nd January 2024.
  29. https://maps.nls.uk/geo/explore/#zoom=15.9&lat=52.57503&lon=-2.61667&layers=168&b=1, accessed on 2nd January 2024.
  30. https://scontent.fbhx4-2.fna.fbcdn.net/v/t1.6435-9/72309512_205899980403678_7031472482779398144_n.jpg?_nc_cat=106&ccb=1-7&_nc_sid=3ba11c&_nc_ohc=emwNw6dTtOEAX98lstF&_nc_oc=AQltLJN6CydIE1iwVeZIhsh7FebhgpjYSXj4bSzrDzZFN1GkxA9MgvTWDIpb8u77FAIVOOqJDbVO3NSZWciOhtxl&_nc_ht=scontent.fbhx4-2.fna&oh=00_AfBnQj18_fNuJPC8cc8S55O0uoHKcfFj4B4xt0r1e4TwTA&oe=65BB609F, accessed on 2nd January 2024.
  31. https://www.facebook.com/photo/?fbid=10219517828553747&set=a.10201009954868472, accessed on 13th January 2024.
  32. https://fb.watch/pjIctGeJKI/, accessed on 2nd January 2024.

The Lilleshall Company’s Railways – Part 3 – Grange Colliery to Hollinswood Sidings.

The featured image was taken in June 1954 within the Priorslee steelworks complex and shows one of the 3 blast furnaces in the background. The locomotive is Lilleshall Company No. 12 (ex-GWR 0-6-0PT No. 2794), © F.W. Shuttleworth. This image was shared on the Telford Memories Facebook Group by Marcus Keane on 15th September 2015. The blast furnace did not supply the adjacent rolling mill after 1925. At that time the Bessimer converters were scrapped. The Priorslee Furnaces only made made pig iron for the foundry trade until closure. The Lilleshall Company were forced to cease steel-making from the blast furnace pig-iron by the Iron and Steel Federation who shared out production around the country in the slump following the first world war. [61]

The dotted lines on this sketch map are private railways. The Lilleshall Company’s main line runs from Granville and Grange Collieries in the top-right of the sketch map via Old Lodge Ironworks and Priorslee Furnaces down to Hollinswood. This sketch map was included on the Miner’s Walk website which provides information about the local area. [4]

The monochrome photographs included in this article were taken by a number of different photographers. Where possible permission has been sought to include those photographs in this article. Particularly, there are a significant number of photographs taken by A.J.B. Dodd which appear here which were first found on various Facebook Groups. A number were supplied direct by Mike Dodd, A.J.B. Dodd’s son, who curates the photographs taken by his father. Particular thanks are expressed to Mike Dodd for entering into email correspondence about all of these photographs and for his generous permission to use them in this article. [72]

Grange Colliery as it appears on the 25″ Ordnance Survey of 1901, published in 1902. The railway lines shown in the immediate area of the shafts and slag heaps were internal lines unconnected to the wider Lilleshall Company network. [5]
The same area as shown on the OS map extract above. This image comes from the RailMapOnline.com website. What appears to be a caravan park on the site of the old colliery is Telford Naturist Club. The buildings to the top-right of the image are the Cottage Boarding Kennels and Cattery. [25]
This next extract from the 25″ Ordnance Survey of 1901 shows what appear to be the screens, or at least a loading point where output from Grange Colliery was loaded into Lilleshall Company wagons. The disconnect between the main network and the local lines can be seen at Dawes Bower. [6]
The same area as shown on the OS map extract above, in the 21st century. This image comes from the RailMapOnline.com website. [25]
This extract from the 25″ Ordnance Survey of 1901 shows the point where the branch-line to Grange Colliery met the main Lilleshall line. The line from Grange Colliery enters bottom-right. At the top-right of this extract two sets of lines are shown. The upper lines run towards Donnington sidings, the lower lines connect to Granville Colliery. The lines leaving the top of the extract are local lines serving the area immediately around what were Old Lodge Furnaces. The line leaving the west (left) edge of the extract is the Lilleshall Company mainline to Priorslee and Hollinswood. As can be seen at the centre of the extract, a loco brining wagons from Grange Colliery would need to cross the mainline before reversing its wagons onto the mainline and, depending on its destination, then head for Donnington or Hollinswood. The sidings shown on this extract were also used for storing wagons before onward transit to their ultimate destination. [7]
Again, a similar area to that shown on the OS map extract above. The purple lines are those provided by RailMapOnline.com. The Lilleshall Company Mainline curves from the top-right of this image to exit below the mid-point on the left side. [25]
The 25″ Ordnance Survey of 1901, published in 1902 shows the Lilleshall Main Line heading West towards Donnington Wood Brickworks junction. [8]
A 21st century satellite image with the mineral railway superimposed shows the Lilleshall Company’s main line running in a West-Southwest direction towards the next junction. [25]
A triangular junction provided bi-directional access to Donnington Wood Brick & Tile Works  [9]
Again, a very similar area to that covered by the 25″ OS Map above. One arm of the triangular junction service Donnington Wood Brickworks can be seen on this image as providing the access route for vehicles to the old brickworks site. Redhill Way is the A4640n and it warrants a grade separated junction with the local roads. [25]
Looking East along the line of the old mineral railway. [Google Streetview, June 2022]
Looking East from beneath the Redhill Road bridge in the 21st century. [Google Streetview, June 2022]
Donnington Wood Brick & Tile Works were conveniently sited next to reserves of Clay. The Works had their own internal railway with a Self-acting Inclined Plane. [10]
Donnington Wood Brick & Tile Works seen from the air, from the Northeast. This image was shared on the Telford Memories Facebook Group by Marcus Keane on 27th March 2019. [23]
A much closer view of the circular Hoffman Kiln taken in 1966. This image was shared by Marcus Keane on the Telford Memories Facebook Group on 23rd September 2017. [24]
The location of the Donnington Wood Brick and Tile Works plotted on modern satellite imagery from Google Maps. Properties on Cloisters Way sit directly over the site of the Hoffman Kiln. [Google Maps, December 2023]
Track lifting at Rookery Road sidings, © A.J.B. Dodd. [1]
This next extract from the 25″ Ordnance Survey shows the Lilleshall Mainline running South West from the junction which served the Donnington Wood Brick & Tile Works. [11]
This RailMapOnline.com satellite image covers the same area as the map extract above, very little of the landscape and buildings remains. [25]
The Lilleshall Company main line looking East from close to Rookery Road, © A.J.B. Dodd. [72]
The view from the South in the 21st century. The old railway crossed the access road which ran South from Rookery Road. [Google Streetview, May 2009]
This next extract from the 25″ Ordnance Survey shows the Lilleshall Mainline running South West towards the junction which served New Yard Engineering Works. [12]
The same area as on the early 20th century map extract above. Moss Road, Gower Street and Rookery Road remain on this image, as does the group of buildings at the junction of these roads. However, the satellite images used by RailMapOnline.com are a little out-of-date. [25]
A closer view of the location of the road junction mentioned above but on 2023 Google satellite imagery shows that the buildings close to the junction have been demolished. [Google Maps, 8th December 2023]
Looking North along Gower Street in 2022. Rookery Road leaves Gower Street just beyond the location of the erstwhile railway bridge. The sign visible in this image sits just beyond the kerb line of Rookery Road. [Google Streetview, June 2022]
Looking South along Moss Road. [Google Streetview, June 2022]
Moss Road/Gower Street Railway Bridge before demolition. This is a photo of a photo which was behind glass, hence the glare. It was shared by Gwyn Thunderwing Hartley on the Oakengates History Group including surrounding areas Facebook Group on 17th July 2018. [27]
I believe that this is a view looking East along the Lilleshall Company main line from a point close to the Moss Road/Gower Street Railway Bridge, © A.J.B. Dodd. [72]
This is a view, probably looking West along the old railway from close to the bridge over Moss Road/Gower Street. The image was shared on the Oakengates History Group Facebook Group on 29th March 2018 by John Wood, © A.J.B. Dodd. [71]
The junction for New Yard Engineering Works was adjacent to Wrockwardine Villa. The engine shed is visible bottom-centre of the extract. One of two bridges which crossed the Lilleshall Company’s Railway appears towards the bottom-left of the image. I believe that this was the ‘Tin Bridge’. [13]
A very similar area to that covered on the map extract above. The image comes, again, from RailMapOnline.com’s satellite imagery. Wrockwardine Villa is centre-top in this image. [25]
This is a view, probably looking West along the old railway from the junction with the short line to New Yard and its Engine Shed and Workshop. The image was shared on the Oakengates History Group Facebook Group on 29th March 2018 by John Wood, © A.J.B. Dodd. [71]
This view looks Northeast from the line to New Yard at the junction with the Lilleshall Company’s main line. The Locomotives are Andrew Barclay 0-6-0T Lilleshall Company’s Locomotive No. 11 (i think) on the left, one of the Taff Vale Railway 0-6-2Ts in the middle and Lilleshall Company’s Locomotive No. 12 (ex-GWR 0-6-0PT No. 2794) on the right. The image was shared on the Oakengates History Group Facebook Group on 29th March 2018 by John Wood, © A.J.B. Dodd. [71]
A similar view during the winter. The locomotives are possibly No. 4, Constance, No 5, and No. 10 a Peckett 0-4-0ST. The definition on the photograph is not really good enough to be sure of these identities. The image was shared on the Oakengates History Group Facebook Group on 29th March 2018 by John Wood, © A.J.B. Dodd. [71]
The view from the North at the West end of Cappoquin Drive. The old mineral railway ran approximately where the fence line now stands. [My photograph, 4th January 2024]
Wrockwardine Villa. This image was shared on the Oakengates History Group and Surrounding Areas Facebook Group on 23rd June 2019 by Gwyn Thunderwing Hartley. [29]
Wrockwardine Villa as seen from the East on Cappoquin Drive in 2009. [Google Streetview, May 2009]
The Lilleshall Company, New Yard, Engine Sheds, Gower Street, St Georges. … Urban Terrace can be seen in background. The line to the right of the image runs round behind the engine shed and workshop to serve the Works. This picture was taken by Frank Meeson and shared on the Oakengates History Group including surrounding areas Facebook Group on 15th June 2021 by Gwyn Thunderwing Hartley, © A.J.B. Dodd. [26]
New Yard Engineering Works. Gower Street runs North-South on the right of the map extract New Works buildings faced East onto the road. The locomotive shed can be seen to the top-left of the image. The worskshops which stood alongside it were not built by the time of the Ordnance Survey (1901). [14]
Sketch Railway Plan/Map of New Yard Engineering Works, Gower St., St Georges showing the layout in 1959. This image was shared on the Oakengates History Group Facebook Group on 1st April 2023 by Gwyn Thunderwing Hartley. [2]
New Yard Engineering Works seen for the air to the Southwest of the site. Gower Street runs immediately beyond the main buildings. At the bottom of the photograph the sidings serving the Works appear to be well-used! This aerial image was shared on the Oakengates History Group Facebook Group on 22nd July 2022 by Gwyn Thunderwing Hartley.  [30]
A postcard image of New Yard Engineering Works, this time the camera is to the Southeast of the Works and as a result shows, at the top-right, the Engine Shed and Workshop. This image was shared on the Oakengates History Group Facebook Group by Gwyn Thunderwing Hartley on 17th February 2019. [70]
The Lilleshall Company mainline curves to the South through the area known as ‘The Nabb’. Two bridges are shown. The one just visible top-right is the ‘Tin Bridge. Prior to the construction of the standard gauge mineral railway a horse-drawn tramway ran North-South through this location, running down the side of the terraced housing adjacent to the bridge. The second bridge appears bottom-left. It was a more substantial structure. [15]
Two bridges are shown on the 25″ OS map extract above. This image covers the same area as the map extract and comes from railmaponline.com’s satellite imagery. The one just visible top-right on the map extract was adjacent to the set of terraced houses which appear at the top-tight of this image. Prior to the construction of the standard gauge mineral railway a horse-drawn tramway ran North-South through this location, it is flagged on this image and given the local name ‘pig-rails’. The location of the second bridge is centre-left on this image. [25]
Former Great Western Railway 1901-built, William Dean-designed, 0-6-0PT No 2794 found a career extension after being sold-off by British Railways in October 1950. In the mid-1950s the 0-6-0PT, now Lilleshall No 12, is working hard up-grade as it passes the ‘tin bridge’ at The Nabb. The locomotive seems to be heading another engine, which is seemingly not in steam, so this is likely to be a move from Priorslee to the nearby locomotive shed at New Works, © A.J.B. Dodd. [31: p179]
A view Northeast, back towards the access to New Yard Engineering Works, from the ‘Tin Bridge’ on The Nabb. This locomotive movement appears to be the same movement as appears in the photograph immediately below. This locomotive may be ‘Alberta’, © A.J.B. Dodd. [72]
Looking South from the ‘Tin Bridge’ this is the same light engine movement as pictured above, probably to the engine shed just a little further along the line to the Northeast. The locomotive closest to the camera appears to be a Peckett loco. This image was shared on the Oakengates History Group Facebook Group by John Wood on 28th March 2018, © A.J.B. Dodd. [47]
The Tin Bridge again with Diamond Row above and to the right. This photograph was taken during the Lilleshall Companies last run on their Mineral line, with the Engine ‘Alberta’ in 1959. The Photo was taken by the late Edgar Meeson, cousin of Frank Meeson. The image was shared in the Oakengates History Group and surrounding areas Facebook Group by Gwyn Thunderwing Hartley on 27th January 2021. [32]
This image was shared by Gwyn Thunderwing Hartley on the Oakengates History Facebook Group alongside the monochrome image above. It shows a remnant of the bridge still on site in the 21st century. [32]
This image was also shared by Gwyn Thunderwing Hartley on the Oakengates History Facebook Group alongside the monochrome image above. It shows the condition of the remaining bridge girder in the 21st century. [32]
This photograph is taken from a point adjacent to the terraced houses (Diamond Row) in the next photograph. It looks North across the cutting made for the Lilleshall Mineral Railway at the location of the ‘Tin Bridge’ [My photograph, 4th January 2024]
Looking South from the location of the ‘Tin Bridge’ along the line of what would at one time have been a horse-drawn tramway. [My photograph, 4th January 2024]
Looking back Northeast along the line of the cutting from the location of the ‘Tin Bridge’. [My photograph, 4th January 2024]
Looking Southwest along the old mineral railway from the location of the ‘Tin Bridge’. This is the same camera position as in the monochrome image immediately above. [My photograph, 4th January 2024]
Looking back Northeast along the old mineral railway from a point midway between the two overbridges towards the location of the ‘Tin Bridge’. [My photograph, 4th January 2024]
A view Southwest looking along the railway cutting towards the location of the second overbridge. [My photograph, 4th January 2024]
Again looking Southwest, the cutting has been infilled and allows room for a metalled public footpath which can be glimpsed ahead. [My photograph, 4th January 2024]
The aforementioned footpath, approaching the location of the second bridge. [My photograph, 4th January 2024]
A view from the West across the second overbridge on the map extract above. One of the bridge girders remains in the ground at this location. The mineral railway used to pass in cutting from left to right under the bridge. [My photograph, 4th January 2024]
A closer view of the bridge girder. [My photograph, 4th January 2024]
The view Northeast, back towards Wrockwardine Villa along the footpath which sits over the line of the old railway. [My photograph, 11th December 2023]
The information board adjacent to the location of the old overbridge. [My photograph, 11th December 2023]
This is the second of the two bridges which crossed the Lilleshall Main Line in ‘The Nabb’.The picture looks to the Southwest and comes from the Howard Williams Collection and was shared on the Oakengates History Group including surrounding areas Facebook Group on 27th February 2014 by Frank Meeson. The girder visible in the pictures above would have been the parapet girder on the far face of the bridge. [28]
This closer view of the information board marks the second bridge location with a yellow triangle. The green area running Northeast, and marked with the number ‘3’, is the cutting of the old mineral railway. To the South of the yellow triangle, the route of old line ran behind the houses now on the East side of Willows Road. [My photograph, 11th December 2023]
The line continued to the South after passing under the second bridge. The Conifers mark its approximate alignment. The new fence panels protect the back garden of the first property on Willows Road. [My photograph, 11th December 2023]
Continuing South the line curved round towards the South East and ran alongside the  remains of the Shropshire Canal. [16]
Another extract from the satellite imagery provided by railmaponline.com. This extract shows a similar are to the map extract directly above and shows the route of the old railway heading South through, what are in the 21st century, the back gardens of the houses on Willows Road. It crossed Station Hill (National Cycle Route 81) at a level crossing. [25]
This aerial image, taken in 1948, shows the line of the mineral railway curving round from close to Wrockwardine Villa through the woodland cutting to run South towards Station Hill, Oakengates. It is an extract from Image No. EAW013745, held on the Britain From Above website, © Historic England. [36]
The same area on a different aerial photograph. The Station Hill Crossing is to the bottom right of the image. The picture is an extract from Image No. EAW013748, held on the Britain From Above website, © Historic England. [40]
Looking North from Station Hill – the old railway approached the road through what are, in the 21st century, the rear gardens of the houses on the East side of Willows Road. [Google Streetview, June 2022]
Looking South from Station Hill – the old railway crossed the road at a level crossing and ran South alongside the canal (now infilled) along what is now the Silken Way. [Google Streetview, June 2022]
Station Hill, Oakengates at the turn of the 20th century. This postcard view looks West across the line of the Lilleshall Company’s line down the hill towards the centre of Oakengates. The crossing keeper’s beehive hut is visible to the left of the road. This image was shared on the Oakengates History Group Facebook Group on 24th October 2018 by Gwyn Thunderwing Hartley. [33]
Another view of Station Hill Crossing. The Locomotive is Alberta and is providing an enthusiasts tour of the Lilleshall Company’s network. This image was shared on the Oakengates History Group Facebook Group on 29th March 2018 by John Wood, © A.J.B. Dodd. [71]
Looking South across Station Hill. The beehive keeper’s hut stands across the road from the camera. This image was shared by Gwyn Thunderwing Hartley on the Oakengates History Group Facebook Group on 16th May 2021. [34]
Looking East across Station Hill, this aerial image, taken in 1948, shows the beehive keeper’s hut standing alongside the mineral railways it crosses Station Hill. This image is an extract from Image No. EAW013744, held on the Britain From Above website, © Historic England. [34]
The line crossed Station Hill in Oakengates on the level with the old canal running beneath the road. Looking West from the crossing, train crews would have had a glimpse of Oakengates (Market) Railway Station on the LNWR/LMS/BR Coalport Branch. The station appears on the left of this map extract. [17]
This extract from the railmaponline.com satellite imagery covers the area on the 25″ OS map above and that covered by the first OS Map below. The turquoise line is the GWR mainline from Shrewsbury to Wolverhampton, the heavier purple line is the LNWR Coalport Branch and the thinner lines represent the various Lilleshall Company lines. The Company’s mainline is that shown closest to the right of the image. Station Hill is close to the top of the image, with Canongate in the bottom third of the image. The housing estate built around the modern Reynolds Drive sits over the site of the Snedshill Ironworks. The Silkin Way follows the route of the Lilleshall Company’s mainline. [25]
Looking South down Silkin Way in the 21st century. [Google Streetview, June 2022]
These two aerial images from 1948, looking East, are extracts from Image No. EAW013746 on the Britain From Above website, © Historic England. The main line of the mineral railway runs across the top of each extract. The road in the second image is Canongate. [38]
A closer view of the Canongate level crossing. This image is an extract from Image No. EAW013747 on the Britain From Above website, © Historic England. The cottage which are prominent at the top of his image can be seen on the next 25″ map extract below. [39]
Looking North towards Station Hill. The mineral railway main line enters the image across Station Hill (top-right) and curves away to the right just above centre-right. The lines which run down the centre of the image pass under Canongate and include sidings serving Snedshill Ironworks. The sidings sit over the line of the old canal. The mineral railway crosses Canongate at a level crossing just off the left of the photograph. The picture is another extract from Image No. EAW013748, held on the Britain From Above website, © Historic England. [40]
This view looks South from a point 50 to 100 metres South of Station Hill. The Lilleshall Company’s main line bears to the left and the line down to the sidings at Snedshill Iron Works runs down hill to the right. The image was shared on the Oakengates History Group Facebook Group on 29th March 2018 by John Wood, © A.J.B. Dodd. [71]
The canal has been infilled and its land used to create an operating yard to the North of Canongate. It is interesting to note that Canongate climbs to the East. Rail tracks cross it at level on the West side of Snedshill Iron Works which feature at the bottom of the map extract. To the East of the Works, sidings pass under Canongate. Meanwhile, the Lilleshall Company’s mainline remains at high level and crosses Canongate by means of a level-crossing. [18]
Snedshill Ironworks dominates this map extract. Towards the left edge of the extract, the Coalport Branch runs in cutting crossed by a number of footbridges/access bridges. The Works sidings on the West of the Works terminate on the site, whereas those to the East of the building run off the bottom of the extract. On the next extract we will see that a junction is formed with the Coalport Branch. The old canal was in use as a reservoir alongside the Works and the Lilleshall Company’s mainline runs alongside that reservoir to its East. In the bottom-left of the image, we can see the Shrewsbury to Wolverhampton mainline entering its tunnel. [19]
This extract from railmaponline’s satellite imagery covers much the same area as the 25″ OS Map above. All the railway lines on the image appear t be converging on a point just to the South of the bottom of the image. [25]
Looking North from Canongate, back along the centre-line of the old railway. Silkin Way is on the right and within a 100 metres or so is on the line of the old railway. [Google Streetview, June 2022]
Looking South from Canongate, The route of the old railway ran South through the tress directly ahead of the camera on the far side of the A442, Queensway. The two taller trees to the left of the lighting column are approximately on the line of the railway. [Google Streetview, June 2022]
Another aerial view from 1948, this time looking from the East across the old mineral railway line. Canongate features at the centre of the image. This is an extract from Image No. EAW013743 shared on the Britain From Above website, © Historic England. [35]
Two further extracts from Image No. EAW013746 taken in 1948 looking East, which show the mineral railway running South passing the Snedshill Ironworks (at the bottom of the first image). The darker area above the ironworks is a remaining length of canal with a retaining wall immediately beyond which supports the mineral railway. The mineral wagons on the second of these two images are in the sidings which can be seen at the bottom of the 25″ map extract of 1901 above. [38]
Two further extracts from EAW013748 of 1948. As already noted that aerial view looks Northwards across Snedshill Ironworks. In these two extracts we see the Lilleshall Company’s mainline at the right side of the images which continue the sequence of aerial images following that line. In the first of these images we see the reservoir which was once a length of the Shropshire Canal to the South of Canongate. The railway lines which pass under Canongate to the East of the Works continue onto the second image and head towards a junction with the LNWR Coalport Branch. Visible at the top-left of the second image is the end of the sidings/yard which was on the West side of the Ironworks. The white areas on the second image are where the image was marked for editing, © Historic England. [40]
This extract from EAW013752 on the Britain From Above website looks over Snedshill Ironworks (bottom-left), with the short length of canal behind them, towards Priorslee. The Lilleshall Company’s mainline enters just below centre-left and runs at an angle towards the top-right of the image. The Greyhound bridge on the old A5 is alongside the level crossing which took the mineral railway across the A5. The Greyhound bridge took the A5 over the LNWR Coalport Branch (in deep cutting) and a feeder line from/to the sidings at the Snedshill Ironworks which met the Coalport Branch just beyond the bridge. [41]
This is Madin Park as seen, looking East, from Newlands Road. The Park sits over the various Lilleshall Company lines in this area. The treeline at the east side of the park marks the approximate route of the Lilleshal Company’s main line. [Google Streetview, June 2022]
This extract from EAW013782 on the Britain From Above website, (© Historic England), faces South-southeast. Priorslee Brick and Tile Works are immediately to the left of the picture with a corner of the building just edging onto the image. The LNWR Coalport Branch runs up the right side of the image and passes under Greyhound bridge alongside the line from Snedshill Ironworks. Just beyond the bridge, a line turns away to the left and meets the Lilleshall Company’s mainline before leaving the image towards the top-left. The Company’s mainline crosses the A5 at road level. Towards the top of the image the GWR mainline leaves the tunnel and bears away to the top-left. [42]
Lines from Snedshill Iron Works join the Coalport Branch in passing under what became the A5 a little to the South of the Works themselves. The Lilleshall Company mainline crosses the road at level. A short branch runs off towards the Snedshill Brickworks. [20]
In the 21st century the area covered by the 25″ OS Map extract above has changed considerably. Only the GWR mainline from Shrewsbury to Wolverhampton remains of the line on the OS Map extract. On this satellite image it is represented by the turquoise line. and is running in tunnel across the area of this image. The Greyhound Roundabout has replaced what was the A5 (B5061 in 21st century) bridge over the Coalport Branch. The level crossing shown below, is long gone. The Lilleshall Company buildings have been replaced by Wickes and Aldi! The A442 dual carriageway dominates the area. [25]
A view North from the East side of the island at Greyhound Roundabout. Madin Park is just beyond the tree seen in this image. [Google Streetview, March 2021]
Turning through 180 …., the route of the line crossed the central island of Greyhound Roundabout on its East side. [Google Streetview, March 2021]
And then crossed the line of the modern A442 while drifting from a southerly direction to the South-southeast. The road on the left of this photograph is the B5061 (the erstwhile A5)which crosses the A442 as it leaves the Greyhound Roundabout. [Google Streetview, June 2022]
A Pecket Loco used by the Lilleshall Co, at the Greyhound Crossroads junction, with the Lilleshall Co. Snedshill Buildings in view. The photograph was taken looking Southeast from the Greyhound bridge. This area is now the Greyhound Island, and Aldi & Wickes now stand on the ground where the buildings in the picture once stood. This image was shared by Gwyn Thunderwing Hartley on the Oakengates History Group Facebook Group on 15th May 2018, © A.J.B. Dodd. [3]
The building in the photograph above is at the bottom of this aerial image, just to the right of centre. This is another extract from Image No. EAW013782, © Historic England. The Priorslee Furnaces are top-left of the image and shrouded in smoke. The Lilleshall Company’s mainline curves round from the bottom of the picture, to the right of the Lilleshall Brick and Tileworks buildings to run immediately to the Southwest side of the Furnaces (the side furthest from the camera). [42]
This photograph looks across the roof of the Snedhill Brick and Tilw Works towards Priorslee Furnaces. This image was shared on the Oakengates History Group Facebook Group on 24th November 2015 by Gwyn Thunderwing Hartley. [44]

The remaining maps in this article follow the Lilleshall Company’s mainline as far as Hollinswood Sidings. Those sidings sat alongside the GWR mainline from Shrewsbury to Wolverhampton and Birmingham.

Another extract from the 1901 25″ Ordnance Survey. South of the A5 the Snedshill Ironworks sidings merge with the Coalport Branch although they do so after a line leaves heading away to the Southeast, passing to the East of the tunnel portal at the bottom of the map extract.. The Coalport Branch runs to the West of the tunnel portal of the GWR/BR mainline between Shrewsbury and Wolverhampton. The Lilleshall Company mainline curves round to run parallel to the spur closest to the tunnel portal.  [21]
The main line of the Lilleshall System continued in a South-southeast direction, curving gradually round towards the Southeast. [25]

Photographs taken while looking at the older tramway which predated the standard gauge network can be found in the later part of my article about the old tramway from Sutton Wharf to Oakengates. Those pictures illustrate the approximate route of the standard gauge line as well as the older tramway. To access that article, please click here (https://wordpress.com/post/rogerfarnworth.com/32520). That article also shows modern photographs of the area Southeast of this location on the Lilleshall Company’s network, including the area of Priorslee Furnaces and Hollingswood Sidings as it appears in the 21st century.

This extract is a little further to the Southeast. The Coalport Branch is on the left. The GWR mainline is in cutting running from the top-left of the image to the bottom-centre. The spur from the Snedshill Sidings meets the Lilleshall Company’s mainline just right of the centre point of the image. The line curving back towards the GWR mainline but terminating just above the bottom edge of the image, was originally a tramroad through Hollinswood to Malinslee. Links to articles about the tramroads in this area can be found below.[22]
A similar area as covered by the 1901 25″ Ordnance Survey extract above. This extract from the Railmaponline.com satellite imagery shows the modern A442 following the route of the LNWR Coalport Branch with the GWR mainline to the East of it. The complex arrangement of the Lilleshall Company’s railways shows that we are close to what was Priorslee Furnaces. As noted above, the line which curves away to the South from the Company’s railways is a former tramroad which fed into a network of tramroads in the Hollinswood and Malinslee area of what is now Telford. Those tramroads are covered in the linked articles immediately below. [25]
Priorslee Furnaces as shown on the 1882 25″ Ordnance Survey. [51]
A very similar area to that shown in the extract above, this map extract comes from the 1901 25″ Ordnance Survey. There have been some significant changes to the buildings on the site in the period from 1882 to 1901. Alterations to the railway sidings on the site either accommodate the new structures or are relatively minor in nature. [52]
This railmaponline satellite image covers much the same area as the two OS Map extracts above. The sidings shown on this image are indicative rather than definitive but do give a good idea of the area covered by Priorslee Furnaces. The road which runs down through the image is a diverted version of Hollinswood Road which then becomes a footpath. It crosses the GWR Mainline using a bridge which was built at the time the railway was constructed, and then a modern footbridge over the A442. [25]

Much of the area to the Southeast of Oakengates, including Priorslee is also covered in this article:

Early Tramroads near Telford – Part 8 – Malinslee Part 4 – the East side of Malinslee in the vicinity of the later Coalport (LNWR) and Stirchley (GWR) Branches

The tramroads in the Hollinswood/Malinslee area are covered in earlier articles about the Malinslee area (below) and are illustrated in the hand-drawn map from Savage and Smith’s research which appears below:

Early Tramroads near Telford – Part 4 – Malinslee Part 1

Early Tramroads near Telford – Part 6 – Malinslee Part 2 – Jerry Rails …

Early Tramroads near Telford – Part 7 – Malinslee Part 3

The purple arrow in the top right of this hand-drawn map (copied from Savage and Smith’s research and used with the kind permission of the archivist at Ironbridge Gorge Museum Trust) shows the point at which the tramroad at the bottom of the 25″ OS map extract above links to the network of tramroads in Hollinswood and Malinslee. [43]
A view from the North across the Priorslee Furnacestowards Hollinswood and Mailinslee. This image was shared on the Telford Memories Facebook Group by Marcus Keane on 20th September 2017. [48]
Priorslee Furnaces viewed from the Southeast. This image was shared by Paul Wheeler on the Oakengates History Group Facebook Group on 28th November 2017. [45]
An aerial image of the extensive steelworks and slag reduction plant at Priorslee.
The blast furnaces were decommissioned in 1958 and the internal system closed. This image was shared on the Oakengates History Group Facebook Group by Lin Keska on 22nd February 2017. [46]
This postcard view of Priorslee Furnaces was taken in 1899. The rail access to the plant is emphasised by the locomotive and wagons in the foreground. The image was shared on the Telford Memories Facebook Group by Lin Keska on 27th June 2020. [49]
Two Lilleshall Company locomotives (Peckett 0-4-0ST No.10 and 0-6-2T No. 3 which was once GWR No. 589) in attendance of the demolition of a 98ft high concrete coal bunker at Priorslee Furnaces circa 1936. This work was taking place as part of the demolition of the former steelworks site. The image was shared on the Oakengates History Group Facebook Group by Gwyn Thunderwing Hartley (courtesy of John Wood) on 1st December 2019. I understand that the original image is held in the Archives of the Ironbridge Gorge Museum Trust. [50]
This next extract from the 1882 25″ Ordnance Survey shows the area immediately Southeast of Priorslee Furnaces The Lilleshall Company’s mainline split in three directions – to the South it runs into Hollinswood Sidings and up to Hollinswood Junction, where it joins the GWR mainline, Southeast it continues towards Stafford Colliery, and Northeast towards Woodhouse and Lawn Collieries. [51]
This extract from the 1901 25″ Ordnance Survey shows only minor changes from the equivalent extract from the 1882 survey above. [53]
Again, this railmaponline.com satellite image covers similar ground to the two OS map extracts above. Significant feature on the satellite image are: the M54 running East/West across the bottom of the image; the A442 which intrudes only slightly on the bottom-left of the image; The diverted A5 which runs up the right of the image to meet the old A5 (the B5061 in the 21st century) and Telford Central railway station. [25]
The remaining length of the Lilleshall Company’s mainline served Stafford Colliery (passing Darklane Colliery on its way East. This extract covers a greater area than the one’s above but is also taken from the 1901 25″ Ordnance Survey. Hollinswood Junction on the GWR mainline between Shrewsbury and Wolverhampton just sneaks into the bottom-left corner of this map extract. [54]
A look at Stafford Colliery, Woodhouse Colliery and Lawn Colliery is for a future article. This image and the map extract above show the line which terminated at Stafford Colliery.[25]
Hollinswood Sidings and Hollinswood Junction. The GWR line between Shrewsbury and Wolverhampton runs from the top-left to the bottom-right. The LNWR Coalport Branch enters top-left and leaves the map extract to the left of centre at the bottom of the image. The line turning off the GWR mainline to the South served a series industrial undertakings to the East of the old Shropshire Canal. The Lilleshall Company’s sidings enter the map extract centre-top and meet the GWR mainline at Hollinswood Junction. [55]
This is another area of Telford which has seen dramatic change. The GWR line ‘turquoise’ remains, the LNWR Coalport branch (thicker purple0 has long gone. As have all the Lilleshall Company’s lines (thinner purple). The A442, Queensway and Hollinswood Interchange dominate the modern image. [25]
Locomotive 48516 heading what seems to be a train of empty coal wagons and facing towards Wolverhampton. Hollinswood Sidings can be seen beyond the locomotive. The image was shared on the Telford Memories Facebook Group by Lin Keska on 4th April 2018. [57]
Just a little further to the Southeast, Hollinswood Junction is seen from the Northwest, looking along the GWR mainline. The Lilleshall Company’s sdings are to the left and the short GWR branch line to Randlay and beyond is on the right. This image was shared by Marcus Keane on the Telford Memories Facebook Group on 19th April 2020, © A.J.B. Dodd. [56]

Lilleshall Company Motive Power

The Lilleshall Company operated a number of steam engines which it picked up from various sources and some of which it built itself. The remainder of this article is no more than a glimpse of these locomotives on the Lilleshall Company’s network. The authoritative treatment of the motive power on the Lilleshall Company network is the book by Bob Yate, “The Railways and Locos of the Lilleshall Company.” [59]

Yate tells us that, because the Lilleshall Company’s network was extensive, it needed a considerable number of locomotives to operate it. He continues: “Much of the traffic was heavy, so it comes as no surprise to find that the company turned to acquiring former main line company locomotives for some of their more arduous duties. The total number of locomotives rose from four during the mid-1850s to eight by 1870, down to five by 1875, then six by 1886, increasing to nine in 1900 until 1920 when there were eleven. By the 1930s the number was back down to nine.” [59: p67] After WW2, numbers were reduced to five, and once closure was approaching all five were scrapped and two other locomotives were purchased.

Taken in June 1954 within the Priorslee steelworks complex and shows one of the 3 blast furnaces in the background. The locomotive is Lilleshall Company No. 12 (ex-GWR 0-6-0PT No. 2794), © F.W. Shuttleworth. This image was shared on the Telford Memories Facebook Group by Marcus Keane on 15th September 2015. The blast furnace did not supply the adjacent rolling mill after 1925. At that time the Bessimer converters were scrapped. The Priorslee Furnaces only made made pig iron for the foundry trade until closure. The Lilleshall Company were forced to cease steel-making from the blast furnace pig-iron by the Iron and Steel Federation who shared out production around the country in the slump following the first world war. [61]
Peckett 0-4-0T, Lilleshall Locomotive No. 10 at Priorslee, (c) Industrial Railway Society, Ken Cooper collection] This photograph was shared by Andy Rose on the Telford Memories Facebook Group on 29th September 2019. [62]
I think this is Lilleshall Company No. 6, one of a number built by the Lilleshall Company, © A.J.B. Dodd. This photograph was shared by Andy Rose on the Telford Memories Facebook Group on 29th September 2019. [62]
Former Barry Railway ‘B1’ Class 0-6-2T No. 60 (also ex-GWR No. 251) which when purchased by the Lilleshall Company was given No. 5, photographer not known. This photograph was shared by Andy Rose on the Telford Memories Facebook Group on 29th September 2019. [62]
Lilleshall Company Locomotive No. 4, Constance, © A.J.B. Dodd. This photograph was shared by Andy Rose on the Telford Memories Facebook Group on 29th September 2019. [62]
Lilleshall Company Locomotive No. 9, built by George Stevenson & Co. Ltd. It was bought by the Lilleshall Company in 1904 and lasted until 1929, (c) F. Jones Collection. This photograph was also shared by Gwyn Thunderwing Hartley on the Oakengates History Group Facebook Group on 27th November 2017. [69]
Austerity 0-6-0ST Locomotives sit on shed at Granville Colliery. After the NCB took over the collieries owned by the Lilleshall Company, Granville Colliery supplied coal to Buildwas Power Station and the coal trains were worked by a range of locos down the 1.5 miles to Donnington Sidings. Granville Colliery had a decent sized shed and in later years used these Austerity 0-6-0ST locos. In Lilleshall Company days bigger engines (ex TVR and Barry) were used. This photograph was shared by Marcus Keane on the Telford Memories Facebook Group on 15th September 2015. [65]
0-4-0ST Locomotive No. 4, Constance and an 0-6-0T Locomotive sit out of use at Priorslee in 1954. Between them are what appear to be two slag ladles, © A.J.B. Dodd. This photograph was shared by Marcus Keane on the Telford Memories Facebook Group on 15th September 2015. [65]
The same location but different slag ladles and a different locomotive in front of them. This seems to be a Peckett Locomotive which appears to be being scrapped, © A.J.B. Dodd. This photograph was shared by John Wood on the Oakengates History Group Facebook Group on 29th March 2018, © A.J.B. Dodd. [67]
Lilleshall Company 0-6-0ST, The Colonel was based at Granville Shed which is just off this picture to the right, © A.J.B. Dodd. This photograph was shared by Mets Vaim EdOrg on the Telford Memories Facebook Group on 24th October 2020. [63][66]
.No. 6 (I think) sits outside the old loco shed at the Granville pit early 1950s this loco was made at New Yard, St Georges by the Lilleshall Company for there own use and transferred when the pit was nationalised. This photograph was shared by John Wood on the Telford Memories Facebook Group on 17th November 2015. [63]
Peckett 0-4-0ST, probably outside Snedshill Brick and Tile Works. This photograph was shared by Marcus Keane on the Telford Memories Facebook Group on 18th October 2015. [64]
This postcard image was one of a number published in 1980 to celebrate 150 years of railway history. It shows the 2-2-2 Engine (built in 1867) that the Lilleshall Company put on display in the 1800s at the Paris Exposition. [60]
Lilleshall built 0-4-0T, Constance and Andrew Barclay 0-6-0T No. 11 at New Yard Locomotive Shed. The image was shared on the Oakengates History Group Facebook Group by Gwyn Thunderwing Hartley on 4th April 2021. [58]
Lilleshall Company Locomotive Alberta (a Barclay 0-4-0ST), possibly close to New Yard Engineering Works. This photograph was shared by John Wood on the Oakengates History Group Facebook Group on 29th March 2018. Alberta was only purchased in October 1956 and was active on the Lilleshall Company’s network until closure, © A.J.B. Dodd. [67]
Lilleshall Company Locomotive No. 12, (ex-GWR No. 2794) 0-6-0PT sits a New Yard This photograph was shared by John Wood on the Oakengates History Group Facebook Group on 28th June 2020. [68]
Lilleshall Company Locomotive, Prince of Wales (ex-Lever Brothers, Port Sunlight Railway) 0-4-0ST also sits a New Yard This photograph was also shared by John Wood on the Oakengates History Group Facebook Group on 29th March 2018. [68]

References

  1. https://www.facebook.com/photo?fbid=10158258868359890&set=gm.1573059866203702&locale=en_GB, accessed on 17th August 2023.
  2. https://www.facebook.com/groups/261490703946559/permalink/5921967501232156, accessed on 7th November 2023.
  3. https://www.facebook.com/groups/261490703946559/permalink/1631467146948901. accessed on 7th November 2023.
  4. https://theminerswalk.org/snedshill/lilleshall-company-mineral-railway-line, accessed on 7th November 2023.
  5. https://maps.nls.uk/geo/explore/#zoom=18.0&lat=52.70068&lon=-2.41423&layers=168&b=1, accessed on 8th November 2023.
  6. https://maps.nls.uk/geo/explore/#zoom=18.0&lat=52.70265&lon=-2.41736&layers=168&b=1, accessed on 8th November 2023.
  7. https://maps.nls.uk/geo/explore/#zoom=18.0&lat=52.70461&lon=-2.42072&layers=168&b=1, accessed on 8th November 2023.
  8. https://maps.nls.uk/geo/explore/#zoom=18.0&lat=52.70390&lon=-2.42449&layers=168&b=1, accessed on 8th November 2023.
  9. https://maps.nls.uk/geo/explore/#zoom=18.0&lat=52.70305&lon=-2.42863&layers=168&b=1, accessed on 8th November 2023.
  10. https://maps.nls.uk/geo/explore/#zoom=18.0&lat=52.70097&lon=-2.42826&layers=168&b=1, accessed on 8th November 2023.
  11. https://maps.nls.uk/geo/explore/#zoom=18.0&lat=52.70257&lon=-2.43263&layers=168&b=1, accessed on 8th November 2023.
  12. https://maps.nls.uk/geo/explore/#zoom=18.0&lat=52.70171&lon=-2.43735&layers=168&b=1, accessed on 8th November 2023.
  13. https://maps.nls.uk/geo/explore/#zoom=18.0&lat=52.70034&lon=-2.44258&layers=168&b=1, accessed on 8th November 2023.
  14. https://maps.nls.uk/geo/explore/#zoom=18.0&lat=52.69896&lon=-2.43963&layers=168&b=1, accessed on 8th November 2023.
  15. https://maps.nls.uk/geo/explore/#zoom=18.0&lat=52.69906&lon=-2.44501&layers=168&b=1, accessed on 8th November 2023.
  16. https://maps.nls.uk/geo/explore/#zoom=18.0&lat=52.69726&lon=-2.44584&layers=168&b=1, accessed on 8th November 2023.
  17. https://maps.nls.uk/geo/explore/#zoom=18.0&lat=52.69531&lon=-2.44638&layers=168&b=1, accessed on 8th November 2023.
  18. https://maps.nls.uk/geo/explore/#zoom=18.0&lat=52.69346&lon=-2.44610&layers=168&b=1, accessed on 8th November 2023.
  19. https://maps.nls.uk/geo/explore/#zoom=18.0&lat=52.69185&lon=-2.44694&layers=168&b=1, accessed on 8th November 2023.
  20. https://maps.nls.uk/geo/explore/#zoom=18.0&lat=52.68980&lon=-2.44738&layers=168&b=1, accessed on 8th November 2023.
  21. https://maps.nls.uk/geo/explore/#zoom=18.0&lat=52.68798&lon=-2.44638&layers=168&b=1, accessed on 8th November 2023.
  22. https://maps.nls.uk/geo/explore/#zoom=18.0&lat=52.68584&lon=-2.44518&layers=168&b=1, accessed on 8th November 2023.
  23. https://m.facebook.com/groups/674238619260811/permalink/2779688992049086, accessed on 5th December 2023.
  24. https://scontent.fbhx4-1.fna.fbcdn.net/v/t1.18169-9/21761420_10203764899078501_3636312693064153721_n.jpg?_nc_cat=110&ccb=1-7&_nc_sid=bd3046&_nc_ohc=TLTiCmZZExAAX9QiWM3&_nc_ht=scontent.fbhx4-1.fna&oh=00_AfAbhEAgGsk80Y8ua6NY6gjhnURjRZb13stK8S9bW6AjoA&oe=6597E1D8, accessed on 6th December 2023.
  25. https://railmaponline.com/UKIEMap.php, accessed on 6th December 2023.
  26. https://scontent.fbhx4-2.fna.fbcdn.net/v/t1.6435-9/201482784_10158311988498862_4566373800303848415_n.jpg?stp=dst-jpg_p180x540&_nc_cat=106&ccb=1-7&_nc_sid=bd3046&_nc_ohc=yHmKg6jHVdcAX_Cs0Fv&_nc_ht=scontent.fbhx4-2.fna&oh=00_AfDnT7hKAayk2GcdynEjVb0-CbVhrKLewE2PkgsvTXFPjg&oe=659A7442, accessed on 8th December 2023.
  27. https://www.facebook.com/photo/?fbid=10155782408243862&set=gm.1710808045681477, accessed on 8th December 2023.
  28. https://scontent.fbhx4-1.fna.fbcdn.net/v/t31.18172-8/1655808_1425186684388540_656137306_o.jpg?_nc_cat=110&ccb=1-7&_nc_sid=bd3046&_nc_ohc=VZiU88xJa_sAX8eqOIg&_nc_ht=scontent.fbhx4-1.fna&oh=00_AfByQtLEzkvqCA7hZqxr4gvZUadwmfRB0hCPQQVgrGsLzQ&oe=659AAC33, accessed on 8th December 2023.
  29. https://www.facebook.com/photo/?fbid=10156504900068862&set=pcb.2207355879360022&__cft__[0]=AZWM_sG-8rb1Z8zR3v0d2wTYVidq8AJCRoQ0385g01iahveRLzlQhOSrRP0w781Nw8ODRaK9QfZI1S_wHWRsf_70OLeymBaH6R1VpqUAxa5o5MMT9_NvuG0ROdUYj5m6zfC0GVS8PVkvs-dlORb4TvBrX-3Qy6OBqLLzCrEaG0EpuD1fXlueiyUTiHaofJtwyGo&__tn__=*bH-R, accessed on 8th December 2023.
  30. https://scontent.fbhx4-2.fna.fbcdn.net/v/t39.30808-6/295253453_10158960381253862_1596451847515642843_n.jpg?_nc_cat=103&ccb=1-7&_nc_sid=c42490&_nc_ohc=oZFumj6_D1sAX__fJJ0&_nc_ht=scontent.fbhx4-2.fna&oh=00_AfDJT-IQGT2HuEOFqyROrOk1wo0_PGznDul4706piA9m3w&oe=6577CD2C, accessed on 8th December 2023.
  31. D. Bradshaw and S.C. Jenkins; Rails around Oakengates; in Steam Days No. 283, March 2013, p165-179.
  32. https://m.facebook.com/groups/261490703946559/permalink/3559120847516845, accessed on 4th January 2024.
  33. https://m.facebook.com/groups/261490703946559/permalink/1846594735436140/ accessed on 6th January 2024.
  34. https://m.facebook.com/groups/261490703946559/permalink/3868350286593898, accessed on 6th January 2024.
  35. https://www.britainfromabove.org.uk/image/EAW013743, accessed on 6th January 2024.
  36. https://www.britainfromabove.org.uk/image/EAW013745, accessed on 6th January 2024.
  37. https://www.britainfromabove.org.uk/image/EAW013744, accessed on 6th January 2024.
  38. https://www.britainfromabove.org.uk/image/EAW013746, accessed on 6th January 2024.
  39. https://www.britainfromabove.org.uk/image/EAW013747, accessed on 6th January 2024.
  40. https://www.britainfromabove.org.uk/image/EAW013748, accessed on 7th January 2024.
  41. https://www.britainfromabove.org.uk/image/EAW013752, accessed on 7th January 2024.
  42. https://www.britainfromabove.org.uk/image/EAW013782, accessed on 7th January 2024.
  43. R.F. Savage & L.D.W. Smith; The Waggon-ways and Plateways of East Shropshire; Birmingham School of Architecture, 1965. Original document is held by the Archive Office of the Ironbridge Gorge Museum Trust.
  44. https://scontent.fbhx4-2.fna.fbcdn.net/v/t1.18169-9/12249708_10153234847943862_2405376747380940551_n.jpg?_nc_cat=101&ccb=1-7&_nc_sid=bd3046&_nc_ohc=PTpPZUncF0oAX_zR0kT&_nc_ht=scontent.fbhx4-2.fna&oh=00_AfDmxW2EgzwA0skHXQQQicuFeBEC0U9pehtSXasn-aUj7w&oe=65C345CA, accessed on 8th January 2024.
  45. https://scontent.fbhx4-1.fna.fbcdn.net/v/t31.18172-8/23926176_1960058820984785_764665039428004773_o.jpg?_nc_cat=111&ccb=1-7&_nc_sid=bd3046&_nc_ohc=ZkPn9C3jrwsAX_zb32j&_nc_ht=scontent.fbhx4-1.fna&oh=00_AfAjCyq1hFT5gGcqA3z3JR4rQhMnvTqdrOd-860xljNpxQ&oe=65C3663D, accessed on 8th January 2024.
  46. https://www.facebook.com/photo/?fbid=1404096642968102&set=gm.1211545145607772, accessed on 8th January 2024.
  47. https://scontent.fbhx4-1.fna.fbcdn.net/v/t31.18172-8/29352389_10156155183739890_3408729237109418941_o.jpg?_nc_cat=110&ccb=1-7&_nc_sid=3ba11c&_nc_ohc=NI9fQJlGVl8AX8MQqOk&_nc_ht=scontent.fbhx4-1.fna&oh=00_AfDMKjsidvIGKui1zGj0rpgAYGJpE596uwZCBljaVGyhTA&oe=65C343AA, accessed on 8th January 2024.
  48. https://scontent.fbhx4-1.fna.fbcdn.net/v/t1.18169-9/21616545_10203756370465291_4769410919911128767_n.jpg?_nc_cat=104&ccb=1-7&_nc_sid=bd3046&_nc_ohc=HZqT9xwWcf0AX9LMd5M&_nc_ht=scontent.fbhx4-1.fna&oh=00_AfCPy7JRbSDyHWfoxdzAKtp5jQ5Bbyl9aeH0KpiZdngT0g&oe=65C33FEA, accessed on 8th January 2024.
  49. https://www.facebook.com/photo/?fbid=2886679371376481&set=pcb.3555775264440451, accessed on 8th January 2024.
  50. https://www.facebook.com/photo/?fbid=10156905402433862&set=pcb.2505678986194375, accessed on 8th January 2024.
  51. https://maps.nls.uk/view/121150313, accessed on 8th January 2024.
  52. https://maps.nls.uk/geo/explore/#zoom=17.0&lat=52.68525&lon=-2.44187&layers=168&b=1, accessed on 8th January 2024.
  53. https://maps.nls.uk/geo/explore/#zoom=17.0&lat=52.68253&lon=-2.43685&layers=168&b=1, accessed on 8th January 2024.
  54. https://maps.nls.uk/geo/explore/#zoom=17.0&lat=52.67930&lon=-2.42607&layers=168&b=1, accessed on 8th January 2024.
  55. https://maps.nls.uk/geo/explore/#zoom=17.0&lat=52.67956&lon=-2.43844&layers=168&b=1, accessed on 8th January 2024.
  56. https://www.facebook.com/groups/674238619260811/permalink/3967944629890177, accessed on 7th November 2023.
  57. https://www.facebook.com/photo/?fbid=1853495224694906&set=pcb.2089170144434311, accessed on 9th January 2024.
  58. https://www.facebook.com/photo/?fbid=10158161361783862&set=gm.3745067428922185, accessed on 9th January 2024.
  59. Bob Yate; The Railways and Locos of the Lilleshall Company Hardcover; Irwell Press, Bedfordshire, 2008.
  60. https://www.postcardfinder.co.uk/2-2-2-engine-lilleshall-company-paris-exposition-train-postcard-101243-p.asp, accessed on 10th January 2024.
  61. https://m.facebook.com/groups/674238619260811/permalink/1059102267441109, accessed on 11th January 2024.
  62. https://www.facebook.com/photo/?fbid=2438789446357223&set=pcb.3267701209914526, accessed on 11th January 2024.
  63. https://www.facebook.com/photo/?fbid=10153713019669890&set=gm.1091634104187925, accessed on 11th January 2024.
  64. https://www.facebook.com/photo/?fbid=10201109752821504&set=gm.1076444759040193https://www.facebook.com/photo?fbid=10156229799958862&set=gm.2010423612386584, accessed on 11th January 2024.
  65. https://www.facebook.com/photo/?fbid=10201024425808382&set=gm.1059100807441255https://www.facebook.com/photo?fbid=10156229799958862&set=gm.2010423612386584, accessed on 11th January 2024.
  66. https://www.facebook.com/photo/?fbid=415854582741549&set=pcb.4828097803874851https://www.facebook.com/photo?fbid=10156229799958862&set=gm.2010423612386584, accessed on 11th January 2024.
  67. https://www.facebook.com/photo/?fbid=10156155205514890&set=pcb.1585964188165864https://www.facebook.com/photo?fbid=10156229799958862&set=gm.2010423612386584, accessed on 11th January 2024.
  68. https://www.facebook.com/photo/?fbid=10158258749094890&set=pcb.2971873616241574https://www.facebook.com/photo?fbid=10156229799958862&set=gm.2010423612386584, accessed on 11th January 2024.
  69. https://www.facebook.com/photo/?fbid=10155141661473862&set=oa.1468997059862578https://www.facebook.com/photo?fbid=10156229799958862&set=gm.2010423612386584, accessed on 11th January 2024.
  70. https://www.facebook.com/photo?fbid=10156229799958862&set=gm.2010423612386584, accessed on 11th January 2024.
  71. https://www.facebook.com/photo/?fbid=10156158070314890&set=pcb.1586941058068177, accessed on 11th January 2024.
  72. Many of the photographs taken by A.J.B. Dodd which appear in this article were first found on various Facebook Groups. A number were supplied direct by Mike Dodd, A.J.B. Dodd’s son who curates the photographs taken by his father. Particular thanks are expressed to Mike Dodd for entering into email correspondence about all of these photographs and for his generous permission to use them in this article.